Das Grundstück im Grünen liegt an einem Privatweg auf direkter Linie zwischen dem Ortskern von Hövelhof und der Auffahrt
zur A33 und ist wie alle Immobilien im Außenbereich autark: Eigener Brunnen, eigener Gastank und Anschluss an eine bereits existierende Gemeinschaftskläranlage. Telefon und Strom kommen
natürlich vom Versorger.
Die Details
- Bauträger und Courtagefrei - Keine Verpflichtungen
- Ab 1.1.2026 zu verkaufen
- Ruhige Umgebung: Ländlich mit viel Natur. Unverbaubar.
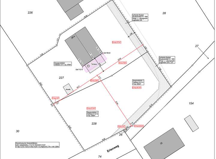
- Es stehen zwei Grundstücke gleicher Größe einzeln zum Verkauf.
- Anteilige Betriebskosten Kleinkläranlage: ca. 300€
- Rot Markierte Linie im Vermessungsplan markiert die
Grundstücksgrenzen
- Fahren Sie gerne vorbei und machen Sie sich ihr eigenes Bild.
Adresse steht im Expose.
- Ein Bauantrag wurde bereits von der Behörde genehmigt.
Expose als PDF: https://nc.octogate.de/s/2xEkbH7ao9DjD2t
Perfektes Grundstück im Grünen
33161 Hövelhof
Die vollständige Adresse der Immobilie erhalten Sie vom Anbieter.
Auf Karte anzeigen
Die vollständige Adresse der Immobilie erhalten Sie vom Anbieter.
Finanzierungszertifikat
In nur zwei Minuten zu Ihrem persönlichen Finanzierungszertifkat.
Infos
| Vermarktungsart | Kaufen |
|---|---|
| Grundstücksfläche | 540 m2 |
| Erschließung | Teilerschlossen |
| Grundflächenzahl (GRZ) | 0.4 |
| Geschossflächenzahl (GFZ) | 1.5 |
| Verfügbar ab | 15.12.2025 |
Kosten
| Miete pro Jahr |
0 € |
|---|---|
| Provision | Nein |
Finanzierungsrechner:
Kaufpreis:
600.000 €
Eigenkapital:
600.000 €
Monatliche Rate
0 €
Effektiver Jahreszins
0 %
Sollzinsbindung
10 Jahre
Beschreibung des Objekts
Lage
Das Grundstück liegt gleichzeitig zentral 2km vom Hövelhofer Ortskern entfernt und 5 Kilometer von der Auffahrt zur A33 entfernt.
Die Aussicht ins Grüne ist unverbaubar !