Rarität in Ravensburg !
Innenstadtnahes, sonniges Baugrundstück bzw. Grundstücke in Ravensburg/ Raueneggstrasse, mit Aussicht über die Dächer und die Türme von Ravensburg.
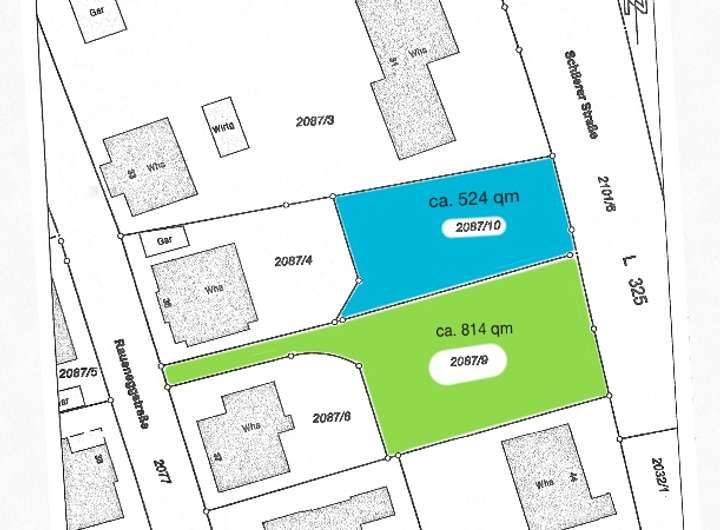
1338 qm Gesamtgrundstück, geteilt in 524 qm und 814 qm Grundstück. Bebaubar mit je 2 Wohneinheiten pro Grundstück, gesamt max. 4 Wohneinheiten. Sie können natürlich auch ein großes Einfamilienhaus erstellen. Für ein Projekt mit ca. 480 qm Wohnfläche gab es bereits eine Baugenehmigung. Für die Zufahrt zum Grundstück gibt es bereits eine Planung mit Baugenehmigung, diese im Kaufpreis enthalten ist.
Die Grundstücke müssen zusammen verkauft werden, da der zukünftige Bauherr die Zufahrt zum Baugrundstück zu erstellen hat.
Weitere Informationen erhalten Sie gerne bei einem persönlichen Termin.
Baugrundstück in Ravensburg, tolle Aussicht über die Dächer und die Türme von Ravensburg
Raueneggstrasse 35/1,
88212 Ravensburg
Auf Karte anzeigen
Finanzierungszertifikat
In nur zwei Minuten zu Ihrem persönlichen Finanzierungszertifkat.
Infos
| Vermarktungsart | Kaufen |
|---|---|
| Grundstücksfläche | 1.338 m2 |
| Grundflächenzahl (GRZ) | 0.2 |
| Geschossflächenzahl (GFZ) | 0.4 |
| Bebaubar nach | Bebauungsplan |
| Verfügbar ab | Sofort |
Kosten
| Miete pro Jahr |
585.000 € |
|---|---|
| Provision |
3,57 % inkl. MwSt. aus dem notariellem Kaufpreis |
Finanzierungsrechner:
Kaufpreis:
600.000 €
Eigenkapital:
600.000 €
Monatliche Rate
0 €
Effektiver Jahreszins
0 %
Sollzinsbindung
10 Jahre
Beschreibung des Objekts
Lage
Wenige Gehminuten in die Innenstadt.