Mit dem von uns angebotenen wunderschön gelegenen Doppelhaushälften-Grundstück, bieten wir Ihnen die perfekte Basis um Ihren Traum vom Eigenheim zu verwirklichen.
Beenden Sie die Bauplatzsuche mit diesem Angebot!
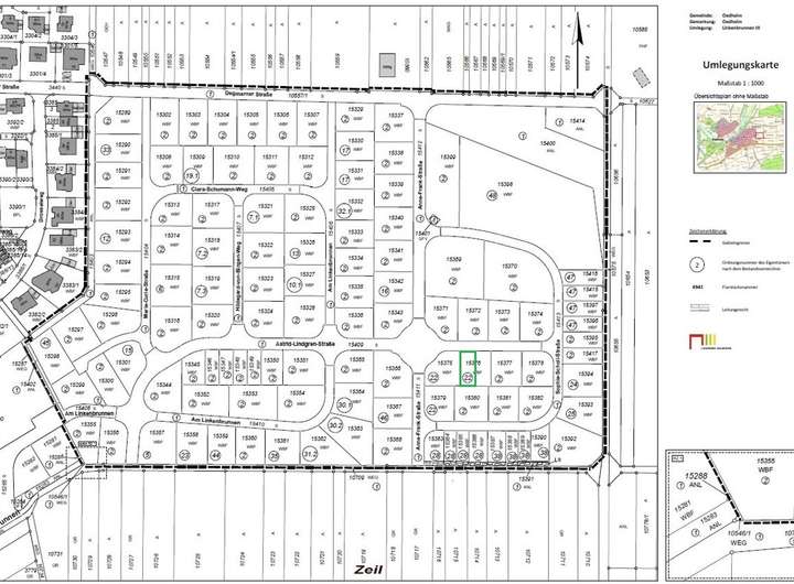
Auf einer unbebauten Grundstücksfläche von ca. 225 m² (50% Flurstück 15376 / westlicher Teil) bieten wir Ihnen in einem attraktiven, heranwachsendenden Neubaugebiet Linkenbrunnen III in Oedheim ausreichend Platz, um Ihre Idee von der eigenen Doppelhaushälfte in die Realität umzusetzen.
Auf dem östlich angrenzenden Teil des Grundstücks wird derzeit eine Doppelhaushälfte errichtet, ausgeführt von der Firma Schwabenhaus.
Mit dem Erwerb dieses Grundstücks sind Sie an keinen Baupartner gebunden und können frei entscheiden, in welcher Bauweise Ihr Eigenheim entstehen soll.
Sollten Sie sich jedoch für den Bau mit unserem Kooperationspartner Schwabenhaus entscheiden, erhalten Sie exklusive Sonderrabatte, die Ihnen attraktive Preisvorteile und erstklassige Bauqualität sichern.
Bei Interesse stellen wir gerne den Kontakt her oder Sie melden sich direkt bei Schwabenhaus.
Die Kontaktdaten finden Sie hier: https://www.schwabenhaus.de/standort/musterhaus-heilbronn/
Beigefügt finden Sie den Bebauungsplan "Linkenbrunnen III", aus dem Sie weitere Informationen zur möglichen Bebauung entnehmen können.
DHH-Grundstück zu verkaufen *Neubaugebiet / attraktive Lage*
Linkenbrunnen III ,
74229 Oedheim
Auf Karte anzeigen
Finanzierungszertifikat
In nur zwei Minuten zu Ihrem persönlichen Finanzierungszertifkat.
Infos
| Vermarktungsart | Kaufen |
|---|---|
| Grundstücksfläche | 225 m2 |
| Erschließung | Erschlossen |
| Empfohlene Nutzung | Doppelhaus |
| Grundflächenzahl (GRZ) | 0.4 |
| Bebaubar nach | Bebauungsplan |
| Verfügbar ab | Sofort |
Kosten
| Miete pro Jahr |
136.125 € |
|---|---|
| Provision |
4,76 |
Finanzierungsrechner:
Kaufpreis:
600.000 €
Eigenkapital:
600.000 €
Monatliche Rate
0 €
Effektiver Jahreszins
0 %
Sollzinsbindung
10 Jahre
Beschreibung des Objekts
Lage
Eingebettet in Weinberge, Wälder und Wiesen liegt am Unterlauf des Kochers im Norden des Landkreises Heilbronn die Gemeinde Oedheim mit dem zusätzlichen Ortsteil Degmarn. Mit über 6.000 Einwohner hat sich Oedheim von einem rein landwirtschaftlich geprägten Dorf zu einer modernen und attraktiven Wohngemeinde mit hohem Freizeitwert und einem aktiven Vereins Leben entwickelt. So gibt es durch ein Fitness-Center, Schützenheim, Segelfluggelände, Camping- und Freizeitpark, mehrere Restaurants und verschiedenen Vereine genügend Möglichkeiten, sportlich aktiv zu sein und/oder den Abend gemütlich mit feinsten Köstlichkeiten ausklingen zu lassen.
Die idyllische, aber auch verkehrsgünstige Lage in einer der wirtschaftlichsten stärksten Region Deutschlands lässt Oedheim zu einem attraktiven Wohnort werden. So haben wir zum Beispiel zwei Anschlüsse an das Fernstraßennetz. Die Autobahn 81 in Neuenstadt am Kocher und die Autobahn 6 in Neckarsulm. Die wachsende Großstadt Heilbronn liegt mit 15 km nicht unweit entfernt und bietet sowohl als Hochschulstandort als auch als Industriestandort von weltweit agierenden Unternehmen langfristig optimale Perspektiven.
Sonstige Angaben
Wir stehen Ihnen gerne für eine Besichtigung und zur Einsicht weiterer Unterlagen zur Verfügung.
Sie sind noch auf der Suche nach einem passenden Baupartner? Auch hier können wir Ihnen aufgrund einer Vielzahl von Kooperationspartnern unsere Unterstützung und Kontaktmöglichkeiten anbieten.
Zögern Sie nicht und verwirklichen Sie Ihren Traum vom Eigenheim. Wir freuen uns darauf, Sie kennenzulernen.