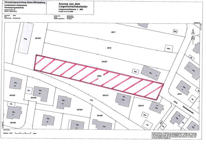
Kein Teilflächenverkauf !
Zum Verkauf steht ein großes Grundstück in sehr guter Lage in Gerstetten - Gussenstadt.
Das Grundstück wird nur im Gesamten zum Kauf angeboten, es werden keine Teilflächen verkauft.
Das Grundstück ist nicht bebaut.
Für einen Neubau ideal ! Egal ob Einfamilienhaus, Doppelhaus, hier lässt sich einiges verwirklichen.
Das Flurstück 2020 ist nicht Teil eines Bebauungsplans.
Im Flächennutzungsplan ist der östliche, an der Eichholzstraße gelegene Teil der Fläche als Wohnbaufläche, der übrige westlichere Teil der Fläche als Mischbaufläche dargestellt.
Für einen konkreten Bebauungswunsch rät die Gemeinde Gerstetten zu einer Bauvoranfrage.
Wird lediglich an der Eichholzstraße gebaut analog der Nachbargrundstücke wird jedoch eine Bebauung als unproblematisch angesehen.
Grundstück für Neubauvorhaben in schöner Lage in Gussenstadt
Eichholzstr. 8,
89547 Gerstetten
Auf Karte anzeigen
Finanzierungszertifikat
In nur zwei Minuten zu Ihrem persönlichen Finanzierungszertifkat.
Infos
| Vermarktungsart | Kaufen |
|---|---|
| Grundstücksfläche | 1.957 m2 |
| Erschließung | Erschlossen |
| Bebaubar nach | wie Nachbarbebauung |
| Verfügbar ab | sofort |
Kosten
| Miete pro Jahr |
120.000 € |
|---|---|
| Provision |
3,57% Die vom Käufer zu entrichtende Maklercourtage beträgt 3% aus dem notariellen Kaufpreis zzgl. 19% MwSt. = 3,57%. Hierüber ist mit der Fa. Koller Immobilien GmbH eine separate Vereinbarung zu treffen. |
Finanzierungsrechner:
Kaufpreis:
600.000 €
Eigenkapital:
600.000 €
Monatliche Rate
0 €
Effektiver Jahreszins
0 %
Sollzinsbindung
10 Jahre
Beschreibung des Objekts
Lage
Sehr ruhige und gefragte Lage.
Sonstige Angaben
===========================
Das Angebot ist freibleibend und ohne Gewähr. Zwischenverkauf bleibt ausdrücklich vorbehalten. Die Daten wurden uns von Dritten übermittelt und sind ohne Gewähr, zudem übernehmen wir dafür keine Haftung. Insbesondere Daten wie z.B. Grundstücksflächen sind ca. Werte.
Bitte nehmen Sie Kontakt mit uns auf, wenn Sie weitere Fragen zur Immobilie haben oder einen unverbindlichen Beratungstermin vereinbaren möchten.