Zum Hauptinhalt springen

Grundstück in Südhanglage, teilerschlossen

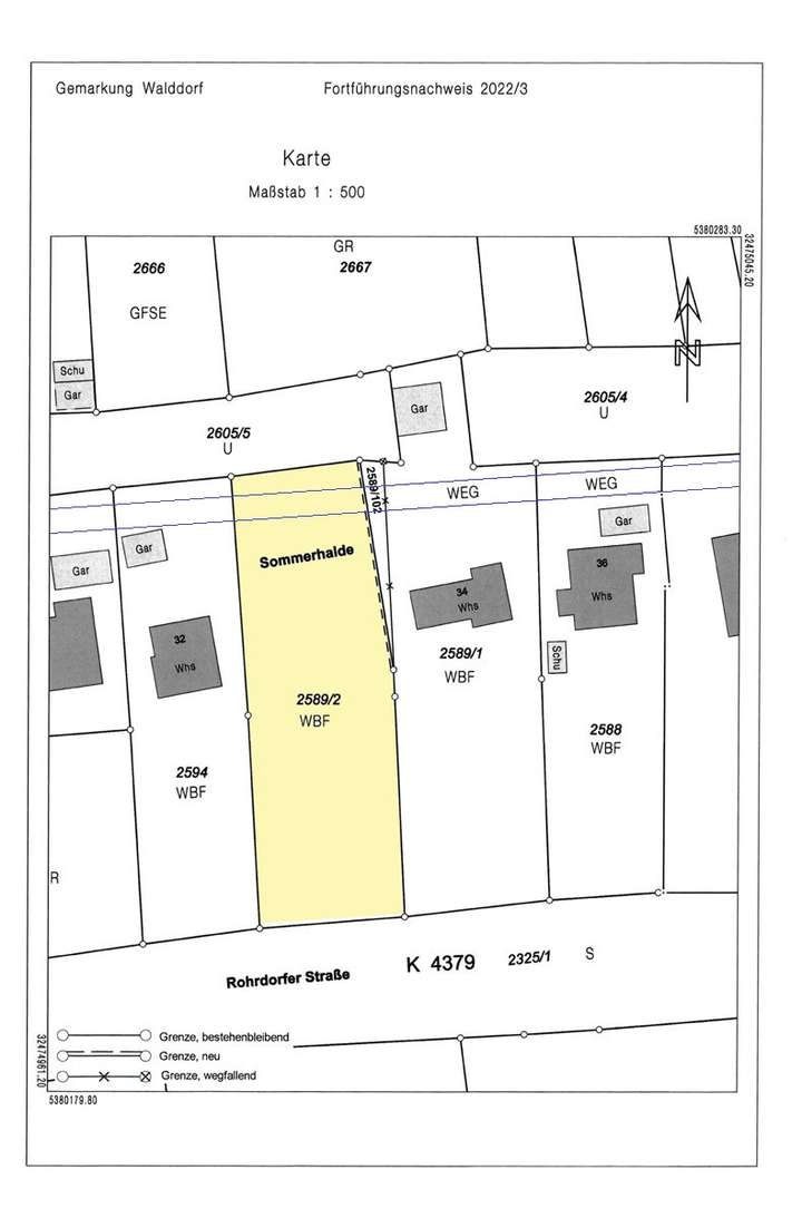
Sommerhalde 32/1, 72213 Altensteig
Auf Karte anzeigen
Logo ImmoScout24 Logo ImmoScout24
PDF Finanzierungszertifikat

Finanzierungszertifikat

In nur zwei Minuten zu Ihrem persönlichen Finanzierungszertifkat.

  • Zur Vorlage beim Makler oder Verkäufer
  • Vorteile gegenüber anderen Kaufinteressenten
  • Kostenlos und unverbindlich
Finanzierungszertifikat anfragen

Infos

Vermarktungsart Kaufen
Grundstücksfläche 958 m2
Erschließung Teilerschlossen
Bebaubar nach Bebauungsplan
Verfügbar ab 16.12.2025

Kosten

Miete pro Jahr 124.500 €
Provision Nein

Finanzierungsrechner:

Kaufpreis: 600.000 €

Eigenkapital: 600.000 €
Monatliche Rate 0 €
Effektiver Jahreszins 0 %
Sollzinsbindung 10 Jahre

Beschreibung des Objekts

                In Altensteig-Walddorf wird dieser teilerschlossene Bauplatz in Südhanglage provisionsfrei angeboten. Das Grundstück hat eine Größe von ca. 958 m² .
Für eine mögliche Bebauung existiert ein Bebauungsplan, der eine GRZ von 0,2 vorgibt.
Weitere Bilder gerne auf Nachfrage per eMail.
            

Grundriss

Lageplan Lageplan >

Adresse

Sommerhalde 32/1, 72213 Altensteig

Interessante Orte

Bäckereien
Schulen
Ärzte

Ansprechpartner