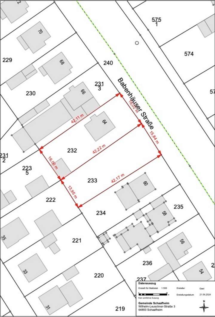
Dieses attraktive Baugrundstück mit 631m² liegt zentral in Schaafheim und bietet vielseitige Bebauungsmöglichkeiten.
Es besteht kein Bebauungsplan, sodass eine Bebauung nach § 34 BauBG entsprechend der umliegenden Nachbarbebauung möglich ist. Das Grundstück ist teilweise erschlossen (Kanal wurde verlegt) und es ist keine Baulast eingetragen.
Ein ideales Grundstück für alle, die sich den Traum vom eigenen Zuhause in angenehmer Lage erfüllen möchten.
Baugrundstück in Schaafheim - 631m² in Toplage zu verkaufen
64850 Schaafheim
Die vollständige Adresse der Immobilie erhalten Sie vom Anbieter.
Auf Karte anzeigen
Die vollständige Adresse der Immobilie erhalten Sie vom Anbieter.
Finanzierungszertifikat
In nur zwei Minuten zu Ihrem persönlichen Finanzierungszertifkat.
Infos
| Vermarktungsart | Kaufen |
|---|---|
| Grundstücksfläche | 631 m2 |
| Erschließung | Teilerschlossen |
| Empfohlene Nutzung | Doppelhaus, Einfamilienhaus, Garagen, Garten, Keine Bebauung, Mehrfamilienhaus, Obstpflanzung, Stellplaetze, Villa |
| Bebaubar nach | wie Nachbarbebauung |
| Verfügbar ab | 1.7.2025 |
Kosten
| Miete pro Jahr |
250.000 € |
|---|---|
| Provision | Nein |
Finanzierungsrechner:
Kaufpreis:
600.000 €
Eigenkapital:
600.000 €
Monatliche Rate
0 €
Effektiver Jahreszins
0 %
Sollzinsbindung
10 Jahre
Beschreibung des Objekts
Lage
Das Grundstück befindet sich in einer ruhigen, gewachsenen Wohnlage direkt in Schaafheim. In wenigen Gehminuten erreichen Sie diverse Einkaufsmöglichkeiten, Ärzte, eine Apotheke sowie gemütliche Cafés. Die Gemeinde bietet ein breites Freizeit - und Vereinsangebot - von Sporteinrichtungen über Spielplätze bis hin zum Freibad. Ideal für Familien und alle, die aktiv leben möchten.
Schaafheim ist hervorragend an die umliegenden Städte angebunden: Frankfurt erreichen Sie mit dem Auto in ca. 40 Minuten, Darmstadt in rund 25 Minuten und Aschaffenburg in nur 15 Minuten. Auch mit dem Bus sind Sie bestens vernetzt.
Ein Ort zum Wohlfühlen - ruhig gelegen und dennoch zentral erreichbar.
Jetzt sichern und den Grundstein für Ihr neues Zuhause in Schaafheim legen!
Grundriss
Lageplan
>
>