Bei der angebotenen Liegenschaft handelt es sich um 5.236 m² großes Baugrundstück in Michendorf, im Ortsteil Wildenbruch. Dieses weitläufige Grundstück besticht durch eine ruhige und idyllische Lage und erweist sich auch für Bauträger und Projektentwickler als eine sehr vorteilhafte Chance.
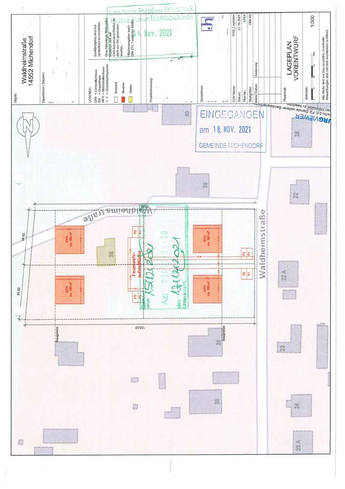
Das Grundstück liegt an einer unbefestigten Strasse und ist rechteckig geschnitten, es weist eine Strassenfront von 50 m sowie eine Tiefe von 104 m auf. Sämtliche Medien (Gas, Wasser, Abwasser, Elektrizität) liegen am Grundstück an.
Das Grundstück ist aktuell mit einem Gartenhaus bebaut. Der bestehende Baumbestand darf im Rahmen einer zukünftigen Bebauung entfernt werden. Eine Fällgenehmigung wurde bis dato noch nicht beantragt, stellt aber nach Auskunft des Eigentümers kein Problem dar.
Für das Gebiet existiert kein Bebauungsplan, so dass sich die zukünftige Bebauung gemäß § 34 BauGB in Art und Maß der baulichen Nutzung der Umgebung anpassen muss. Die Umgebungsbebauung besteht im Wesentlichen aus Wohnbebauung, welche durch Einfamilien- und Doppelhäuser geprägt ist.
Für das Grundstück liegt ein positiver Bauvorbescheid zur Bebauung in 1. und 2. Reihe mit insgesamt vier 1,5-geschossigen Einfamilienhäusern vor. Die genehmigte Grundfläche der jeweiligen Gebäudekörper beträgt 160 m², so dass für die vier Einheiten eine Gesamtwohnfläche von ca. 1.000 m² realisiert werden kann.
Die bereits vorliegende Planung kann vom Erwerber genutzt werden.
Es handelt sich bei dem angegebenen Kaufpreis in Höhe von 690.000,00 EUR um ein Mindestgebotspreis.
Optional wird der professionelle Abriss des Gartenhauses zum Selbstkostenpreis durch den aktuellen Eigentümer angeboten.
Attraktives Baugrundstück mit Bauvorbescheid in Michendorf - OT Wildenbruch
14552 Michendorf
Die vollständige Adresse der Immobilie erhalten Sie vom Anbieter.
Auf Karte anzeigen
Die vollständige Adresse der Immobilie erhalten Sie vom Anbieter.
Finanzierungszertifikat
In nur zwei Minuten zu Ihrem persönlichen Finanzierungszertifkat.
Infos
| Vermarktungsart | Kaufen |
|---|---|
| Grundstücksfläche | 5.236 m2 |
| Empfohlene Nutzung | Einfamilienhaus |
| Bebaubar nach | wie Nachbarbebauung |
| Verfügbar ab | ab sofort |
Kosten
| Miete pro Jahr |
690.000 € |
|---|---|
| Provision |
3,57 % inkl. 19% MwSt |
Finanzierungsrechner:
Kaufpreis:
600.000 €
Eigenkapital:
600.000 €
Monatliche Rate
0 €
Effektiver Jahreszins
0 %
Sollzinsbindung
10 Jahre
Beschreibung des Objekts
Lage
Die Gemeinde Michendorf liegt im Landkreis Potsdam-Mittelmark in einem ausgedehnten Waldgebiet etwa neun Kilometer südlich von Potsdam. Die Ortsteile Fresdorf, Stücken und Wildenbruch liegen im Naturpark Nuthe-Nieplitz. Im Süden grenzt die Gemeinde an den Großen Seddiner See. Im westlichen Teil des Gemeindegebietes liegen der Große und der Kleine Lienewitzsee. Im Süden gehören der Fresdorfer See, das Poschfenn und der Katzwinkel zum Gemeindegebiet.
Michendorf zählt ca. 13.000 Einwohner und hat sich in den vergangenen Jahren zu einer der beliebtesten Gemeinden rund um die angrenzende Landeshauptstadt Potsdam entwickelt. Michendorf verfügt über einen Regionalbahnhof, von welchem Sie in ca. 10 Min. den Potsdamer Hauptbahnhof, in ca. 25 Min. Berlin-Charlottenburg und in etwa 35 Min. den Berliner Hauptbahnhof erreichen. Auch eine Bushaltestelle (Michendorf-Potsdam) ist ebenfalls fußläufig zu erreichen.
Michendorf ist eine sehr familienfreundliche Gemeinde mit ausreichenden Schulen (Grundschule, Gymnasium) und Kindergärten. Außerdem befinden sich diverse Supermärkte und Geschäfte sowie Einrichtungen des täglichen Bedarfs im Ort.
Grundriss
Flurstück
>
>
Auszug_Vorbescheid
>
>