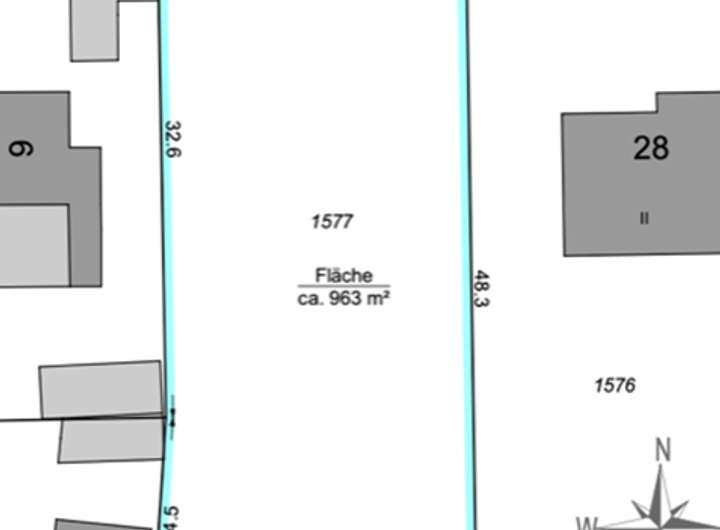
Dieses ca. 20 Meter breite und ca. 48 Meter lange teilerschlossene Grundstück (Flurstück 1577) ist in dem Allgemeinen Wohngebiet (WA) exzellent positioniert, für das der Bebauungsplan Nr. 05 gilt (https://hohen-neuendorf.de/sites/default/files/beteiligungsverfahren/bpl-05-niederheide.pdf).
Grundflächenzahl (GRZ) beträgt 0,2 und die Geschossflächenzahl liegt bei 1,5 möglichen Etagen.
Baugrundstück in TOP Lage Hohen Neuendorf
Leuschnerstraße 27,
16540 Hohen Neuendorf
Auf Karte anzeigen
Finanzierungszertifikat
In nur zwei Minuten zu Ihrem persönlichen Finanzierungszertifkat.
Infos
| Vermarktungsart | Kaufen |
|---|---|
| Grundstücksfläche | 963 m2 |
| Erschließung | Teilerschlossen |
| Grundflächenzahl (GRZ) | 0.2 |
| Bebaubar nach | Bebauungsplan |
| Verfügbar ab | 01.03.2024 |
Kosten
| Miete pro Jahr |
450.000 € |
|---|---|
| Provision |
7.14% |
Finanzierungsrechner:
Kaufpreis:
600.000 €
Eigenkapital:
600.000 €
Monatliche Rate
0 €
Effektiver Jahreszins
0 %
Sollzinsbindung
10 Jahre
Beschreibung des Objekts
Lage
Das Grundstück befindet sich in TOP-Lage von Hohen Neuendorf. So werden S-Bahn, Einkaufsmöglichkeiten, Schule, Kita und Ärzte in wenigen Minuten fussläufig erreicht.
Weitere Dokumente
ExposéExposé
Exposé