Willkommen zu Ihrem zukünftigen Traumprojekt! Dieses attraktive Baugrundstück befindet sich in einer der begehrtesten Lagen Heidelbergs, am Kühlen Grund in 69126. Mit einer großzügigen Fläche von 2961 m² bietet dieses Grundstück vielfältige Möglichkeiten zur Realisierung Ihrer individuellen Wohnideen.
Die ruhige und grüne Umgebung zeichnet sich durch eine hervorragende Anbindung an die Innenstadt sowie eine gute Erreichbarkeit der umliegenden Naherholungsgebiete aus. Hier genießen Sie die Vorzüge einer naturnahen Lage, während Sie gleichzeitig von der urbanen Infrastruktur profitieren. Einkaufsmöglichkeiten, Schulen, Kindergärten und öffentliche Verkehrsmittel sind bequem zu erreichen.
Das Grundstück ist voll erschlossen und bietet Ihnen die Möglichkeit, ein modernes Wohnhaus oder ein Mehrfamilienhaus zu errichten. Die umliegende Bebauung ist geprägt von ansprechenden Einfamilienhäusern und modernen Wohnanlagen, die das harmonische Gesamtbild der Nachbarschaft unterstreichen.
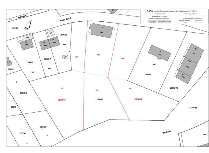
Für das Grundstück A (25968/11) liegt eine genehmigte Bauvoranfrage vor, die eine Wohnfläche von 963 Quadratmetern vorsieht, bezogen auf eine Flurstücks Größe von 855 Quadratmetern.
Das Grundstück A hat eine Gesamtfläche von 2961 Quadratmetern. Davon entfallen 1604 Quadratmeter auf Laubholz-Wald, während 1357 Quadratmeter für Wohnbauflächen genutzt werden können.
Laut Bauvorbescheid ist ein Abstand von 30 Metern zum Wald einzuhalten.
Nutzen Sie diese einmalige Gelegenheit, um in einer der schönsten Städte Deutschlands zu investieren und Ihre Wohnträume zu verwirklichen.
Für weitere Informationen oder zur Vereinbarung eines Besichtigungstermins stehen wir Ihnen jederzeit gerne zur Verfügung. Lassen Sie sich diese Chance nicht entgehen und gestalten Sie Ihre Zukunft am Kühlen Grund in Heidelberg!
Großes Baugrundstück mit eigenem Wald in naturnaher Lage in Heidelberg-Rohrbach
69126 Heidelberg
Die vollständige Adresse der Immobilie erhalten Sie vom Anbieter.
Auf Karte anzeigen
Die vollständige Adresse der Immobilie erhalten Sie vom Anbieter.
Finanzierungszertifikat
In nur zwei Minuten zu Ihrem persönlichen Finanzierungszertifkat.
Infos
| Vermarktungsart | Kaufen |
|---|---|
| Grundstücksfläche | 2.961 m2 |
| Erschließung | Erschlossen |
| Verfügbar ab | nach Absprache |
Kosten
| Miete pro Jahr |
1.550.000 € |
|---|---|
| Provision |
4,5% zzgl. MwSt. |
Finanzierungsrechner:
Kaufpreis:
600.000 €
Eigenkapital:
600.000 €
Monatliche Rate
0 €
Effektiver Jahreszins
0 %
Sollzinsbindung
10 Jahre
Beschreibung des Objekts
Lage
Heidelberg ist eine Großstadt in Baden-Württemberg im Südwesten Deutschlands, am Neckar gelegen, wo dieser den Odenwald verlässt und in die Oberrheinebene eintritt. Die ehemalige kurpfälzische Residenzstadt ist bekannt für ihre malerische Altstadt mit der Schlossruine sowie für ihre renommierte Universität, die älteste Hochschule auf dem Gebiet des heutigen Deutschlands. Sie zieht Wissenschaftler und Besucher aus aller Welt an.
Mit über 162.000 Einwohnern ist Heidelberg die fünftgrößte Stadt Baden-Württembergs. Sie ist Stadtkreis und zugleich Sitz des umliegenden Rhein-Neckar-Kreises. Das dicht besiedelte Rhein-Neckar-Gebiet, in dem Heidelberg gemeinsam mit den Großstädten Mannheim und Ludwigshafen liegt, wird als Metropolregion Rhein-Neckar bezeichnet.
Rohrbach befindet sich ungefähr drei Kilometer südlich vom Stadtzentrum Heidelbergs entfernt auf etwa halbem Wege nach Leimen.
Neben Alt-Rohrbach mit der Melanchthonkirche und dem Rathaus setzt sich Rohrbach aus den Ortsteilen Kühler Grund, Gewann See, Hasenleiser und Rohrbach-Süd (Gewerbegebiet) zusammen. Ebenfalls zu Rohrbach gehört das etwas abgelegene, bewaldete und landwirtschaftlich genutzte Gebiet um den Bierhelder Hof. Früher gehörten auch noch die nunmehr selbständigen Heidelberger Stadtteile Boxberg und Emmertsgrund zur Gemarkung Rohrbach.
Mit allen Ortsteilen kommt Rohrbach insgesamt auf über 15.000 Einwohner.
Rohrbach verfügt über zwei Grundschulen, eine Hauptschule und eine Gesamtschule.
Sonstige Angaben
- Ruhige, grüne Wohngegend
- Gute Anbindung an öffentliche Verkehrsmittel
- Nahegelegene Einkaufsmöglichkeiten, Schulen und Freizeitangebote
- Attraktive Umgebung mit hohem Freizeitwert