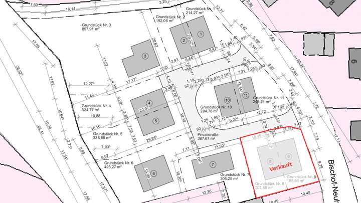
Sofort bebaubar und freie Gestaltungsmöglichkeiten bei einer realen Teilung:
Ca. 3.391 m² Baugrundstück in Erdweg, mit einem S-BAHN S2 Anschluss nur 900 m entfernt.
NUR GESAMTVERKAUF!
B-PLAN "EISENHOFEN NR. 41"
Einsehbar auf der Homepage der Gemeinde Erdweg
Dieser B-Plan wurde eigens für dieses Grundstück erstellt
Nach Rücksprache mit der Gemeinde wünscht diese sich im Rahmen des B-Plans eine großzügige Bebauung mit 3 EFH und 6 DHH.
Die Erschließung liegt straßenseitig an und ist im Kaufpreis enthalten.
Der Erschließungsweg wurde inklusive Telekom, Strom, Zu- und Abwasser fertiggestellt.
Jede einzelne Parzelle wurde schon fertig erschlossen.
Das Grundstück hat eine Baugenehmigung für 6 Doppelhaushälften und 3 Einzelfamilienhäuser.
3.391 m² - Attraktives Baugrundstück für 6 Doppelhaushälften und 3 Einfamilienhäusern
85253 Erdweg
Die vollständige Adresse der Immobilie erhalten Sie vom Anbieter.
Auf Karte anzeigen
Die vollständige Adresse der Immobilie erhalten Sie vom Anbieter.
Finanzierungszertifikat
In nur zwei Minuten zu Ihrem persönlichen Finanzierungszertifkat.
Infos
| Vermarktungsart | Kaufen |
|---|---|
| Grundstücksfläche | 3.390,9 m2 |
| Erschließung | Erschlossen |
| Empfohlene Nutzung | Doppelhaus, Einfamilienhaus |
| Bebaubar nach | Bebauungsplan |
Kosten
| Miete pro Jahr |
2.290.000 € |
|---|---|
| Provision |
3,57% inkl. MwSt |
Finanzierungsrechner:
Kaufpreis:
600.000 €
Eigenkapital:
600.000 €
Monatliche Rate
0 €
Effektiver Jahreszins
0 %
Sollzinsbindung
10 Jahre
Beschreibung des Objekts
Lage
ERDWEG – IHR ZUHAUSE IM GRÜNEN!
Der wunderschön gelegene Ortsteil Eisenhofen befindet sich im Nordwesten Münchens, zwischen Dachau und Altomünster, und gehört zur Gemeinde Erdweg. Die Gemeinde liegt direkt an der Glonn, in einem ruhigen und schönen Gebiet, durchzogen von Bächen und Wäldern.
Erdweg ist nicht nur ein ausnehmend schöner, sondern auch ein äußerst gut ans Umland angebundener Ort. Die eigene S-Bahn-Station bring Sie direkt zum Hauptbahnhof nach München. Die Autobahn A8 München-Stuttgart ist nur zehn Minuten Fahrzeit entfernt, über die Sie die Innenstadt in weniger als 45 Minuten erreichen.
Zum Erholen laden in Eisenhofen die vielen Wander- und Radwege ein. Durch den vermehrten Zuzug aus der Metropolregion München wird auch die restliche Infrastruktur ständig weiterentwickelt. Dies betrifft auch die Betreuung für Kinder, Freizeit- und Sportangebote sowie Einkaufsmöglichkeiten.
Alle Geschäfte des täglichen Bedarfs sowie Schulen, Ärzte sind im Umland verfügbar. Die nächste Einkaufsmöglichkeit befindet sich im nur fünf Minuten entfernten Erdweg.
Sonstige Angaben
Wir freuen uns, Ihnen dieses Objekt bei einem Besichtigungstermin ausführlich vorzustellen. Aus rechtlichen Gründen bitten wir Sie, für Ihre erste Kontaktaufnahme mit uns das Kontaktformular des Portals zu nutzen, auf dem Sie diese Immobilie gefunden haben.
Finestep bietet dieses Objekt provisionspflichtig zum Kauf an.
Für die vom Eigentümer übernommenen Objektdaten übernimmt Finestep keine Gewähr in Bezug auf die Vollständigkeit, Richtigkeit und Aktualität dieser Informationen. Irrtum und Zwischenverkauf ist vorbehalten. Die Käuferprovision in Höhe von 3,57 % inkl. gesetzlicher USt. ist verdient und fällig mit Beurkundung des notariellen Kaufvertrages. Der Immobilienmakler hat einen provisionspflichtigen Maklervertrag mit dem Verkäufer in gleicher Höhe abgeschlossen.
Ist Ihnen das von Finestep nachgewiesene Objekt bereits bekannt, ist dies Finestep schriftlich spätestens innerhalb von fünf Werktagen unter Nennung der Quelle und des Nachweisdatums mitzuteilen. Sämtliche Unterschriften und Mitteilungen haben auch bei Übermittlung per Telefax und E-Mail Ihre Rechtsgültigkeit. Als Gerichtsstand wird München vereinbart sowie die Anwendung Deutschen Rechts.
Der Nachweis dieses Objekts ist ausschließlich für Sie persönlich bestimmt. Eine unberechtigte Weitergabe an Dritte ist daher nicht gestattet. Sollte eine weitere Person aus Ihrem Kreis ebenfalls Interesse an dem Objekt zeigen, teilen Sie uns dies bitte mit. Gerne werden wir ein eigenes, persönliches Angebot zusenden.
Die hier eingestellten Flächenangaben sind mit größter Sorgfalt recherchiert, erheben jedoch nicht den Anspruch auf Alleingültigkeit und werden lediglich unverbindlich zu Informationszwecken zur Verfügung gestellt.
Alle Angaben nach bestem Wissen und nach Angabe des Verkäufers. Irrtum und Zwischenverkauf vorbehalten. Dieses Exposé ist eine Vorabinformation, als Rechtsgrundlage gilt allein der notariell abgeschlossene Kaufvertrag.
Grundriss
ARCHITEKTENPLAN
>
>
LAGEPLAN
>
>