Veräußert wird ein gigantisches TEIL-Baugrundstück - das SCHÖNSTE GRUNDSTÜCK unserer Stadt - das in bevorzugter Waldrandlage, am Fuße des sonnigen Mayenbergs gelegen ist. Das Objekt befindet sich hangseitig am Ende einer ruhigen Sackgasse, die nur von Anliegern genutzt wird. Der Standort und die Aussicht sind ein wahrer Traum für die neuen Besitzer.
Der eigene Wohntraum kann nach den Vorgaben der Nachbarschaftsbebauung verwirklicht werden.
Die Nähe zum Wald bietet direkten Zugang zu entspannten Spaziergängen und weiteren Freizeitaktivitäten.
Das Objekt ist komplett erschlossen und kann sofort bebaut werden.
+++ Hier kann Ihre TRAUM-IMMOBILIE entstehen! +++
+L+ Einzigartiges Filetstück in sensationeller Lage! +L+
76332 Bad Herrenalb
Die vollständige Adresse der Immobilie erhalten Sie vom Anbieter.
Auf Karte anzeigen
Die vollständige Adresse der Immobilie erhalten Sie vom Anbieter.
Finanzierungszertifikat
In nur zwei Minuten zu Ihrem persönlichen Finanzierungszertifkat.
Infos
| Vermarktungsart | Kaufen |
|---|---|
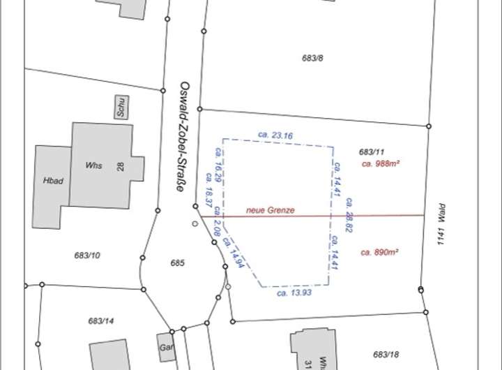
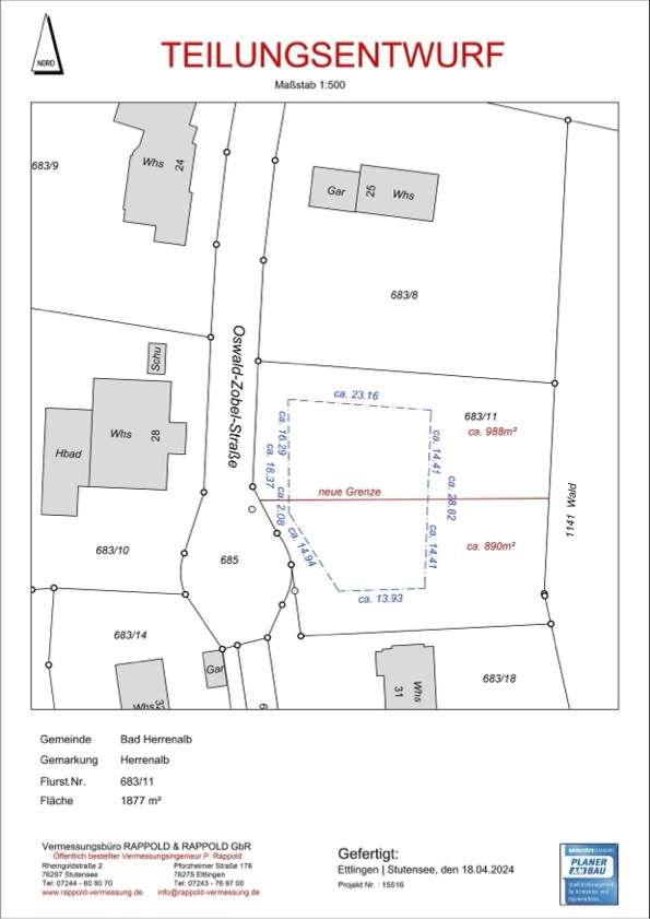
| Grundstücksfläche | 988 m2 |
| Erschließung | Erschlossen |
| Empfohlene Nutzung | Einfamilienhaus |
| Bebaubar nach | wie Nachbarbebauung |
| Verfügbar ab | ab 2025 verfügbar |
Kosten
| Miete pro Jahr |
320.000 € |
|---|---|
| Provision |
3,57 % inkl. MwSt. |
Finanzierungsrechner:
Kaufpreis:
600.000 €
Eigenkapital:
600.000 €
Monatliche Rate
0 €
Effektiver Jahreszins
0 %
Sollzinsbindung
10 Jahre
Beschreibung des Objekts
Lage
Bad Herrenalb ist eine Kurstadt mit etwa 8.000 Einwohnern im nördlichen Schwarzwald, im oberen Talkessel des Albtales. Ein hübsches Städtchen mit Flair, in dem Wohnen und Arbeiten angenehm verbunden werden kann. Sowohl im Ortskern des charmanten Kurortes, als auch am Ortsrand, befinden sich sämtliche Einkaufsmöglichkeiten, Ärzte, Kurpark mit Kurhaus, Kurklinik, die berühmte Siebentäler Therme, ein herrlich gelegenes beheiztes Freibad, exquisiter Golfplatz, Tennisplätze und viele weitere Sport- und Freizeitmöglichkeiten. Auch Wanderer, Fahrradfahrer und Skisportler finden ausreichend Möglichkeiten.
Es gibt einen 2013 neu erbauten Kindergarten mit Ganztagsbetreuung und eine Grundschule, ebenfalls mit Ganztagsbetreuung. Bad Herrenalb ist hervorragend durch die Albtalbahn und angepassten Busverbindungen versorgt, so dass es kein Problem ist, die umliegenden größeren Städte, wie Ettlingen, Karlsruhe, Baden-Baden oder Pforzheim in kurzer Zeit zu erreichen.
Sonstige Angaben
Alle Angaben zum Objekt beruhen auf Aussagen des Auftraggebers.
Der Makler übernimmt hierfür keine Haftung.
Alle Angaben ohne Gewähr.
Grundriss
Lageplan
>
>