Einzigartiges Baugrundstück inklusive Planung in traumhafter Grünlage mit Blick über Wien – mitten in der Natur! Eine seltene Gelegenheit am Maurer Berg!
Suchen Sie den perfekten Ort für Ihr neues Villenprojekt? Dann haben wir genau das Richtige für Sie: ein attraktives Baugrundstück mit einer Größe von 2.095 m2 und einer kurz vor der Baugenehmigung stehenden Planung für zwei großzügige Villen mit jeweils rund 300 m2 Wohnnutzfläche.
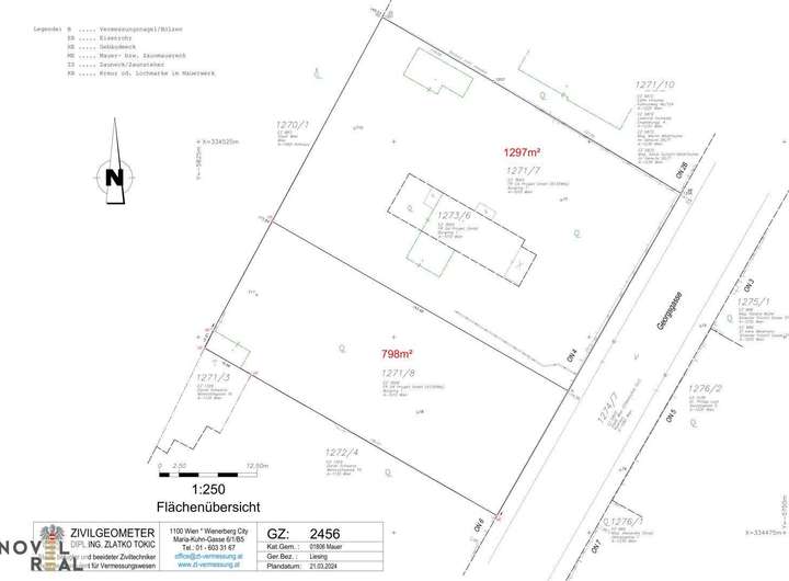
Das Grundstück kann auch in zwei separate Baugrundstücke aufgeteilt werden:
• Grundstück A: 798 m2 / Preis inkl. gesetzl. USt: 1.590.000 €
• Grundstück B: 1.297m2 / Preis inkl. gesetzl. USt: 2.590.000 €
• Gesamtfläche A + B: 2.095 m2 / Preis inkl. gesetzl. USt: 4.190.000 €
Inmitten einer ausgezeichneten Infrastruktur finden Sie hier alles, was das Herz begehrt: Einkaufsmöglichkeiten, gute Schulen, Ärzte und öffentliche Verkehrsmittel sind in unmittelbarer Nähe und sorgen für eine bequeme und stressfreie Lebensweise.
Doch nicht nur die Infrastruktur punktet hier. Auch die Natur und Freizeitmöglichkeiten kommen nicht zu kurz. Genießen Sie entspannte Spaziergänge im angrenzenden Maurer Wald oder erkunden Sie die Umgebung bei einer Fahrradtour – hier ist für jeden etwas dabei!
Grundstück B
Wir haben genau das Richtige für Sie: ein attraktives Baugrundstück mit einer Größe von 1.032 m2 und einer bereits vorhandenen Baugenehmigung. Bauklasse I.
Fakten:
Grundstück B. 1.297 m2 /Preis inkl. gesetzl. USt: 2.590.000 €
Einzigartig: Baugrundstück mit traumhafter grüner Aussicht über Wien – mitten in der Natur! Eine seltene Gelegenheit!
Lassen Sie sich von diesem einzigartigen Baugrundstück am Georgenberg in Mauer verzaubern und verwirklichen Sie Ihren Traum. Zögern Sie nicht lange, denn solch ein Angebot kommt nicht oft auf den Markt.
Das hier angebotene Grundstück verfügt über eine genehmigte Bauplanung für zwei Villen von namhafen Architekten. Darüber hinaus ist eine Studie für Designervillen von Architekt Leonte verfügbar. Das Projekt vereint moderne Architektur mit urbaner Funktionalität und einem starken Fokus auf Lebensqualität.
Eine Anpassung der Genehmigungsplanung an Ihre persönlichen Wünsche und eine Unterstützung bei der baulichen Umsetzung ist im Kaufpreis inkludiert.
Wir freuen uns darauf, Ihnen dieses Grundstück persönlich zu zeigen und gemeinsam mit Ihnen Ihre Wohnträume zu realisieren. Vereinbaren Sie einen Besichtigungstermin und lassen Sie sich von den Möglichkeiten begeistern. Kontaktieren Sie uns gerne für weitere Informationen und Details.
Lage und Infrastruktur:
Das Objekt in 1230 Wien liegt im Bezirk Liesing-Mauer am Georgenberg, einer Gegend mit hervorragender Infrastruktur und Verkehrsanbindung. Mauer ist bekannt für seine exklusive und ruhige Wohnlage mit zahlreichen Einkaufsmöglichkeiten, Restaurants, Heurigen und öffentlichen Verkehrsmitteln in der Nähe.
Die Erreichbarkeit ist sowohl mit dem Auto als auch mit öffentlichen Verkehrsmitteln ausgezeichnet. Die Buslinien 61A und 64A sind in der Nähe und bieten eine bequeme Anbindung an die Straßenbahnlinien 60 und 61 sowie an die S-Bahn, U4 und U6.
Die grüne Umgebung mit der herrlichen Aussicht über Wien lädt zu entspannten Spaziergängen, Wanderungen oder ausgedehnten Fahrradtouren ein – eine perfekte Kombination aus urbanem Komfort und naturnaher Lebensqualität. Ganz in der Nähe befindet sich die Wotruba Kirche, ein beliebtes Ausflugsziel für Kunst- und Architekturinteressierte mit beeindruckender Aussicht über Wien, sowie der beliebte Liesingbach.
Aus rechtlichen Gründen und aufgrund der großen Nachfragen bitten wir um Verständnis, dass wir nur Anfragen per Mail beantworten, wenn Sie uns Ihren vollständigen Namen samt Mailadresse und Mobilnummer bekanntgeben.
Für die Vereinbarung eines Termins kontaktieren Sie Frau Vassilena Valkova telefonis
Einzigartiges Baugrundstück in Mauer – 1.297 m² mit spektakulärer Aussicht auf Wien!
1230 Wien
Die vollständige Adresse der Immobilie erhalten Sie vom Anbieter.
Auf Karte anzeigen
Die vollständige Adresse der Immobilie erhalten Sie vom Anbieter.
Finanzierungszertifikat
In nur zwei Minuten zu Ihrem persönlichen Finanzierungszertifkat.
Infos
| Vermarktungsart | Kaufen |
|---|---|
| Grundstücksfläche | 1.297 m2 |
Kosten
| Miete pro Jahr |
2.500.000 € |
|---|---|
| Provision |
3% des Kaufpreises zzgl. 20% USt. |
Finanzierungsrechner:
Kaufpreis:
600.000 €
Eigenkapital:
600.000 €
Monatliche Rate
0 €
Effektiver Jahreszins
0 %
Sollzinsbindung
10 Jahre
Beschreibung des Objekts
Lage
Das Objekt in 1230 Wien liegt im Bezirk Liesing, einer Gegend mit guter Infrastruktur und Verkehrsanbindung. Liesing ist bekannt für seine Mischung aus Wohn- und Gewerbegebieten, mit zahlreichen Einkaufsmöglichkeiten, Restaurants und öffentlichen Verkehrsmitteln in der Nähe.