Baugrundstücke in Top-Lage Wesel-Blumenkamp – Privatverkauf, provisionsfrei
Wir bieten vier attraktive Baugrundstücke in bester Lage von Wesel-Blumenkamp zum Verkauf an.
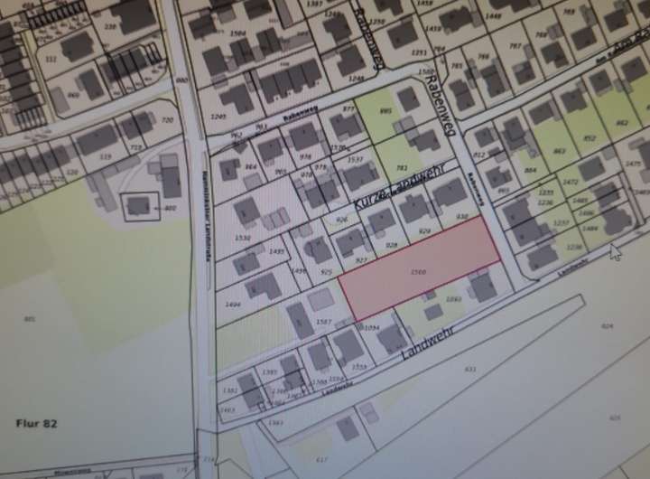
• Grundstücksgrößen: ca. 555 m² – 645 m² (siehe Lageplan)
• Kaufpreis: 450 € / m²
• Zusätzlich: ¼-Anteil an der Erschließungsstraße (ca. 68 m² pro Grundstück à 100 €/m²)
• Verkauf von Privat – keine Maklerprovision!
Die Grundstücke befinden sich in einer ruhigen, gewachsenen Wohnlage mit hervorragender Infrastruktur. Schulen, Einkaufsmöglichkeiten, Ärzte und Freizeitangebote sind in wenigen Minuten erreichbar. Durch die verkehrsgünstige Anbindung sind sowohl die Weseler Innenstadt als auch die umliegenden Städte schnell erreichbar.
Ihre Vorteile:
• Attraktive Grundstücksgrößen für individuelle Bebauung. 1,5 Geschosse sind erlaubt.
• Provisionsfreier Kauf direkt vom Eigentümer
• Ruhige Lage in Wesel-Blumenkamp
• Ideale Infrastruktur für Familien
Bei Interesse senden wir Ihnen gerne den detaillierten Lageplan sowie weitere Unterlagen zu.
Bauland in bester Lage Blumenkamp von privat
46487 Wesel
Die vollständige Adresse der Immobilie erhalten Sie vom Anbieter.
Auf Karte anzeigen
Die vollständige Adresse der Immobilie erhalten Sie vom Anbieter.
Finanzierungszertifikat
In nur zwei Minuten zu Ihrem persönlichen Finanzierungszertifkat.
Infos
| Vermarktungsart | Kaufen |
|---|---|
| Grundstücksfläche | 622 m2 |
| Erschließung | Erschlossen |
| Empfohlene Nutzung | Doppelhaus, Einfamilienhaus, Reihenhaus |
| Geschossflächenzahl (GFZ) | 1.5 |
| Bebaubar nach | wie Nachbarbebauung |
| Verfügbar ab | 28.3.2025 |
Kosten
| Miete pro Jahr |
256.100 € |
|---|---|
| Provision | Nein |
Finanzierungsrechner:
Kaufpreis:
600.000 €
Eigenkapital:
600.000 €
Monatliche Rate
0 €
Effektiver Jahreszins
0 %
Sollzinsbindung
10 Jahre
Beschreibung des Objekts
Lage
Ruhige Lage in der besten Ecke von Wesel-Blumenkamp. Erschließung über den Rabenweg.
Grundriss
Lageplan
>
>