In ruhiger und gewachsener Wohnlage von Edling befindet sich dieses charmante kleine Grundstück für die Bebauung mit einem Einfamilienhaus. Die Umgebung ist geprägt von gepflegten Wohnhäusern und viel Grün – hier genießen Sie ein harmonisches Wohnumfeld mit ländlichem Flair und gleichzeitig kurzer Anbindung an die Stadt Wasserburg am Inn.
Das Grundstück überzeugt durch seine überschaubare Größe, die Ihnen eine kosteneffiziente Bebauung ermöglicht, ohne auf Freiraum zu verzichten. Ob als Zuhause für eine kleine Familie, für Paare oder als Altersruhesitz, hier lässt sich ein individuelles Wohnkonzept realisieren.
Edling – Baugrundstück mit großem Potenzial
83533 Edling
Die vollständige Adresse der Immobilie erhalten Sie vom Anbieter.
Auf Karte anzeigen
Die vollständige Adresse der Immobilie erhalten Sie vom Anbieter.
Finanzierungszertifikat
In nur zwei Minuten zu Ihrem persönlichen Finanzierungszertifkat.
Infos
| Vermarktungsart | Kaufen |
|---|---|
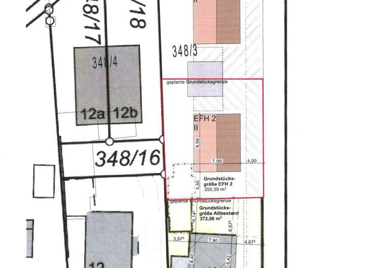
| Grundstücksfläche | 350,39 m2 |
Kosten
| Miete pro Jahr |
199.000 € |
|---|---|
| Provision | Nein |
Finanzierungsrechner:
Kaufpreis:
600.000 €
Eigenkapital:
600.000 €
Monatliche Rate
0 €
Effektiver Jahreszins
0 %
Sollzinsbindung
10 Jahre
Beschreibung des Objekts
Lage
Das Grundstück befindet sich in ruhiger und sonniger Lage in Edling, nur wenige Minuten von Wasserburg am Inn entfernt. Die Umgebung ist geprägt von gepflegten Wohnhäusern und viel Grün – ideal für alle, die ein naturnahes und dennoch gut angebundenes Zuhause suchen.
Edling bietet eine hervorragende Infrastruktur mit Einkaufsmöglichkeiten, Kindergarten, Schule, Ärzten und einem eigenen Bahnhof mit Verbindung nach Wasserburg und München. Die Nähe zu Rosenheim und die gute Erreichbarkeit über die B304 machen den Standort besonders attraktiv.
Die reizvolle Landschaft rund um Edling lädt zu Spaziergängen, Radtouren und Erholung im Grünen ein. Hier verbinden sich ländliche Ruhe und zentrale Lage zu einem perfekten Ort zum Leben und Wohlfühlen.
Sonstige Angaben
Für das Grundstück liegt bereits eine Baugenehmigung für ein Einfamilienhaus vor, welches auch zwingend gem. der Planung erstellt werden muss.
Eine Erschließung nach Baugesetzbuch ist erfolgt.
Bitte sprechen Sie uns an und vereinbaren Sie einen Beratungs- und/oder Besichtigungstermin mit Ihrem persönlichen Immobilienberater. Ihr Ansprechpartner ist:
Herr Günter Rappold
Tel: 08081-939014
Mobil: 0170-4347035