Baugrundstück: Sonnige Perspektiven in Brieselang
In bester Lage Brieselangs erwartet Sie ein sonnenverwöhntes Baugrundstück, das Ihren Traum vom eigenen Zuhause wahr werden lässt. Das großzügig geschnittene Grundstück bietet optimale Voraussetzungen für die Errichtung Ihres individuellen Einfamilienhauses.
Die sonnige Ausrichtung des Grundstücks garantiert lichtdurchflutete Räume und sonnige Stunden im künftigen Garten.
Brieselang überzeugt mit seiner perfekten Balance aus ländlicher Idylle und hervorragender Infrastruktur. In nur 30 Minuten erreichen Sie Berlin, während Sie gleichzeitig die Ruhe und Naturnähe des brandenburgischen Umlands genießen können.
Sichern Sie sich jetzt diese seltene Gelegenheit – ein Baugrundstück mit rechtlich gesichertem Vorbescheid für ein Einfamilienhaus in einer der begehrtesten Wohngegenden im Berliner Umland. Das Grundstück wird beräumt übergeben.
Baugrundstück: Ihr grünes Paradies in Bestlage
14656 Brieselang
Die vollständige Adresse der Immobilie erhalten Sie vom Anbieter.
Auf Karte anzeigen
Die vollständige Adresse der Immobilie erhalten Sie vom Anbieter.
Finanzierungszertifikat
In nur zwei Minuten zu Ihrem persönlichen Finanzierungszertifkat.
Infos
| Vermarktungsart | Kaufen |
|---|---|
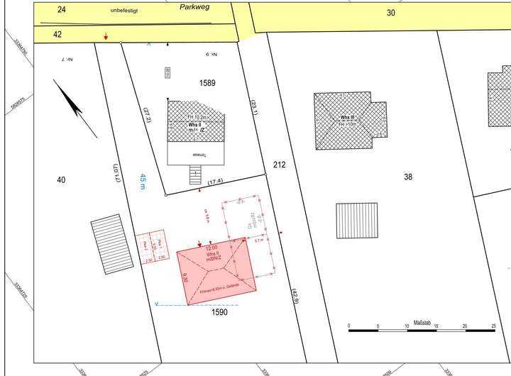
| Grundstücksfläche | 1.195 m2 |
| Erschließung | Teilerschlossen |
| Empfohlene Nutzung | Einfamilienhaus |
| Verfügbar ab | sofort |
Kosten
| Miete pro Jahr |
289.000 € |
|---|---|
| Provision | Nein |
Finanzierungsrechner:
Kaufpreis:
600.000 €
Eigenkapital:
600.000 €
Monatliche Rate
0 €
Effektiver Jahreszins
0 %
Sollzinsbindung
10 Jahre
Beschreibung des Objekts
Lage
Lage
Brieselang liegt westlich von Berlin und mit seinem Bahnanschluss noch im Tarifbereich C der BVG. Damit haben Sie über die Regionallinien 10 und 14 direkten Anschluss nach Berlin und Nauen. Spandau erreichen Sie in 15 Minuten, den Berliner Hauptbahnhof in weniger als 30 Minuten. Für Vielflieger: In Brieselang hält der Airport-Express zum Flughafen Schönefeld.
Brieselang liegt im Berliner Autobahnring (A10), damit erreichen Sie Berlin genauso gut wie die Landeshauptstadt Potsdam mit dem Auto.
Sonstige Angaben
Hoher Freizeitwert
Leben in der Gartenstadt Brieselang bedeutet auch, sich in einer Umgebung mit hohem Freizeitwert niederzulassen. Der Ort bietet diverse Sportvereine und kulturelle Einrichtungen. Direkt dabei locken der Brieselanger Wald und das Naturschutzgebiet „Döberitzer Heide“, Wanderer, Jogger, Radfahrer und Reiter. Am Ortsrand liegt der Nymphensee. Er bietet Badespaß bei bester Wasserqualität. In der Nähe finden Sie Karls Erlebnishof, das Designer Outlet und den Havelpark. Alles ist über die B5 in wenigen Minuten zu erreichen.
Kontaktieren Sie mich noch heute für eine persönliche Besichtigung und lassen Sie sich von den vielfältigen Möglichkeiten dieses einzigartigen Grundstücks überzeugen!
Weitere Dokumente
Liegenschaftskarte_2Vorbescheid