Dieser sonnige Bauplatz befindet sich in Calw-Altburg.
Das Grundstück bietet Ihnen die Gelegenheit, sich Ihren Traum vom Eigenheim zu verwirklichen. Aufgrund der guten Ausrichtung können Sie fast den ganzen Tag die Sonne genießen.
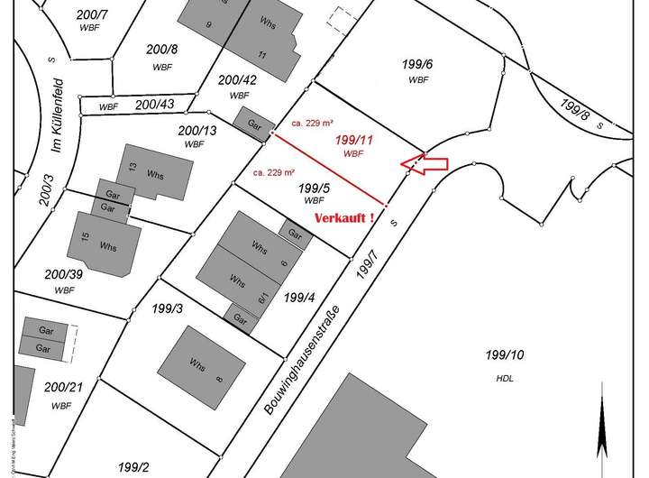
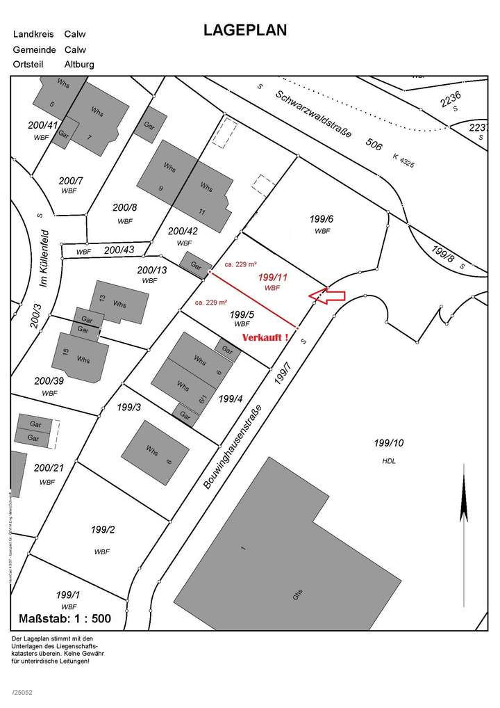
Die Umgebungsbebauung ist in gewachsener Struktur vorhanden. Insgesamt hat der Bauplatz Flst. 199/11 eine Größe von ca. 229 m² und ist mit einer Doppelhaushälfte bebaubar. Der danebenliegende Bauplatz Flst. 199/5 ist bereits verkauft und wird ebenfalls mit einer Doppelhaushälfte bebaut.
Der Bauplatz ist erschlossen und sofort mit einem Wohnhaus bebaubar.
Die Kosten für den Hausanschluss von der Grundstücksgrenze bis zum Wohnhaus wie z. B. Abwasser (Kanal-/Klärbeiträge), Wasser, Strom, Telekom bzw. Glasfaser sind vom Bauherrn selbst abzuklären und zu bezahlen.
Es gilt hier der Bebauungsplan „Küllenfeld Erweiterung". Dieser gibt folgendes vor:
- gebaut werden darf hier entweder ein Einfamilienhaus- oder Doppelhaus
- Zahl der Vollgeschosse I, GRZ 0,3, SD, DN: 36-42°
*Das Grundstück ist unbebaut und kann sofort mit einer Doppelhaushälfte bebaut werden. Beispiel: Doppelhaushälfte mit 229 m² x 380,00 €/m² = 87.020,00 €.
