Im Idyllischen Örtchen Kloster Lehnin, bauen Sie Ihr neues Zuhause auf einem von 18 großzügig geschnittenen, vollerschlossenen Baugrundstücken.
Direkt vor den Toren des historischen Kerns der Gemeinde mit seinem malerischen Zisterzienserkloster befindet sich das Areal Lerchenwinkel. Am Rande grüner Wiesen und Äcker leben Sie inmitten eines familien-
freundlichen Einfamilienhaus-Gebietes.
Hier entsteht in den kommenden Jahren der Lebensraum für Familien und alle, die Komfort, Nähe zur Natur und ein sicheres Wohnumfeld miteinander vereinen wollen.
Sie leben mitten im Grünen und sind gleich zeitig hervorragend an die Städte Brandeburg an der Havel, Werder Havel und Potsdam an-
gebunden. Ob Supermarkt, Bäckerei, Metzger oder Blumenladen – sämtliche Einrichtungen Ihres täglichen Bedarfs befinden sich in Ihrer direkten Umgebung.
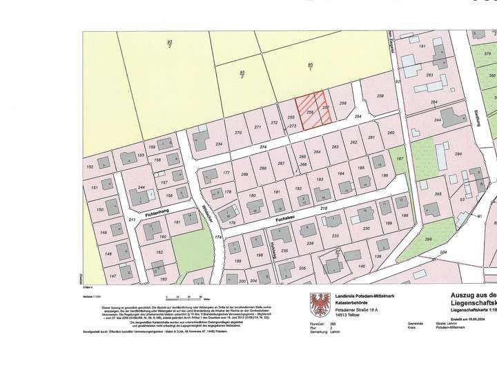
Einmaliges großes und attraktives Grundstück zur freien Wohnbebauung in Kloster Lehnin
Lerchenwinkel ,
14797 Kloster Lehnin
Auf Karte anzeigen
Finanzierungszertifikat
In nur zwei Minuten zu Ihrem persönlichen Finanzierungszertifkat.
Infos
| Vermarktungsart | Kaufen |
|---|---|
| Grundstücksfläche | 736 m2 |
| Erschließung | Erschlossen |
| Empfohlene Nutzung | Einfamilienhaus |
| Grundflächenzahl (GRZ) | 0.4 |
| Geschossflächenzahl (GFZ) | 0.4 |
| Bebaubar nach | Bebauungsplan |
| Verfügbar ab | 01.03.2025 |
Kosten
| Miete pro Jahr |
210.000 € |
|---|---|
| Provision | Nein |
Finanzierungsrechner:
Kaufpreis:
600.000 €
Eigenkapital:
600.000 €
Monatliche Rate
0 €
Effektiver Jahreszins
0 %
Sollzinsbindung
10 Jahre
Beschreibung des Objekts
Lage
Das reine Wohngebiet soll sich durch seine lockere Bebauung gekonnt in die Umgebung der grüen Lehniner Feld- und Wiesenlandschaft integrieren.
So legt die Gemeinde Wert darauf, auch bei der Pflanzung von Bäumen ein Gleichgewicht zu wahren.
Ab 400 m2 Grundstücksfläche sollen mindestens ein Laubbaum oder zwei Obstbäume die entstehenden
Gärten verschönern und Lebensraum für Vögel und Kleinlebewesen bieten. Insbesondere Gartenfreunde kommen bei der im Bebauungsplan vorgesehenen großen Gestaltungsfreiheit voll auf ihre Kosten.
Damit nicht genug: Auch bei der Verwirklichung ihres persönliches Traumhauses gibt es einen
angemessenen Spielraum. Neben geräumigen Doppelhäusern bieten die großzügig geschnittenen Grund-
stücke auch Platz für freistehende Einfamilienhäuser.
Kloster Lehnin ist geprägt durch seine Nähe zur Natur und ländliche Idylle. Die Lehniner Mittelheide – Quellgebiet der Emster, das weitläufige Lehniner Wald- und Seengebiet und das Naturschutzgebiet Rietzer See umrahmen die idyllische Ortschaft.
Sonstige Angaben
So naturnah zu wohnen und dennoch alle Infrastrukturellen Vorzüge einer lebendigen Gemeinde genießen zu können, die nahezu nichts zu wünschen übrig lässt, ist ein großes Privileg:
Ihre Kinder laufen schnell und sicher zur nahe gelegenen Kita, Grund- oder Gesamtschule.
Selbst Ihre Einkäufe für den täglichen Bedarf können Sie mühelos in erstklassig sortierten Geschäften bequem zu Fuß oder mit dem Fahr-
rad erledigen.
Busse nach Brandenburg (Havel), Potsdam und Werder fahren an Wochentagen im 1/2-Stundentakt. Über das nahegelegene Autobahndreieck Werder (A2/A10) erreichen Sie die umliegenden Städte mit dem
Auto innerhalb weniger Minuten.
Naturfreunde und Wassersportler kommen hier voll auf ihre Kosten. Zu Fuß sind Sie in wenigen Minuten am Gohiltzsee und Mühlenteich. Im Sommer genießen Sie ausgedehnte Wander- oder Kanutouren durch die Lehniner
Wald und Seenlandschaft.
Der Bebauungsplan ist nach den §§ 13 b BauGB aufgestellt wurden. Deshalb beträgt die Grundförderung entsprechend der persönlichen Voraussetzungen 30.000 € an Zuschuss sowie bis zu 230.000 € an zinsfreiem Darlehen durch die ILB. Zusätzliche Förderungen in Form von Zuschüssen und zinsfreien Darlehen gibt es z. B. für Kinder, bei Schwerbehinderung und für weitere Kriterien. Ihre Förderanträge nimmt die ILB gerne entgegen.