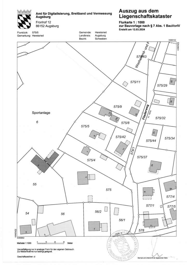
Zum Verkauf steht ein großzügiges, voll erschlossenes Grundstück(Flurnummer 575/5) mit einer Fläche von 1.604 m² im idyllischen Ortsteil Heretsried.
Das Grundstück liegt in leichter Hanglage und bietet einen weiten, unverbaubaren Blick über das Tal und die angrenzende Landschaft.
Direkt vor dem Grundstück befindet sich ein Fußballfeld, wodurch die Aussicht dauerhaft unverbaut bleibt – ein seltener Vorteil, der langfristig den besonderen Charakter und Wert dieser Lage sichert.
Auf dem Grundstück befindet sich derzeit ein Altbestand, der zum Abriss vorgesehen ist. Damit eignet sich das Grundstück ideal für einen Neubau nach individuellen Vorstellungen.
Die Bebauung richtet sich nach § 34 Baugesetzbuch (BauGB), also im Rahmen der Nachbarschaftsbebauung. Dadurch ist eine Bebauung entsprechend der umliegenden Wohnhäuser möglich.
Eine Bauvoranfrage für eine Doppelhaushälfte liegt bereits vor, ein großer Pluspunkt für alle, die schnell und rechtssicher in die Planung starten möchten.
Grundstück mit Altbestand und Weitblick in Heretsried
86465 Heretsried
Die vollständige Adresse der Immobilie erhalten Sie vom Anbieter.
Auf Karte anzeigen
Die vollständige Adresse der Immobilie erhalten Sie vom Anbieter.
Finanzierungszertifikat
In nur zwei Minuten zu Ihrem persönlichen Finanzierungszertifkat.
Infos
| Vermarktungsart | Kaufen |
|---|---|
| Grundstücksfläche | 1.604 m2 |
| Grundflächenzahl (GRZ) | 0 |
| Geschossflächenzahl (GFZ) | 0 |
Kosten
| Miete pro Jahr |
419.000 € |
|---|---|
| Provision |
3.57% inkl. MwSt vom Kaufpreis fällig nach Notartermin. 3,57% inkl. MwSt. vom Kaufpreis fällig nach Notartermin |
Finanzierungsrechner:
Kaufpreis:
600.000 €
Eigenkapital:
600.000 €
Monatliche Rate
0 €
Effektiver Jahreszins
0 %
Sollzinsbindung
10 Jahre
Beschreibung des Objekts
Lage
Das Grundstück befindet sich in Heretsried, einem Ortsteil der Gemeinde Gablingen im Landkreis Augsburg (Bayern).
Heretsried liegt malerisch im Naturpark Augsburg – Westliche Wälder und bietet eine seltene Kombination aus ländlicher Ruhe, Naturverbundenheit und Nähe zur Stadt.
Die Umgebung ist geprägt von gepflegten Einfamilienhäusern, grünen Gärten und weitläufigen Landschaften.
Die Stadt Augsburg ist in etwa 10–15 Minuten mit dem Auto erreichbar. Über die Autobahn A8 (Adelsried oder Neusäß) besteht eine hervorragende Anbindung nach München, Ulm und Stuttgart. Einkaufsmöglichkeiten, Schulen und Kindergärten befinden sich in den umliegenden Gemeinden Gablingen, Lützelburg und Neusäß.
Vorteile der Lage
*Ruhige, familienfreundliche Wohngegend
*Idyllische Hanglage mit schöner Aussicht
*Hoher Freizeitwert durch Naturpark, Rad- und Wanderwege
*Sehr gute Verkehrsanbindung an Augsburg und die A8.
Fazit:
Ein einzigartiges Baugrundstück mit traumhaftem, dauerhaft freiem Blick ins Grüne. Perfekt für alle, die individuelles Wohnen in naturnaher Umgebung suchen.
Grundriss
Lageplan
>
>