Dieses Angebot eröffnet Ihnen die Möglichkeit, eine exklusive Rückzugsoase in der begehrten Wohngegend von Hemer-Stübecken zu erwerben. Das Grundstück befindet sich in einer malerischen Hanglage mit einem atemberaubenden Blick auf ein idyllisches Tal. Hier erwartet Sie eine Wohngelegenheit, den höchsten Ansprüchen gerecht wird und Raum für individuelle Wohnträume bietet.
Finanzierungszertifikat
In nur zwei Minuten zu Ihrem persönlichen Finanzierungszertifkat.
Infos
| Vermarktungsart | Kaufen |
|---|---|
| Grundstücksfläche | 6.947 m2 |
| Erschließung | Teilerschlossen |
| Grundflächenzahl (GRZ) | 0.4 |
| Geschossflächenzahl (GFZ) | 0.8 |
| Bebaubar nach | Bebauungsplan |
| Verfügbar ab | sofort |
Kosten
| Miete pro Jahr |
890.000 € |
|---|---|
| Provision |
3,57 % Die Käufercourtage in Höhe von 3,57 % auf den Kaufpreis einschließlich gesetzlicher Mehrwertsteuer ist bei notariellem Vertragsabschluss verdient und fällig. |
Finanzierungsrechner:
Kaufpreis:
600.000 €
Eigenkapital:
600.000 €
Monatliche Rate
0 €
Effektiver Jahreszins
0 %
Sollzinsbindung
10 Jahre
Beschreibung des Objekts
Lage
Das Grundstück befindet sich unmittelbar hinter dem Grundstück " Am Sonnenhang Nr. 29".
Die Adresse "Am Sonnenhang" verheißt bereits ein angenehmes Wohngefühl inmitten einer gepflegten und aufgelockerten Wohnsiedlung. Die Infrastruktur der Umgebung ist als gut zu bezeichnen, denn Schulen und Einkaufsmöglichkeiten befinden sich in unmittelbarer Nähe. Eine schnelle Erreichbarkeit der Bundesstraße B 7 in 1,70 km Entfernung ermöglicht unkomplizierte Reisen in alle Richtungen. Das Stadtzentrum von Hemer liegt lediglich 2,50 km entfernt, während die Bundesstraße B7 nach nur 1,30 km erreicht ist.
Sonstige Angaben
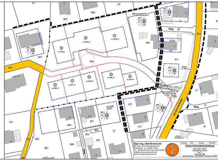
Das zum Verkauf stehende Grundstück setzt sich aus mehreren Flurstücken zusammen. Es umfasst insgesamt eine Fläche von ca. 6.947 m². Dabei sind 1.028 m² als Verkehrsfläche ausgewiesen, während sich die Nettobaulandfläche auf großzügige 5.919 m² beläuft.
Das Grundstück wird von der Straße Am Sonnenhang erschlossen. Die innere Erschließung muss noch durch den Investor erstellt werden.
Der Erwerb von Teilgrundstücken ist möglich.
Interessenten sollten sich unverbindlich schriftlich bei mir melden. Wir werden uns dann umgehend bei Ihnen melden, um die Einzelheiten mit Ihnen zu besprechen.
Bebauungsmöglichkeiten:
Das Hauptgrundstück, Teilgrundstück 2, ist Teil des rechtskräftigen Bebauungsplans Nr. 17 der Stadt Hemer. Hier bestehen attraktive Festsetzungen, die eine Bebauung im reinen Wohngebiet ermöglichen. Auf dem Grundstück können Gebäude mit einer Höhe von bis zu zwei Geschossen entstehen. Die Grundflächenzahl beträgt 0,4 und die Geschossflächenzahl 0,8. Zudem sind Satteldächer mit einer Dachneigung von 25-35 Grad vorgesehen, was für ein harmonisches Ortsbild sorgt. Die offene Bauweise bietet vielfältige Gestaltungsmöglichkeiten.
Das Trennstück 4 und das Flurstück 779 liegen im rechtskräftigen Bebauungsplan Nr. 15 und unterliegen ähnlichen Festsetzungen wie das Hauptgrundstück. Auch hier ist eine zweigeschossige Bebauung im reinen Wohngebiet möglich, wobei die Grundflächen- und Geschossflächenzahl bei 0,4 bzw. 0,8 liegen.
Die Stadt Hemer zeigt sich äußerst kooperativ und ist gerne bereit, die Bebauungspläne entsprechend den Wünschen des Investors zu ändern, um eine zeitgemäße Überplanung des Grundstücks zu gewährleisten. Die Möglichkeit, die Bebauungspläne anzupassen, eröffnet dem Investor vielseitige Gestaltungsmöglichkeiten und ermöglicht die Realisierung individueller Vorstellungen für das Grundstück.
Des Weiteren ist geplant, die geplante Verkehrsfläche innerhalb des Grundstücks, zu einem späteren Zeitpunkt der Stadt Hemer zu widmen. Dadurch wird gewährleistet, dass die umliegende Infrastruktur den Bedürfnissen der Gemeinde und Anwohner entspricht und eine optimale Nutzung des öffentlichen Raums ermöglicht wird.
Die westlich des Wendehammers geplante Verlängerung der Straße, soll im Zuge der Planungsänderungen lediglich als Rad- und Gehweg gestaltet werden. Diese Anpassung hat den Vorteil, dass die dafür benötigte Fläche wesentlich geringer ausfällt und somit eine attraktive Reduzierung des Verkehrsraums erreicht wird. Dadurch wird die Umgebung nicht nur für den Individualverkehr, sondern auch für Fußgänger und Radfahrer besonders angenehm gestaltet.
Die Stadt Hemer möchte gerne die Entwicklung dieses Grundstücks unterstützen und den Investor bestmöglich bei der Umsetzung seiner Vorhaben begleiten. Gemeinsam kann eine moderne und zukunftsorientierte Planung entstehen, die den Bedürfnissen der Stadt und der zukünftigen Bewohner gleichermaßen gerecht wird.
Zusammenfassung:
Insgesamt bietet dieses attraktive Grundstück eine herausragende Gelegenheit für Investoren. Die Hanglage mit Südausrichtung verspricht ein besonderes Wohngefühl und einen herrlichen Blick auf die umliegende Natur. Die gute Infrastruktur sowie die Nähe zu Schulen, Einkaufsmöglichkeiten und Verkehrsanbindungen machen dieses Angebot zu einer äußerst begehrten Wohnadresse.