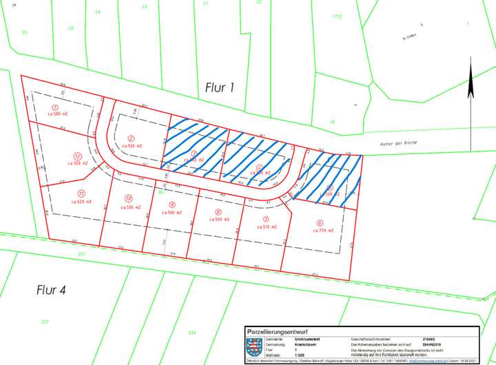
In einem neu erschlossenen Baugebiet in Kranichborn, zwischen Erfurt und Sömmerda, stehen drei voll erschlossene Grundstücke mit jeweils 500 m² Fläche zum Verkauf.
Die Grundstücke eignen sich ideal für den Bau eines Einfamilienhauses. Bei Bedarf besteht die Möglichkeit, zwei nebeneinanderliegende Parzellen zu kombinieren und so eine doppelte Grundstücksfläche zu realisieren – perfekt für den Bau eines großzügigen Generationenhauses.
Die blau markierten Grundstücke auf dem Lageplan stehen derzeit zum Verkauf.
Ein weiterer Vorteil: Die Grundstücke sind bauträgerfrei – Sie können also frei entscheiden, mit welchem Bauunternehmen Sie Ihr Traumhaus realisieren möchten.
Bauträgerfreie Grundstücke zwischen Erfurt und Sömmerda
99195 Großrudestedt
Die vollständige Adresse der Immobilie erhalten Sie vom Anbieter.
Auf Karte anzeigen
Die vollständige Adresse der Immobilie erhalten Sie vom Anbieter.
Finanzierungszertifikat
In nur zwei Minuten zu Ihrem persönlichen Finanzierungszertifkat.
Infos
| Vermarktungsart | Kaufen |
|---|---|
| Grundstücksfläche | 500 m2 |
| Erschließung | Erschlossen |
| Bebaubar nach | Bebauungsplan |
Kosten
| Miete pro Jahr |
75.000 € |
|---|---|
| Provision | Nein |
Finanzierungsrechner:
Kaufpreis:
600.000 €
Eigenkapital:
600.000 €
Monatliche Rate
0 €
Effektiver Jahreszins
0 %
Sollzinsbindung
10 Jahre
Beschreibung des Objekts
Lage
Das sonnige Grundstück, ( Bauträgerunabhängig) liegt im neu erschlossenen Baugebiet "Hinter der Kirche" in Kranichborn, einem Ortsteil von Großrudestedt.
Das beschauliche Örtchen Kranichborn ist 5 km von Sömmerda und 16 km von Erfurt entfernt.
Zum Alperstedter Badesee sind es nur 7 Kilometer.
Sonstige Angaben
Für weitere Informationen zu unseren Baugebieten in der Nähe von Gotha, Eisenach, Erfurt usw. und unseren verfügbaren Objekten besuchen Sie gerne unsere Website und nehmen Sie Kontakt mit uns auf.
https://www.leander-grundstuecke.de/baugebiete/