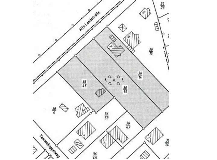
Eingebettet in wunderschöne Natur liegt dieses Grundstück trotzdem verkehrsgünstig. Es ist rechtwinklig, mit einer Straßenfront von etwa 22 m und einer Grundstückstiefe von über 50 m.
Bebauung entsprechend B-Plan (Bebauungsplan A16 Schäferdresch, 2. Änderung vom 24.04.2013) mit Einzelhaus möglich. GRZ 0,2.
In unmittelbarer Nachbarschaft zum Grundstück befinden sich ein Feld und ein grandioser Baumbestand, der ein attraktives Naturerlebnis direkt vor der Haustür ermöglicht - und in heißen Sommermonaten auch eine angenehme Abkühlung durch die Grünflächen.
Provisionsfrei! Herrliches Bau-Grundstück im Grünen
Alte Landstraße 96,
22949 Ammersbek
Auf Karte anzeigen
Finanzierungszertifikat
In nur zwei Minuten zu Ihrem persönlichen Finanzierungszertifkat.
Infos
| Vermarktungsart | Kaufen |
|---|---|
| Grundstücksfläche | 1.116 m2 |
| Erschließung | Erschlossen |
| Grundflächenzahl (GRZ) | 0.2 |
| Bebaubar nach | Bebauungsplan |
| Verfügbar ab | 10.7.2025 |
Kosten
| Miete pro Jahr |
324.900 € |
|---|---|
| Provision | Nein |
Finanzierungsrechner:
Kaufpreis:
600.000 €
Eigenkapital:
600.000 €
Monatliche Rate
0 €
Effektiver Jahreszins
0 %
Sollzinsbindung
10 Jahre
Beschreibung des Objekts
Lage
Verkehrsgünstige Lage zwischen Hamburg und Bargteheide. Vor dem Grundstück befindet sich eine Bus-Haltestelle. Die Straße und die Buslinie führen direkt nach Hamburg (U-Bahn Hoisbüttel, S-Bahn Poppenbüttel) und nach Bargteheide.
In Bargteheide und auch in Ahrensburg finden sich gute Einkaufs-, Sport- und Freizeit-Möglichkeiten sowie Grundschulen und alle weiterführenden Schulen.
Das Grundstück liegt in Ammersbek im Ortsteil Schäferdresch, der geprägt ist von einer Bebauung mit gepflegten Einzelhäusern unter Wahrung eines Baumbestandes.
Grundriss
Karte
>
>