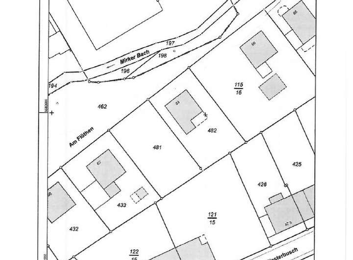
Zum Verkauf steht ein unbebautes Baugrundstück in Wuppertal Elberfeld im Bereich Uellendahl mit ca. 459 m² Gesamtfläche.
Erbauen Sie Ihren Wohn(t)raum in diesem ruhigen und bevorzugten Wohngebiet umgeben von Einfamilienhäusern in gewachsener Umgebung.
Das zum Verkauf stehende Grundstück hat eine rechteckige Form:
- Straßenseite vorne ca. 16 m breit,
- Gartenseite hinten ca. 16 m breit
- Grundstückstiefe ca. 27,5 m bzw. 29,5 m
Gem. § 34 Baugesetzbuch muss sich das zu erstellende Haus in die Nachbarschaft in Art und Form einfügen.
Es gilt grundsätzlich die gesetzliche Abstandsfläche von 3 Metern zur Grundstücksgrenze, eine Grenzbebauung ist in Abstimmung mit den Nachbarn jedoch grundsätzlich möglich.
Überzeugen Sie sich von dem Charme und den schönen Lage, die Ihr neues Zuhause zu einer Traumimmobilie machen...
Vereinbaren Sie einen Beratungstermin mit unserem Büro unter 0202 / 758 46 555.
Baugrundstück in gefragter Lage von Uellendahl mit familienfreundlichen Umfeld...
42111 Wuppertal
Die vollständige Adresse der Immobilie erhalten Sie vom Anbieter.
Auf Karte anzeigen
Die vollständige Adresse der Immobilie erhalten Sie vom Anbieter.
Finanzierungszertifikat
In nur zwei Minuten zu Ihrem persönlichen Finanzierungszertifkat.
Infos
| Vermarktungsart | Kaufen |
|---|---|
| Grundstücksfläche | 459 m2 |
| Erschließung | Erschlossen |
| Bebaubar nach | wie Nachbarbebauung |
| Verfügbar ab | ab sofort |
Kosten
| Miete pro Jahr |
189.000 € |
|---|---|
| Provision |
3,57 % inkl. ges. MwSt. |
Finanzierungsrechner:
Kaufpreis:
600.000 €
Eigenkapital:
600.000 €
Monatliche Rate
0 €
Effektiver Jahreszins
0 %
Sollzinsbindung
10 Jahre
Beschreibung des Objekts
Lage
Uellendahl zählt zu den begehrtesten Wohnlagen der Stadt Wuppertal und besticht mit seiner ruhigen und grünen Lage. Der Stadtteil befindet sich ca. 3 km nördlich des Wuppertaler Stadtzentrums.
Das Wohngebiet bietet eine hervorragende Symbiose aus Natur und Lebensqualität.
Einkaufsmöglichkeiten sind mit dem PKW in wenigen Minuten zu erreichen. Die Bushaltestelle des öffentlichen Nahverkehres befindet sich in ca. 200 m Entfernung und kann zu Fuß bequem erreicht werden.
Schulen und Kindergärten sind in ausreichender Anzahl vorhanden, was diesen Stadtteil ebenfalls für Familien interessant werden lässt.
Wuppertal ist mit rund 350.000 Einwohnern die größte Stadt des bergischen Landes. Die Topographie ist gekennzeichnet durch das Tal der Wupper, die sich rund 20 km durchs Stadtgebiet windet und deren steile Hügel oft bewaldet sind.
Neben der beliebten Schwebebahn ist die Universitätsstadt bekannt für das international renommierte Tanztheater Pina Bausch, die Junior-Uni, den landschaftlich reizvollen Zoo, die Historische Stadthalle, das Opernhaus, den Skulpturenpark "Waldfrieden" des englischen Bildhauers Tony Cragg sowie eine vielfältige Clubkultur und diverse Kleinkunstbühnen, auf denen regelmäßig bekannte Künstler zu Gast sind.
Sonstige Angaben
HINWEIS: Wir möchten darauf hinweisen, dass der Verkäufer, Vermieter, bzw. von einem vom Auftraggeber beauftragten Dritten, die von uns übermittelten Objektinformationen, Unterlagen, Pläne usw. bereitgestellt hat. Deshalb tragen wir keine Haftung für die Genauigkeit oder Vollständigkeit der Informationen. Aus diesem Grund ist es Sache unserer Kunden, die enthaltenen Objektinformationen und Angaben auf ihre Genauigkeit zu prüfen. Bei Irrtümern, Zwischenverkaufs- und Vermietungen oder anderen Zwischenverwertungen sind alle Immobilienangebote freibleibend. Der Makler, der diese Informationen nur weitergibt, übernimmt für die Richtigkeit keinerlei Haftung.
Nutzen Sie die Möglichkeit unserer fachkundigen Beratung und erhalten Sie mit unserem kostenfreien EXCLUSIV - SERVICE mehr Sicherheit für Ihren Immobilienkauf:
- Ein persönliches Beratungsgespräch, in dem wir Ihren konkreten Immobilienwunsch erörtern und analysieren.
- Überprüfung Ihrer Fördermöglichkeiten nach aktuellen öffentlichen Programmen
- Bewertung und Marktanalyse Ihrer Immobilien
Unsere Immobilienexperten bieten Ihnen auch Unterstützung bei den folgenden Themen im Zusammenhang mit Ihrem Immobilienerwerb an:
- Bewertung von Immobilien aller Art
- Erstellung von Marktpreiseinschätzungen
- Verkauf Ihrer Immobilie
- Finanzierungsmöglichkeiten durch unsere erfahrenen Kreditexperten
Die Wuppermakler freuen Sich auf Ihren Anruf!
Tel.: 0202 75 846 555
VERBRAUCHERINFO
1. Maklerleistung ist der Nachweis der Gelegenheit zum Abschluss eines Vertrages bzw. Vermittlung eines Vertrages über eine Immobilie gegen die Courtagezahlungspflicht des Kunden
2. Unternehmer,Anschrift,Beschwerdeadressat
Wuppermakler oHG, Kreuzstr.53, 42277 Wuppertal, Tel:0202/75846555,,eMail:info@wuppermakler.com
GF:Joachim Schadagies, Thorsten Horst
3. Es besteht ein Widerrufsrecht
4. Weitere Infos: www.wuppermakler.com