++NEU IM ANGEBOT++ NEU AM MARKT++
Ein Solitär ist dieses einmalige Baugrundstück in bevorzugter absolut ruhiger Aussichtslage am Leuselhardt. Es bietet die seltene Gelegenheit, Ihren Wohntraum in dieser begehrten Wohngegend von Lörrach Stetten auf großzügige Art und Weise zu verwirklichen.
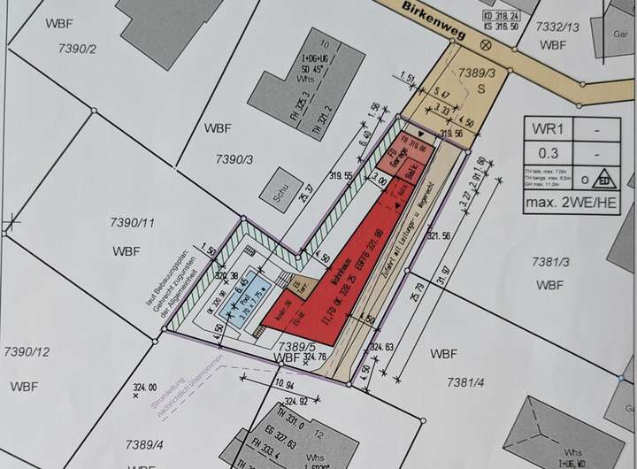
Mit individuellen Bebauungsmöglichkeiten und in allerbester Lage ist es die perfekte Wahl für die anspruchsvolle Bauherrschaft, die nach einem passenden Ort für ihr neues Zuhause sucht. Es existiert bereits eine mondäne Überplanung mit einem modernen Einfamilienhaus einschließlich idyllischer Poollandschaft, entworfen von einem namhaften Lörracher Architekten.
Ihr repräsentatives Traumhaus mit zwei hellen und weitläufigen Wohnebenen und ca. 200 qm Wohnfläche lässt keine Wünsche offen.
Selbstverständlich kann das attraktive Baugrundstück auch anderweitig bebaut werden. Es gilt der entsprechende Bebauungsplan.
Das gewachsene Wohngebiet in leichter Hanglage ist gekennzeichnet durch große Grundstücke mit individuellen freistehenden Einfamilienhäusern. Die Lage des Grundstücks bietet aufgrund der Nähe zur Kernstadt eine sehr gute Anbindung an alle wichtigen Einrichtungen des öffentlichen Lebens. Einkaufsmöglichkeiten, Schulen, Kindergärten, Restaurants sind fußläufig und mit dem Fahrrad bequem zu erreichen, was das tägliche Leben äußerst komfortabel gestaltet. Nur wenige Gehminuten entfernt befinden sich das Lörracher Hallenbad und der Schulcampus „Rosenfels“ mit zwei Gymnasien und der Realschule. Der Hauptbahnhof der Regio-S-Bahn-Linie nach Basel oder Zell im Wiesental ist rund zwei Kilometer entfernt, und mit dem PKW fährt man rund 20 Minuten über die französische Grenze bei Weil am Rhein zum Flughafen Basel – Mulhouse – Freiburg.
WEITERE INFORMATIONEN ERHALTEN SIE GERNE AUF ANFRAGE!
WIR FREUEN UNS AUF IHRE KONTAKTAUFNAHME!
www.burkart.immobilien
Das sagen unsere Kunden (Link in Browser kopieren):
http://www.makler-empfehlung.de/immobilienmakler/21659#empfehlungen
++NEU IM ANGEBOT++ Exklusives, sonniges Baugrundstück in allerbester Lörracher Wohnlage
79540 Lörrach
Die vollständige Adresse der Immobilie erhalten Sie vom Anbieter.
Auf Karte anzeigen
Die vollständige Adresse der Immobilie erhalten Sie vom Anbieter.
Finanzierungszertifikat
In nur zwei Minuten zu Ihrem persönlichen Finanzierungszertifkat.
Infos
| Vermarktungsart | Kaufen |
|---|---|
| Grundstücksfläche | 717 m2 |
Kosten
| Miete pro Jahr |
629.000 € |
|---|---|
| Provision |
3,00 % zzgl. gesetzl. MwSt |
Finanzierungsrechner:
Kaufpreis:
600.000 €
Eigenkapital:
600.000 €
Monatliche Rate
0 €
Effektiver Jahreszins
0 %
Sollzinsbindung
10 Jahre
Beschreibung des Objekts
Lage
Lörrach ist eine Kreisstadt mit rund 50.000 Einwohnern im südlichen Markgräferland, und liegt direkt an der Schweizer Grenze, nahe der Großstadt Basel, im schönen Dreiländereck Deutschland – Schweiz – Frankreich. Das idyllische Markgräflerland und der nahe Südschwarzwald zeichnen sich durch eine reizvolle Landschaft und das milde Klima aus. Hier gibt es bekannte Arbeitgeber wie die Firma Vitra, Endress & Hauser, A. Raymond und diverse namhafte Pharma- und Chemiebetriebe mit hochqualifizierten Jobs auf beiden Seiten des Rheins, aber auch eine ausgezeichnete Lebensqualität mit viel Natur und überregional bekannter Gastronomie.
WEITERE INFORMATIONEN ERHALTEN SIE GERNE AUF ANFRAGE!
WIR FREUEN UNS AUF IHRE KONTAKTAUFNAHME!
www.burkart.immobilien
Das sagen unsere Kunden (Link in Browser kopieren):
http://www.makler-empfehlung.de/immobilienmakler/21659#empfehlungen
Sonstige Angaben
Eine Besichtigung kann jederzeit nach vorheriger Terminabsprache über uns vereinbart werden. Die Eigentümer/Verkäufer/Vermieter wünschen ausdrücklich nicht, dass eigenständiger Kontakt mit Ihnen aufgenommen wird. Wenden Sie sich bitte bei Interesse direkt an unser Unternehmen. Alle Angaben sind ohne Gewähr und basieren ausschließlich auf Informationen die uns der Eigentümer/Verkäufer/Vermieter zur Verfügung gestellt hat.