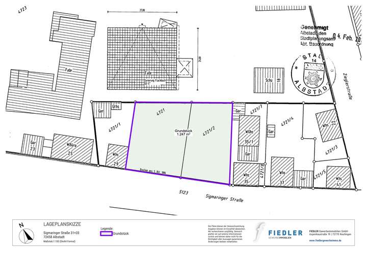
Das Grundstück mit insgesamt 1.247 m² befindet sich in einem innerstädtischen Gebiet mit gemischter Bauweise. Es besteht aus zwei Flurstücken (ca. 664 m² und ca. 583 m²), welche separat oder gemeinsam zum Verkauf stehen.
An der östlichen Grenze ist ein 1,5 m breiter Streifen für den gemeinsamen Fahrweg mit dem Nachbarn freizuhalten. Ansonsten gibt es baurechtlich wenig Festsetzungen und die Umgebungsbebauung macht eine flexible Planung und Nutzung möglich. Entlang der Sigmaringer Straße verläuft die Schmiecha, welche zum Spaziergang bis ins Stadtzentrum einlädt.
Finanzierungszertifikat
In nur zwei Minuten zu Ihrem persönlichen Finanzierungszertifkat.
Infos
| Vermarktungsart | Kaufen |
|---|---|
| Grundstücksfläche | 1.247 m2 |
| Verfügbar ab | Nach Absprache |
Kosten
| Miete pro Jahr |
0 € |
|---|---|
| Provision | Nein |
Finanzierungsrechner:
Kaufpreis:
600.000 €
Eigenkapital:
600.000 €
Monatliche Rate
0 €
Effektiver Jahreszins
0 %
Sollzinsbindung
10 Jahre
Beschreibung des Objekts
Lage
Albstadt liegt auf der Schwäbischen Alb und ist bekannt für seine Textil- und Maschinenbauindustrie. Das Grundstück in der Sigmaringer Straße liegt zentral. Das Stadtzentrum von Ebingen mit vielfältigen Dienstleistungen und Einzelhandelsgeschäften ist in ca. 800 m (10 Gehminuten) erreichbar. Der Bahnhof liegt ca. 1 km (12 Gehminuten) und die Bushaltestelle „Bitzer Gasse“ nur 100 m (1 Gehminute) entfernt, mehrere weitere Haltestellen befinden sich im Umkreis von 500 m.
In der Nachbarschaft sind sowohl Wohnbebauung und eine Seniorenwohnanlage als auch Fach- und Großhandelsgeschäfte sowie Produktionsbetriebe, ein Netto-Markt und eine Tankstelle angesiedelt.
Die Bundesstraße B 463 (Balingen-Sigmaringen) verläuft durch Albstadt und bietet Anschluss an die B 27 (Stuttgart-Rottweil). Nach Balingen oder Sigmaringen gelangt man mit dem Auto in je ca. 20 Minuten und nach Meßstetten in ca. 10 Minuten. Weitere Bundesstraßen (B 32 und B 313) sind in knapp 20 Minuten Fahrzeit erreichbar.
Sonstige Angaben
Provisionsfrei, Vermittlung im Eigentümerauftrag.
Wir bitten um Ihr Verständnis dafür, dass wir in der Internetpräsentation keine Preise nennen können. Die Preisfindung bei Gewerbeobjekten ist erst möglich, wenn der Bedarf eines Interessenten erfasst sowie eventuell notwendige Gebäudeanpassungen und vertragliche Rahmenbedingungen bekannt sind. Deshalb sollten Preis- und Finanzierungsfragen in einem persönlichen Gespräch geklärt werden.
Grundriss
Lageplanskizze
>
>