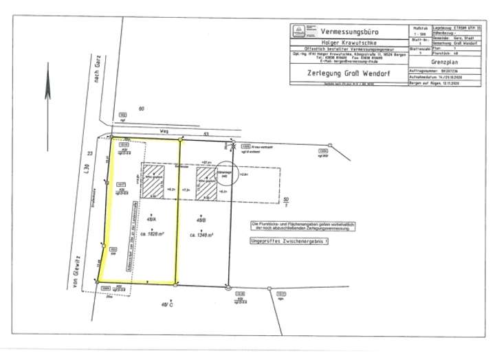
Es handelt sich um ein Baugrundstück (48/A) mit einem genehmigten Bauantrag zur Errichtung eines Einfamilienhauses.
Die Planung für einen altersgerechten Bungalowtyp, mit Ausbaumöglichkeit im Dachgeschoss, liegt zwar bereits vor, muss jedoch nicht zwingend übernommen werden. Die Vermessung des Grundstückes ist bereits realisiert worden.
(Kaufpreis auf Anfrage- bzw. mit schriftlichem Kaufpreisangebot)
Baugrundstück für die Errichtung eines Einfamilienhauses auf der Insel Rügen zu verkaufen
Wendorf 1,
18574 Garz/Rügen
Auf Karte anzeigen
Finanzierungszertifikat
In nur zwei Minuten zu Ihrem persönlichen Finanzierungszertifkat.
Infos
| Vermarktungsart | Kaufen |
|---|---|
| Grundstücksfläche | 1.828 m2 |
| Erschließung | Teilerschlossen |
| Empfohlene Nutzung | Einfamilienhaus |
| Bebaubar nach | wie Nachbarbebauung |
| Verfügbar ab | sofort |
Kosten
| Miete pro Jahr |
95.000 € |
|---|---|
| Provision |
keine |
Finanzierungsrechner:
Kaufpreis:
600.000 €
Eigenkapital:
600.000 €
Monatliche Rate
0 €
Effektiver Jahreszins
0 %
Sollzinsbindung
10 Jahre
Beschreibung des Objekts
Lage
Garz/Rügen ist eine Landstadt im Landkreis Vorpommern-Rügen in Mecklenburg-Vorpommern. Die Stadt wird vom Amt Bergen auf Rügen mit Sitz in der gleichnamigen Stadt verwaltet, für seine Umgebung bildet Garz ein Grundzentrum. Garz ist die älteste und gleichzeitig mit ca. 2.300 Einwohnern auch die kleinste Stadt auf Rügen. Die Stadt liegt im Süden der Insel, etwa 5 Kilometer von der Küste entfernt und galt bis ins Mittelalter sogar als Hauptstadt der Insel. Als erster Ort auf Rügen erhielt Garz im Jahr 1316 das Stadtrecht.
Die ehemalige Ackerbürgerstadt ist inmitten der zauberhaften Landschaft der Rügischen und Greifswalder Boddenküste gelegen und verfügt über ein sehr gut ausgebautes Netzwerk von Radwegen. Garz ist ein beschaulicher Ort, der für alle, die nach Stille und Natur suchen noch einige kulturelle Besonderheiten bietet. Zu den beliebtesten Sehenswürdigkeiten in Garz zählen der gut erhaltene Burgwall des legendären Fürstensitz „Charenza“ aus dem 11. bis 12. Jahrhundert, das Ernst-Moritz-Arndt-Museum, welches das älteste Museum auf Rügen ist und die spätgotische Sankt-Petri-Kirche aus dem 14 Jahrhundert.
Der Ort beheimatet aber nicht nur tolle Sehenswürdigkeiten sondern bietet auch vielfältige Einkaufsmöglichkeiten und ist gut mit allen anderen wichtigen Orten auf Rügen verbunden. Nur 4 Kilometer von der Stadt entfernt liegt ein ehemaliger Kreidebruch mit mehr als 100 natürlichen Wasserquellen. In der Nähe der Stadt befinden sich außerdem auch der Zicker See, eine kleine Bucht im Naturschutzgebiet Mönchgut und der natürliche Sandstrand von Palmer Ort, dem südlichsten Punkt Rügens.
Das Grundstück befindet sich auf der Insel Rügen in der kleinen gemütlichen Erholungskurstadt Garz im Ortsteil Wendorf.
Bis nach Zudar mit dem Fähranleger zum Festland und dem anliegenden Boddengewässer sind es nur wenige Kilometer.
Auch die Ostsee ist relativ schnell erreichbar.
Sonstige Angaben
Änderungswünsche können gern im Vorfeld gemeinsam abgestimmt werden.
Der Kaufpreis bezieht sich ausschließlich auf das Grundstück.
Die Bauverträge können bei Bedarf vom Käufer bzw. zukünftigen Eigentümer mit der Firma Town & Country abgeschlossen werden. Es besteht jedoch keine ausdrückliche Baubindung.
Es besteht eventuell auch die Möglichkeit, das geplante Haus auch als Ferienhaus zu nutzen. Dies müsste der zukünftige Eigentümer jedoch selbst prüfen bzw. beantragen.
Gern sind wir Ihnen bei der Suche und Beratung zu günstigen Finanzierungen behilflich.
Grundriss
Ansicht-Muster
>
>
Ansicht-Muster
>
>
Ansicht-Schnitt
>
>
Grundriss-Muster
>
>