Sonniger Bauplatz in Calw-Altburg - bebaubar mit Doppelhaushälfte!
75365 Calw
Die vollständige Adresse der Immobilie erhalten Sie vom Anbieter.
Auf Karte anzeigen
Die vollständige Adresse der Immobilie erhalten Sie vom Anbieter.
Finanzierungszertifikat
In nur zwei Minuten zu Ihrem persönlichen Finanzierungszertifkat.
Infos
| Vermarktungsart | Kaufen |
|---|---|
| Grundstücksfläche | 229 m2 |
| Erschließung | Erschlossen |
| Empfohlene Nutzung | Doppelhaus |
| Grundflächenzahl (GRZ) | 0.3 |
| Bebaubar nach | Bebauungsplan |
| Verfügbar ab | Verkauf |
Kosten
| Miete pro Jahr |
87.020 € |
|---|---|
| Provision |
3,57 % inkl. 19 % MwSt. |
Finanzierungsrechner:
Kaufpreis:
600.000 €
Eigenkapital:
600.000 €
Monatliche Rate
0 €
Effektiver Jahreszins
0 %
Sollzinsbindung
10 Jahre
Beschreibung des Objekts
Lage
Der Bauplatz liegt am Rande des Wohngebiets Küllenfeld in Calw-Altburg.
Altburg liegt ca. 5 km westlich vom Calwer Stadtkern.
Der Ort besitzt eine gute Infrastruktur mit einem nahe gelegenen Supermarkt, Apotheke, Gesundheitszentrum mit Allgemeinärzte, Zahnarzt, Bäcker, Metzger, Getränkemarkt und Poststelle usw. Des Weiteren gibt es 2 Kindergärten und die Grundschule. Alle weiterführenden Schulen wie Realschule, Hermann-Hesse-Gymnasium, Berufsschulzentrum und die Musikschule befinden sich in Calw und sind mit dem Bus gut erreichbar.
Mit seinen ca. 3.000 Einwohnern liegt der Ort ca. 600 m über dem Meeresspiegel. Bei gutem Wetter hat man einen freien Blick bis hin zur Schwäbischen Alb. Die sonnige Lage, die Wälder und Wiesen, die sehr gute Infrastruktur und die unmittelbare Nähe zu Calw und den Ballungsräumen zeichnen den Ort aus.
Die Ballungsräume Sindelfingen/Böblingen/Leonberg/Pforzheim sind ca. 25 - 30 km entfernt und in ca. 30 bis 45 Minuten bequem erreichbar. Die Autobahnanschlüsse A 81 oder A 8 sind ebenfalls ca. 25 km entfernt.
Sonstige Angaben
Gerne vereinbaren wir mit Ihnen eine Besichtigung vor Ort, um Ihnen einen umfassenden Eindruck vermitteln zu können. Bitte haben Sie Verständnis dafür, dass wir für den Exposéversand ein vollständig ausgefülltes Kontaktformular benötigen.
(Name, Adresse, Telefonnummer, E-Mailadresse)
Diesem Verkaufsmandat liegt das in unserem Hause bereits seit 30 Jahren übliche, ausschließliche Alleinverkaufsrecht zugrunde und beinhaltet die Nachweispflicht gegenüber unseren Kunden.
Die Angaben in diesem Exposé beruhen auf der uns vorliegenden Informationen. Eine Haftung auf Richtigkeit bzw. Vollständigkeit wird nicht übernommen, Zwischenverkauf vorbehalten.
Bei Fragen freuen wir uns auf Ihren Anruf.
Sind Sie bereits Eigentümer? Gerne bewerten wir auch Ihre Immobilie entsprechend dem aktuellen Marktwert, um eine Ihrem Objekt angepasste Verkaufsstrategie entwickeln zu können und begleiten Sie bis zum erfolgreichen Verkauf.
(Bitte beachten Sie unsere AGB)
Grundriss
Lageplan DHH
>
>