Das Grundstück in 61130 Nidderau-Windecken bietet eine außergewöhnlich attraktive Grundlage für eine moderne und wirtschaftlich starke Projektentwicklung.
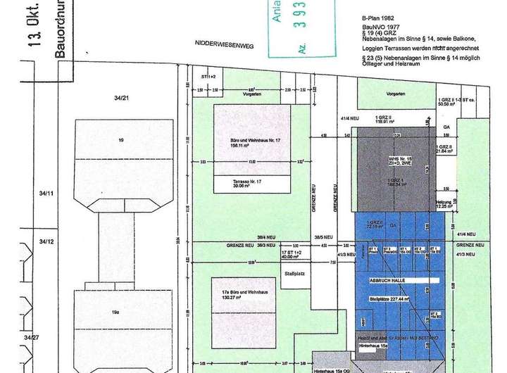
Die gültige Bauvoranfrage bestätigt bereits die Realisierbarkeit zweier Baukörper mit einer überbauten Fläche von rund 292 m² (Vorderhaus ca. 156 m² + 40 m² Terrasse, Hinterhaus ca. 136 m²).
Damit ist die grundsätzliche Bebaubarkeit gesichert und ein baurechtlich tragfähiger Ausgangspunkt geschaffen.
Die planungsrechtlichen Kennwerte des Areals – GRZ 0,4 und GFZ 0,8 – eröffnen jedoch ein erhebliches Entwicklungspotenzial:
Auf dem 1.147 m² großen Grundstück ist eine maximal zulässige Grundfläche von rund 459 m² (GRZ 0,4) sowie eine Gesamtgeschossfläche von bis zu ca. 918 m² (GFZ 0,8) möglich. Die aktuelle Bauvoranfrage nutzt hiervon mit einer überbauten Fläche von etwa 292 m² nur rund 64 % der möglichen Grundfläche.
Eine weiterführende Planung kann diese Reserven gezielt und wertschöpfend ausschöpfen.
Städtebaulich fügt sich eine kompaktere, einheitliche Bauform weiterhin ideal in die Umgebungsstruktur ein. Die Nachbarbebauung besteht aus Erdgeschoss, Obergeschoss und ausgebautem Dachgeschoss – exakt der Kubatur, die auch hier umgesetzt werden kann.
Aus den gegebenen Kennwerten lässt sich ein optimiertes Konzept ableiten:
Statt zweier einzelner Gebäude kann ein klarer, dreigeschossiger Baukörper (EG + 1. OG + DG/Staffelgeschoss) mit einer Grundfläche von ca. 290 m² realisiert werden.
Zulässige Grundfläche: ca. 459 m²
Geplante Grundfläche: ca. 290 m² → liegt deutlich unter der GRZ-Grenze
Daraus resultierende Gesamtgeschossfläche: ca. 870 m² (3 Geschosse × 290 m²)
Zulässige Gesamtgeschossfläche: ca. 918 m² → das Konzept bleibt klar innerhalb der GFZ-Grenze
Damit wird die vorhandene GFZ sehr effizient genutzt, ohne die rechtlichen Rahmenbedingungen auszureizen. Gleichzeitig bleibt ein komfortabler Puffer, etwa für Technik-, Neben- oder Gemeinschaftsflächen.
Die gewünschte Gewerbe-Wohn-Mischung lässt sich in diesem Konzept passgenau abbilden – beispielsweise durch ein gewerbliches Boardinghaus oder Dienstleistungsflächen im Erdgeschoss und moderne Wohneinheiten in den Obergeschossen, optional ergänzt um ein hochwertiges Penthouse im Dach- bzw. Staffelgeschoss.
So entsteht ein Projekt, das
auf einer verlässlichen, bereits geprüften Genehmigungsbasis aufbaut,
die GRZ 0,4 und GFZ 0,8 optimal ausnutzt,
sich harmonisch in das städtebauliche Umfeld einfügt und
zugleich ein wirtschaftlich hoch attraktives, nachhaltig tragfähiges Investment darstellt.
Dieses Grundstück vereint somit Planungssicherheit durch die bestehende Bauvoranfrage mit klar erkennbaren Reserven für eine optimierte, wertsteigernde Nutzung im Rahmen von GRZ 0,4 und GFZ 0,8.
Optimale Entwicklungschance – Grundstück mit gültiger Bauvoranfrage und erweiterbarem Potenzial
61130 Nidderau
Die vollständige Adresse der Immobilie erhalten Sie vom Anbieter.
Auf Karte anzeigen
Die vollständige Adresse der Immobilie erhalten Sie vom Anbieter.
Finanzierungszertifikat
In nur zwei Minuten zu Ihrem persönlichen Finanzierungszertifkat.
Infos
| Vermarktungsart | Kaufen |
|---|---|
| Grundstücksfläche | 1.147 m2 |
| Grundflächenzahl (GRZ) | 0.4 |
| Geschossflächenzahl (GFZ) | 0.8 |
| Verfügbar ab | Sofort |
Kosten
| Miete pro Jahr |
649.000 € |
|---|---|
| Provision |
5,95% inkl. MwSt. |
Finanzierungsrechner:
Kaufpreis:
600.000 €
Eigenkapital:
600.000 €
Monatliche Rate
0 €
Effektiver Jahreszins
0 %
Sollzinsbindung
10 Jahre
Beschreibung des Objekts
Lage
Das Grundstück befindet sich in zentraler, zugleich angenehm ruhiger Lage von Nidderau-Windecken, einem der gefragtesten Wohn- und Gewerbeteile der Stadt Nidderau. Die Umgebung ist geprägt von einer ausgewogenen Mischung aus Wohnbebauung, kleinteiligem Gewerbe und guter innerörtlicher Infrastruktur.
