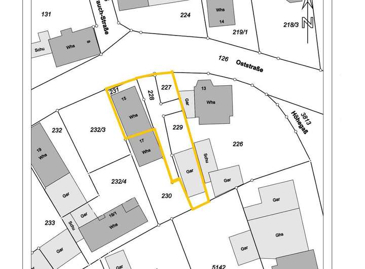
In zentraler Wohnlage von Rastatt-Ottersdorf kommt dieses vielseitige Grundstück zum Verkauf. Das Anwesen umfasst mehrere zusammenhängende Flurstücke (227, 228, 229 und 231) und bietet damit eine seltene Gelegenheit für Bauherren, Entwickler oder Investoren, die ein Grundstück mit hohem Entwicklungspotenzial suchen.
Auf dem vorderen Grundstücksbereich befindet sich der Altbestand (Brandruine) des Einfamilienhauses, welches ursprünglich mit etwa 130 m² Wohnfläche erbaut wurde.
Im rückwärtigen Bereich des Grundstücks befindet sich eine ältere Scheune, welche zuletzt als Lagerfläche genutzt wurde.
Zudem besteht nach badischem Landrecht ein Miteigentumsrecht an der gemeinschaftlichen Verkehrsfläche ,Flurstück 228, ohne festgelegte Anteile oder Flächenquoten.
Das Flurstück hat eine Größe von 126m² & ist in der Grundstücksgröße nicht berücksichtigt.
Die Umgebung ist geprägt von gepflegten Wohnhäusern, gewachsener Nachbarschaftsstruktur und ruhigen Straßen – ein idealer Standort für eine hochwertige Neubebauung.
Die zukünftige Bebauung richtet sich nach § 34 BauGB. Damit erfolgt die Bebauung im Einklang mit der ortsüblichen Bebauung, was attraktive Gestaltungsmöglichkeiten innerhalb des bestehenden Straßen- und Ortsbildes eröffnet.
Entwicklungsgrundstück mit Altbestand & Scheune in zentraler Lage von Rastatt-Ottersdorf
76437 Rastatt
Die vollständige Adresse der Immobilie erhalten Sie vom Anbieter.
Auf Karte anzeigen
Die vollständige Adresse der Immobilie erhalten Sie vom Anbieter.
Finanzierungszertifikat
In nur zwei Minuten zu Ihrem persönlichen Finanzierungszertifkat.
Infos
| Vermarktungsart | Kaufen |
|---|---|
| Grundstücksfläche | 355 m2 |
| Erschließung | Erschlossen |
| Empfohlene Nutzung | Einfamilienhaus, Garagen, Garten |
| Bebaubar nach | wie Nachbarbebauung |
| Verfügbar ab | sofort |
Kosten
| Miete pro Jahr |
130.000 € |
|---|---|
| Provision |
3,57 % Wir arbeiten mit einer Erfolgscourtage. Diese wird bei erfolgreicher Beurkundung von Käufer, sowie Verkäufer fällig und beläuft sich auf jeweils 3,57 % (Inkl. MwSt.) von dem beurkundeten Preis. |
Finanzierungsrechner:
Kaufpreis:
600.000 €
Eigenkapital:
600.000 €
Monatliche Rate
0 €
Effektiver Jahreszins
0 %
Sollzinsbindung
10 Jahre
Beschreibung des Objekts
Lage
Entdecken Sie die ideale Lage dieser Immobilie in Rastatt Ottersdorf. Hier genießen Sie die Ruhe und Idylle einer kleinen Ortschaft, während Sie gleichzeitig von der Nähe zu modernen Annehmlichkeiten profitieren.
Die Gemeinde Ottersdorf besticht durch ihr historisches Flair und die gut erhaltenen traditionellen Gebäude. Gleichzeitig gibt es einige Neubauten, die für ein zeitgemäßes Wohnambiente sorgen.
In unmittelbarer Nähe finden Sie alles, was Sie für den Alltag benötigen:
- Einkaufen: Lokale Geschäfte und Supermärkte sind nur wenige Gehminuten entfernt.
- Schulen und Kindergärten: Bildungseinrichtungen sind leicht erreichbar.
- Öffentliche Verkehrsmittel: Bushaltestellen und Bahnverbindungen bieten eine bequeme Anbindung an Rastatt und die umliegenden Städte.
- Freizeitmöglichkeiten: Parks, Spielplätze und lokale Veranstaltungen sorgen für abwechslungsreiche Freizeitgestaltung.
Ottersdorf verbindet auf einzigartige Weise den Charme dörflichen Lebens mit der Bequemlichkeit moderner Infrastruktur. Diese Immobilie ist perfekt für diejenigen, die Wert auf eine zentrale, aber dennoch ruhige Lage legen.
Sonstige Angaben
Der hintere Grundstücksteil (Wohnhaus) gehört nicht zum Verkaufsgegenstand und steht in fremdem Eigentum. Die dortige Bebauung sowie die Nutzung bleiben unverändert und sind nicht Bestandteil des Angebots.
• Haben wir Ihr Interesse geweckt?
Wir freuen uns über Ihre Anfrage und eine persönliche Besichtigung vor Ort.
• Wir arbeiten ausschließlich auf Basis eines Erfolgshonorars.
Die Maklercourtage für den Käufer in Höhe von 3.57 % (Inklusive MwSt.) ist verdient und fällig mit der notariellen Beurkundung des Kaufvertrags.
• Bei Finanzierungsfragen stehen wir gerne unterstützend zur Seite. Wir arbeiten mit erfahrenen und unabhängigen Finanzierungsexperten zusammen, die Ihnen individuell zugeschnittene Finanzierungslösungen anbieten können.
Sprechen Sie uns einfach an, wir stellen den Kontakt her.
• Alle Angaben in diesem Expose wurden sorgfältig und nach bestem Wissen zusammengestellt. Sie basieren auf den Informationen des Eigentümers bzw. Dritter. Eine Haftung für die Richtigkeit, Vollständigkeit oder Aktualität dieser Angaben kann, trotz unserer Bemühungen um größtmögliche Genauigkeit, nicht übernommen werden.