Bauvoranfrage wurde bereits bescheidet!
Die Bebauung des Grundstücks ist in 2-geschossiger Bauweise, zuzüglich ausgebautem Dachgeschoss, mit z.B. 4 Wohneinheiten, möglich. Gegen die Schaffung eines 1-geschossigen Anbaus im rückwärtigen Grundstücksbereich, bestehen grundsätzlich keine planungsrechtlichen Bedenken. Die Stellung der Garage sowie weiterer Stellplätze, sind zu prüfen. Trauf- sowie Firsthöhen sind lediglich der nachbarschaftlichen Bebauung anzupassen.
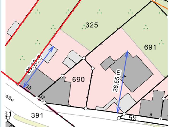
Zentrales Grundstück in Jüchen - individuelle Bebauungsmöglichkeiten.
41363 Jüchen
Die vollständige Adresse der Immobilie erhalten Sie vom Anbieter.
Auf Karte anzeigen
Die vollständige Adresse der Immobilie erhalten Sie vom Anbieter.
Finanzierungszertifikat
In nur zwei Minuten zu Ihrem persönlichen Finanzierungszertifkat.
Infos
| Vermarktungsart | Kaufen |
|---|---|
| Grundstücksfläche | 1.016 m2 |
| Erschließung | Erschlossen |
| Empfohlene Nutzung | Mehrfamilienhaus |
| Bebaubar nach | wie Nachbarbebauung |
| Verfügbar ab | Sofort |
Kosten
| Miete pro Jahr |
309.000 € |
|---|---|
| Provision |
3,57 % inklusive 19 % Mehrwertsteuer Die Nachweisprovision, (3,57 % inkl. 19 % MWSt.) bezogen auf den Kaufpreis, ist bei notariellem Vertragsabschluss fällig und verdient. |
Finanzierungsrechner:
Kaufpreis:
600.000 €
Eigenkapital:
600.000 €
Monatliche Rate
0 €
Effektiver Jahreszins
0 %
Sollzinsbindung
10 Jahre
Beschreibung des Objekts
Lage
Verkehrsgünstig gelegenes und zentrumsnahes Baugrundstück.
Geschäfte des täglichen Bedarfs, Ärzte, Schulen und Freizeitangebote sind in kurzer Distanz vorhanden. Ebenso sind Busverbindungen in unmittelbarer Nähe zu erreichen.
Jüchen ist eine mittlere kreisangehörige Stadt im Rhein-Kreis Neuss in Nordrhein-Westfalen. Sie liegt zwischen dem nordwestlich gelegenen Mönchengladbach und dem südöstlich gelegenen Grevenbroich.
Sonstige Angaben
Alle Angaben sind mit gebotener Sorgfalt erhoben und basieren auf Informationen des Auftraggeber. Trotz gründlicher Recherche können wir keine Gewähr/Haftung für Vollständigkeit und Aktualität der gegenüber uns gemachten Angaben übernehmen.
Der Zwischenverkauf bleibt ausdrücklich vorbehalten.
Sollte Ihnen das von uns hiermit nachgewiesene Verkaufsobjekt bereits im Voraus bekannt gewesen sein, so teilen Sie uns dieses bitte bei Kaufinteresse unverzüglich mit.
Im Übrigen gelten unsere allgemeinen Geschäftsbedingungen - für die Rechtsbeziehung zwischen Ihnen - und der Firma Mediator-Immobilien-Center, Herrn Volker Schwarz.
Der Maklervertrag mit uns kommt durch schriftliche Vereinbarung - oder durch die Inanspruchnahme unserer Maklertätigkeit auf Basis des Objekt-S-Exposés - nebst seiner Bedingungen, zustande. Die Nachweisprovision beträgt (3,57 % inkl. 19 % MWSt.) vom notariellen Kaufpreis und ist bei Vertragsabschluss fällig und verdient.
Gerne stehen wir Ihnen mit weiteren Informationen zum Objekt, der/des Eigentümer/in - sowie für Besichtigungswünsche zur Verfügung.
Weitere, interessante Kaufimmobilien finden Sie auf unserer Homepage unter:
www.mediator-immobilien.center