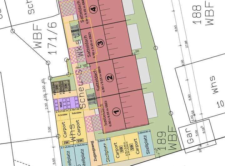
Grundstück mit 4 genehmigten Reihenhäusern zu verkaufen
Zum Verkauf steht ein attraktives Baugrundstück mit vollständig erteilter Baugenehmigung für die Errichtung von 4 modernen Reihenhäusern in familienfreundlicher Lage von 72336 Balingen Ostdorf.
Projekt-Eckdaten
• 4 genehmigte Reihenhäuser
• Gesamtwohnfläche: ca. 528 m² WFL (4 × 132 m²)
• Gesamtwohnnutzfläche: ca. 720 m² inkl. Nutzflächen
• 8 Stellplätze / Carports
• Baugenehmigung liegt vollständig vor
Grundstück
• Grundstücksgröße: 762 m²
• Ebenes, familiengerechtes Grundstück
• Keine Altlasten, keine Baulasten
Grundstück mit 4 genehmigten Reihenhäusern zu verkaufen
72336 Balingen
Die vollständige Adresse der Immobilie erhalten Sie vom Anbieter.
Auf Karte anzeigen
Die vollständige Adresse der Immobilie erhalten Sie vom Anbieter.
Finanzierungszertifikat
In nur zwei Minuten zu Ihrem persönlichen Finanzierungszertifkat.
Infos
| Vermarktungsart | Kaufen |
|---|---|
| Grundstücksfläche | 762 m2 |
| Erschließung | Teilerschlossen |
| Verfügbar ab | nach Absprache |
Kosten
| Miete pro Jahr |
300.000 € |
|---|---|
| Provision | Nein |
Finanzierungsrechner:
Kaufpreis:
600.000 €
Eigenkapital:
600.000 €
Monatliche Rate
0 €
Effektiver Jahreszins
0 %
Sollzinsbindung
10 Jahre
Beschreibung des Objekts
Lage
• Ruhiges, angenehmes Wohnumfeld
• Ca. 2,9 km zum Bahnhof Balingen
• Gute Infrastruktur und Anbindung
Infrastruktur (im Umkreis von 5 km):
Apotheke, Lebensmittel-Discount, Allgemeinmediziner, Kindergarten, Grundschule, Hauptschule, Realschule, Gymnasium, Gesamtschule, Öffentliche Verkehrsmittel
Sonstige Angaben
Baugesuch/Planung auf Anfrage - im Kaufpreis inkludiert.
Verkauf erfolgt provisionsfrei direkt vom Eigentümer.
ohne-makler (OM) ist weder Anbieter noch Vermittler der Immobilie. OM betreibt eine Plattform für Immobilieneigentümer, die unter anderem die gleichzeitige Veröffentlichung einzelner Inserate auf mehreren Immobilienportalen ermöglicht. Die Inhalte dieser Inserate werden ausschließlich von Dritten verantwortet. Für die Richtigkeit, Vollständigkeit oder Rechtmäßigkeit der Angaben übernimmt OM keine Haftung. Hinweise auf mögliche Rechtsverstöße können jederzeit gemeldet werden und werden nach Prüfung umgehend bearbeitet.