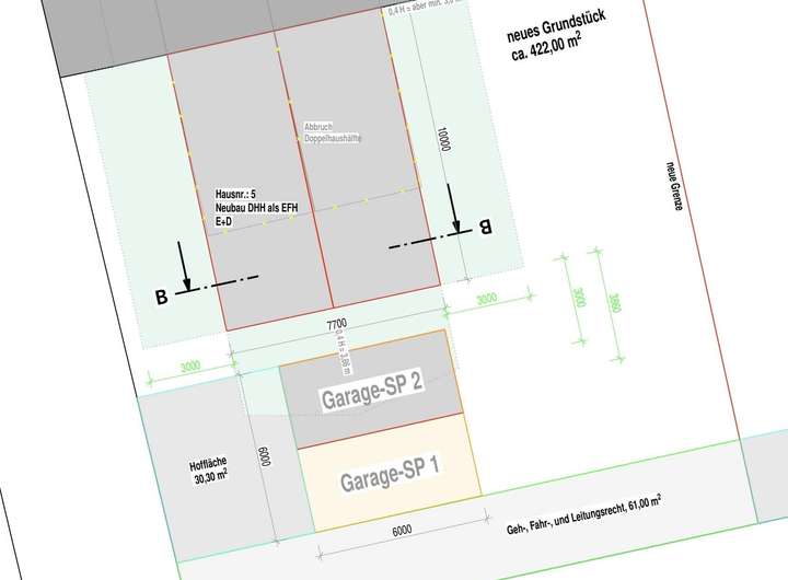
Zum Verkauf steht ein großzügiges Grundstück mit einer Gesamtfläche von ca. 422 m², das sich ideal für eine Neubebauung eignet.
Auf dem Grundstück befindet sich derzeit ein sanierungsbedürftiges Altgebäude, das als Abrissobjekt einzustufen ist.
Der Abriss eröffnet vielfältige Möglichkeiten zur individuellen Bebauung nach §34 BauGB (Nachbarschaftsbebauung).
Eine genehmigte Bauvoranfrage liegt bereits vor!
Bei Interesse an diesem Grundstück oder dem Wunsch nach weiteren Informationen stehen wir Ihnen gerne zur Verfügung – wir freuen uns auf Ihre Nachricht.
- Hinweis: Bei dem hier angezeigten Titelfoto handelt es sich um ein Beispielbild, das nicht das hier beworbene Grundstück in Gersthofen zeigt -
Attraktives und ruhiges Grundstück mit Altbestand in Gersthofen!
86368 Gersthofen
Die vollständige Adresse der Immobilie erhalten Sie vom Anbieter.
Auf Karte anzeigen
Die vollständige Adresse der Immobilie erhalten Sie vom Anbieter.
Finanzierungszertifikat
In nur zwei Minuten zu Ihrem persönlichen Finanzierungszertifkat.
Infos
| Vermarktungsart | Kaufen |
|---|---|
| Grundstücksfläche | 422 m2 |
| Erschließung | Erschlossen |
| Bebaubar nach | wie Nachbarbebauung |
Kosten
| Miete pro Jahr |
360.810 € |
|---|---|
| Provision |
3,57 % inkl. ges. MwSt. |
Finanzierungsrechner:
Kaufpreis:
600.000 €
Eigenkapital:
600.000 €
Monatliche Rate
0 €
Effektiver Jahreszins
0 %
Sollzinsbindung
10 Jahre
Beschreibung des Objekts
Lage
Die Immobilie befindet sich in einer ruhigen und familienfreundlichen Wohngegend im Herzen von Gersthofen, einer attraktiven Stadt nördlich von Augsburg. Die Umgebung ist geprägt von gepflegten Einfamilienhäusern und kleinen Mehrparteienhäusern mit viel Grün und einer angenehmen Nachbarschaftsatmosphäre.
Ein Supermarkt mit Bäckerei ist in der Nähe und kann fußläufig oder mit dem Fahrrad erreicht werden. Kita, Kindergarten und eine Grundschule befinden sich ebenfalls in der nahen Umgebung. Insbesondere die Grundschule kann von Kindern gefahrlos zu Fuß erreicht werden, was die Lage besonders für Familien interessant macht. Für Freizeitaktivitäten bieten sich zahlreiche Möglichkeiten die zu Fuß oder mit dem Rad erreicht werden können – sei es ein Spaziergang oder Radlausflug in den Lechauen, der Besuch des Sportvereins oder entspannte Stunden im städtischen Freibad.
Die Anbindung an den öffentlichen Nahverkehr ist sehr gut: Bushaltestellen und der Bahnhof Gersthofen sind schnell erreichbar und ermöglichen eine zügige Verbindung nach Augsburg sowie in die umliegenden Orte. Autofahrer profitieren von der Nähe zur B2 und A8, wodurch sowohl die Augsburger Innenstadt als auch München und Ulm bequem zu erreichen sind.
Insgesamt überzeugt die Lage durch eine gelungene Kombination aus Ruhe, Infrastruktur und guter Erreichbarkeit – ideal für alle, die stadtnah und dennoch im Grünen wohnen möchten.
Sonstige Angaben
Alle in diesem Exposé aufgeführten Objektdaten beruhen auf Angaben des Verkäufers. Für die Richtigkeit kann keine Haftung übernommen werden. Alle Flächenangaben sind ca.-Werte
Alle Angaben nach bestem Wissen. Irrtum und Zwischenverkauf vorbehalten.
Der Käufer zahlt im Erfolgsfall an die Firma Finanzkanzlei MLH Immobilien GmbH eine Käufer-Maklerprovision in Höhe von 3,57 % inkl. gesetzlicher MwSt.. Die Provision errechnet sich aus dem notariell beurkundeten Kaufpreis. Wir haben einen Maklervertrag in gleicher Höhe mit dem Eigentümer abgeschlossen.
Dieses Exposé ist eine Vorinformation, als Rechtsgrundlage gilt allein der notariell abgeschlossene Kaufvertrag.
Informieren Sie sich auf unserer Webseite über das bestehende Widerrufsrecht bei Abschluss eines Maklervertrages und über die Verbraucherstreitbeilegung der EU.