Das großzügig ausgelegte Grundstück liegt mit perfekter Süd-West-Ausrichtung, ca. 2 km von der Gemeinde Reichertshofen entfernt.
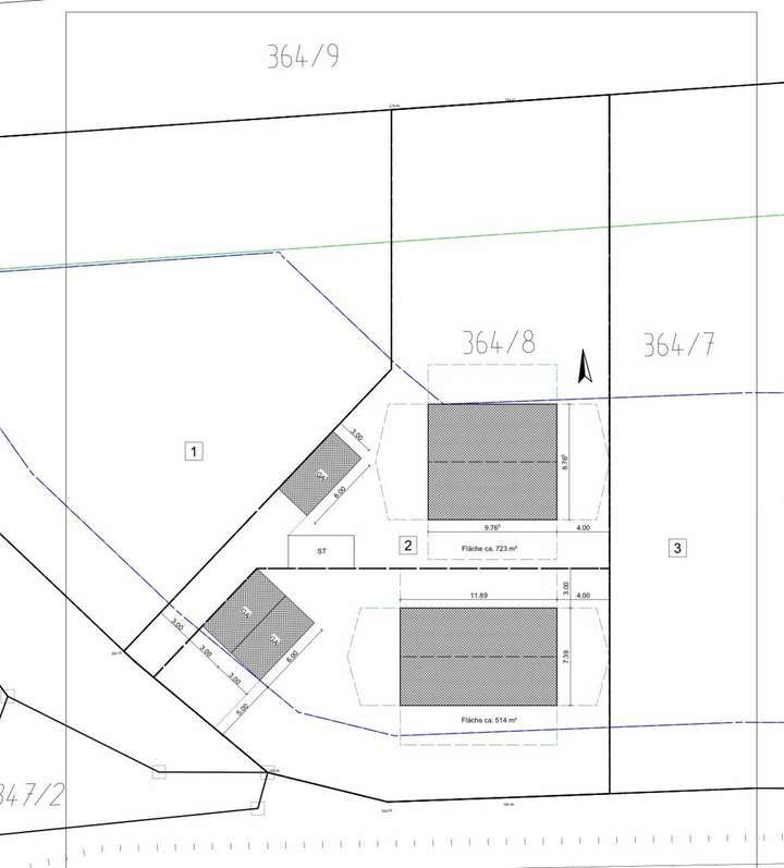
Das schöne Mittelgrundstück mit grünem Ausblick kann in zwei Bauparzellen mit ca. 514 m² und ca. 723 m² geteilt werden. Diese können jeweils mit einem Einfamilienhaus und zwei Vollgeschossen bebaut werden.
Das Grundstück ist bis zur Grundstücksgrenze hin erschlossen mit Kanal, Wasser und Strom.
Der Blick ist wunderschön mit unverbauten Feldern. Mehr in der Natur und näher an jeglicher Infrastruktur geht fast nicht.
Der Bauplatz ist geeignet für Familien, die sich ihren Traum von einem Eigenheim in absolut ruhiger Umgebung verwirklichen will.
Kontaktieren Sie uns gerne für weitere Informationen oder eine Besichtigung.
Webseite:
https://www.loft21.de/
Instagram:
https://www.instagram.com/loft21.de/
** Großzügiges Baugrundstück in ruhiger Wohnlage von Reichertshofen **
85084 Reichertshofen
Die vollständige Adresse der Immobilie erhalten Sie vom Anbieter.
Auf Karte anzeigen
Die vollständige Adresse der Immobilie erhalten Sie vom Anbieter.
Finanzierungszertifikat
In nur zwei Minuten zu Ihrem persönlichen Finanzierungszertifkat.
Infos
| Vermarktungsart | Kaufen |
|---|---|
| Grundstücksfläche | 1.237 m2 |
| Empfohlene Nutzung | Einfamilienhaus |
| Bebaubar nach | wie Nachbarbebauung |
Kosten
| Miete pro Jahr |
595.000 € |
|---|---|
| Provision |
3,57 % inkl. MwSt. |
Finanzierungsrechner:
Kaufpreis:
600.000 €
Eigenkapital:
600.000 €
Monatliche Rate
0 €
Effektiver Jahreszins
0 %
Sollzinsbindung
10 Jahre
Beschreibung des Objekts
Lage
Die Lage des Grundstücks kann als sehr gut bezeichnet werden: absolut ruhig und zugleich verkehrsgünstig.
Die Bundesstraße B13 ist in kürzester Zeit zu erreichen, und über die anschließende B300 sind es dann nur ein paar weitere Minuten zur Anschlussstelle der A9 Langenbruck mit allen Fernverbindungen oder in die andere Richtung nach Schrobenhausen, Aichach, Augsburg und Ingolstadt. Sollten Sie öffentliche Verkehrsmittel bevorzugen, so bietet sich die Bahn an. Der Bahnhof der Linie München-Nürnberg in Baar-Ebenhausen ist nur 3 km entfernt.
Für einen bequemen Alltag sorgen unter anderem mehrere Supermärkte, eine Bäckerei, diverse Cafés und Restaurants sowie zwei Bankfilialen in der nur 2 km entfernten Gemeinde Reichertshofen. Familien schätzen die Nähe zu Kindergarten, Grund- und Mittelschule sowie mehreren Spielplätzen.
In der Umgebung:
• 01 min / ca. 0,1 km Bushaltestelle
• 06 min / ca. 3,8 km Lebensmittel
• 05 min / ca. 2,5 km Restaurant
• 10 min / ca. 7,2 km Autobahn
• 06 min / ca. 2,9 km Kindergarten
• 03 min / ca. 1,7 km Mittelschule
• 19 min / ca. 15,8 km Realschule
• 28 min / ca. 15,5 km Gymnasium
• 22 min / ca. 15,7 km Ingolstadt
• 60 min / ca. 70,0 km München
Sonstige Angaben
Wir weisen darauf hin, dass die von uns weitergegebenen Objektinformationen, Unterlagen, Pläne etc. vom Verkäufer stammen. Eine Haftung für die Richtigkeit oder Vollständigkeit der Angaben übernehmen wir daher nicht. Es obliegt daher unseren Kunden, die darin enthaltenen Objektinformationen und Angaben auf ihre Richtigkeit hin zu überprüfen. Alle Immobilienangebote sind freibleibend und vorbehaltlich Irrtümer, Zwischenverkauf- und Vermietung oder sonstiger Zwischenverwertung.
Grundriss
Mögliche Bebauung
>
>