Die Lage bietet eine verkehrsberuhigte, angenehme Straßenführung mit kurzen Wegen zu allen wichtigen Einrichtungen des täglichen Bedarfs.
Hervorragende Verkehrsanbindung
Die Lage überzeugt durch eine sehr gute Erreichbarkeit sowohl innerhalb des Rhein-Main-Gebiets als auch darüber hinaus:
Hanau: ca. 10–12 Minuten Fahrzeit
Bad Vilbel: ca. 20 Minuten
Frankfurt am Main (Zentrum): ca. 25–30 Minuten
Flughafen Frankfurt: ca. 35 Minuten
Mehrere wichtige Verkehrsknotenpunkte befinden sich in unmittelbarer Nähe:
B45: in wenigen Minuten erreichbar
B521 / B3 Richtung Frankfurt & Bad Vilbel
A66 (Frankfurt–Fulda): ca. 10 Minuten
A45 (Hanau–Gießen): ca. 10 Minuten
A661 (Bad Vilbel – Frankfurt Ost): ca. 20 Minuten
Damit bietet der Standort eine exzellente Anbindung für Pendler, Dienstleister und Gewerbebetriebe.
ÖPNV – Bahnhöfe und S-Bahn
Nidderau verfügt über sehr gute Bahnverbindungen in Richtung Frankfurt, Hanau, Friedberg und Gießen.
Bahnhof Nidderau-Windecken: ca. 5 Minuten entfernt
Anschluss: RB34 (Frankfurt – Stockheim), stündlich
Bahnhof Nidderau (Eichen/Heldenbergen): ca. 7 Minuten
Verbindung nach Hanau & Friedberg
Von Nidderau besteht direkter Anschluss an die S-Bahn Rhein-Main über Frankfurt West, Frankfurt Hbf und Frankfurt Süd.
Damit ist der Standort auch für Berufspendler hervorragend geeignet.
Einkaufsmöglichkeiten und alltägliche Versorgung
Alle wichtigen Einrichtungen des täglichen Lebens befinden sich in unmittelbarer Nähe:
Edeka, Rewe, Aldi, Lidl in wenigen Minuten erreichbar
Bäckereien, Metzgereien, Apotheken direkt im Ort
Restaurants, Cafés und regionale Gastronomie fußläufig erreichbar
Baumärkte und größere Fachmärkte im nahegelegenen Hanau und Maintal
Die Lage ermöglicht kurze Wege für Bewohner, Berufspendler oder Gäste eines Boardinghauses.
Ärzte, Gesundheit & medizinische Versorgung
Die medizinische Infrastruktur ist hervorragend ausgebaut:
Hausärzte, Fachärzte (Internisten, Orthopäden), Zahnärzte in Nidderau
Mehrere Physio- und Therapiepraxen unmittelbar im Umfeld
Städtisches Klinikum Hanau: ca. 12 Minuten
Klinikum Frankfurt Höchst / Frankfurt Nordwest: ca. 25–30 Minuten
Damit eignet sich die Lage ideal für Familien, Senioren und Geschäftsreisende.
Schulen & Kinderbetreuung
Nidderau bietet ein breites Bildungs- und Betreuungsangebot:
Grundschule Windecken (ca. 3 Minuten entfernt)
Diverse Kitas und Kindergärten fußläufig erreichbar
Gymnasien und weiterführende Schulen in Nidderau, Hanau und Bad Vilbel
Gute Erreichbarkeit für Schüler durch Bus- und Bahnlinien
Damit ist der Standort auch für Wohnnutzungen familienfreundlich und zukunftssicher.
Freizeit, Natur & Lebensqualität
Die Umgebung verbindet ruhiges Wohnen mit kurzen Wegen zur Natur:
Windecker Altstadt mit historischem Ortskern
Naherholungsgebiete entlang der Nidder
Zahlreiche Rad- und Wanderwege
Sportanlagen, Fitnessstudios und Vereine im ganzen Stadtgebiet
Vielfältige Kultur- und Freizeitangebote in Nidderau und Hanau
Der Standort bietet eine hohe Lebensqualität – ideal für Wohnen, Arbeiten und temporäres Wohnen.
Gesamtfazit zur Lage
Die Lage gehört zu den attraktivsten Bereichen innerhalb Nidderau-Windeckens.
Kurze Wege, hervorragende Verkehrsanbindung, vollständige Infrastruktur und Nähe zu den wirtschaftsstarken Städten Hanau und Frankfurt machen das Grundstück besonders interessant – sowohl für Wohnprojekte als auch für gewerbliche Nutzungen wie Boardinghäuser oder Dienstleistungsflächen.
Sonstige Angaben
Interesse geweckt? Kontaktieren Sie uns gerne für weitere Informationen oder zur Vereinbarung eines Besichtigungstermins!
Wenn Sie einen Besichtigungstermin wünschen, bitten wir um eine schriftliche Anfrage.
Bitte beachten Sie, dass vor der Vergabe eines Besichtigungstermins ein Kapitalnachweis in Höhe des Kaufpreises oder eine Finanzierungsbestätigung erforderlich ist.
Auf Wunsch stellen wir Ihnen vorab alle relevanten Unterlagen zur Immobilie zur Verfügung – so haben Sie die Möglichkeit, Ihre Finanzierung rechtzeitig zu prüfen.
Alle Angaben basieren auf den Informationen des Eigentümers bzw. der Eigentümerin.
Für deren Richtigkeit und Vollständigkeit übernehmen wir keine Gewähr. Zwischenverkauf sowie Irrtümer bleiben vorbehalten.
Die Käuferprovision in Höhe von 5,95% auf den Kaufpreis einschließlich gesetzlicher Mehrwertsteuer ist bei notariellem Vertragsabschluss verdient und fällig.