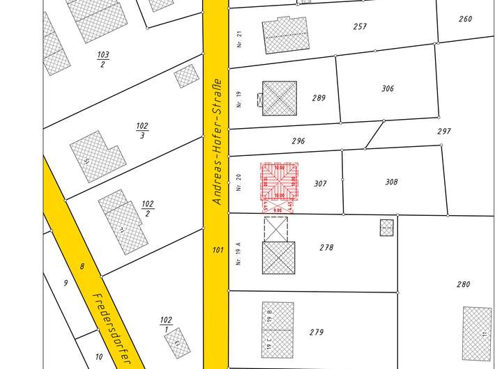
Das Grundstück befindet sich am Rande von Altlandsberg im OT Bruchmühle.
Folgende Hinweise bitten wir zu beachten:
* Die Teilfläche ist straßenseitig
erschlossen (Trinkwasser, Schmutz-
wasser, Strom, Glasfaser)
* Die Teilfläche befindet sich in einer
ruhigen Nebenstraße.
* Die Teilfläche ist durch eine Neuauf-
teilung einer ehemals größeren Fläche
hervorgegangen.
* Das Grundstück befindet sich nicht
innerhalb eines Bebauungsplanes und
ist nach § 34 BauGB zu bewerten. Da
kein Bebauungsplan für dieses Gebiet
vorliegt, gibt es keine Festsetzungen
zur GFZ und GRZ. Eine mögliche Be-
bauung richtet sich demnach gem.
§ 34 BauGB nach der unmittelbaren
Umgebungsbebauung, vorrangig im
Bezug zur überbaubaren Grundstücks-
fläche, Geschosshöhe sowie
Gebäudehöhe. Jedoch sollte sich eine
mögliche Bebauung an die
Gebäudeposition der Nachbarschaft
orientieren. Eine Bebauung mit zwei
Vollgeschossen ist möglich.
Für die mögliche Bebauung steht Ihnen der Verkäufer gern zur Seite. Alles weitere kann im Detail besprochen werden.
BITTE BEACHTEN SIE, DASS WIR IHRE ANFRAGE DIREKT AN DEN EIGENTÜMER VOR ORT WEITERLEITEN WERDEN. DIESER WIRD SICH DANN MIT IHNEN IN VERBINDUNG SETZEN.
WUNDERSCHÖN GELEGENES BAUGRUNDSTÜCK IN ALTLANDSBERG, OT BRUCHMÜHLE
Andreas-Hofer-Str. 20,
15345 Altlandsberg
Auf Karte anzeigen
Finanzierungszertifikat
In nur zwei Minuten zu Ihrem persönlichen Finanzierungszertifkat.
Infos
| Vermarktungsart | Kaufen |
|---|---|
| Grundstücksfläche | 604 m2 |
| Erschließung | Erschlossen |
| Empfohlene Nutzung | Einfamilienhaus |
| Bebaubar nach | wie Nachbarbebauung |
| Verfügbar ab | ab sofort |
Kosten
| Miete pro Jahr |
187.000 € |
|---|---|
| Provision |
7,14 % inklusive 19% Mehrwertsteuer des beurkundeten Kaufpreises Die Provision in Höhe von 7,14 % inklusive der gesetzlichen Mehrwertsteuer auf den Kaufpreis ist mit dem Zustandekommen des Kaufvertrages (notarieller Vertragsabschluss) verdient und fällig. Der Immobilienmakler hat einen provisionspflichtigen Maklervertrag mit dem Verkäufer in gleicher Höhe geschlossen. |
Finanzierungsrechner:
Kaufpreis:
600.000 €
Eigenkapital:
600.000 €
Monatliche Rate
0 €
Effektiver Jahreszins
0 %
Sollzinsbindung
10 Jahre
Beschreibung des Objekts
Lage
Das Grundstück liegt etwa 20 Autominuten östlich von Berlin und Eiche-Brandenburg. Nach ca. 15 Gehminuten erreicht man einen REWE - Supermarkt, Tankstelle.
Vielfältige Einkaufsmöglichkeiten, einschließlich Apotheke und Bäcker, befinden sich im Umkreis von ca. 10 Autominuten. In ca. 20 Autofahrminuten gelangt man zum Einkaufszentrum - Eiche. In ca. 15 Minuten erreichen Sie mit dem Auto oder Fahrrad die S-Bahn Stationen Fredersdorf bzw. Petershagen. Von dort erreichen Sie in kürzester Zeit Berlin.
Im Umkreis gibt es Grundschulen und eine Gesamtschule. In Neuenhagen bzw. in Straußberg befindet sich ein Gymnasium. Ärzte sowie Zahnärzte sind in der näheren Umgebung erreichbar.
Sonstige Angaben
Bitte sehen Sie von telefonischen Anfragen ab. Wir können derzeit lediglich schriftliche Anfragen bearbeiten!
Wir haben Ihr Interesse geweckt? Dann senden Sie uns bitte eine Anfrage mit einigen Angaben über Ihre Person zu.
Bitte haben Sie Verständnis dafür, dass wir Ihre Anfrage nur bei Übermittlung Ihrer vollständigen Kontaktdaten mit Name, Anschrift, Telefonnummer und E-Mail-Adresse beantworten können.
Für einen Besichtigungstermin stehen wir Ihnen bei weiterführendem Interesse selbstverständlich gern zur Verfügung.
PROVISIONSHINWEIS:
Mit der Anfrage bei und durch Inanspruchnahme der Dienstleistung der Firma Nancy Bernhard Immobilien, wird ein Maklervertrag geschlossen. Sofern es durch die Tätigkeit der Firma
Nancy Bernhard Immobilien zu einem wirksamen Hauptvertrag mit der Eigentümerseite kommt, hat der Interessent bei Abschluss eines KAUFVERTRAGS die ortsübliche Provision/Maklercourtage an die Firma Nancy Bernhard Immobilien gegen Rechnung zu zahlen.
HAFTUNG:
Wir weisen ausdrücklich darauf hin, dass die von uns weitergegebenen Objekt-informationen, Unterlagen, Pläne, etc. vom Verkäufer stammen.
Eine Haftung für die Richtigkeit oder Vollständigkeit der Angaben kann daher von uns nicht übernommen werden. Es obliegt daher unseren Kunden, die darin enthaltenen Angaben und Objektinformationen auf Ihre Richtigkeit hin zu überprüfen.
Alle Immobilienangebote sind freibleibend und vorbehaltlich Irrtürmer, Zwischenverkauf oder sonstiger Zwischenverwertung.