Einmalige Gelegenheit für Investoren:
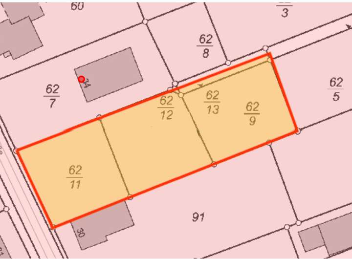
3 separate Grundstücke:
GST 1: ca. 587 m²
GST 2: ca. 668 m²
GST 3: ca. 645 m²
- Ruhige Wohnlage mit Entwicklungspotenzial
- Flexible Kaufoption: einzeln oder zusammen
- Attraktives Preis-Leistungs-Verhältnis
- Ideal für Bauträger
- z.T. bereits projektiert/ genehmigte Bauvoranfrage
Besonderheiten & Investitionspotenzial:
Dieses Angebot umfasst drei separate Grundstücke, die einzeln oder als ein großes zusammenhängendes Areal erworben werden können.
Somit bietet dieses Angebot eine attraktive Renditemöglichkeit für Investoren.
Drei attraktive Grundstücke mit einer Gesamtfläche von ca. 1.923 m² in einer ruhigen und naturnahen Lage bieten vielfältige Möglichkeiten für eine individuelle Bebauung. Wichtige Erschließungsmaßnahmen wie der Anschluss an das Stromnetz oder die Zuwegung sind gegeben. Die bebaubare Fläche mit einer Grundflächenzahl (GRZ) von 0,4 bietet ausreichend Platz für die Umsetzung verschiedenster Bauvorhaben, Auf dem Nachbargrundstück steht bereits ein Mehrfamilienhaus mit 3 Etagen. Zum Teil bereits projektiert mit genehmigter Bauvoranfrage für ein 10-Familienhaus.
Attraktives Investment : Großzügige Baugrundstücke in Sinntal - Altengronau
36391 Sinntal
Die vollständige Adresse der Immobilie erhalten Sie vom Anbieter.
Auf Karte anzeigen
Die vollständige Adresse der Immobilie erhalten Sie vom Anbieter.
Finanzierungszertifikat
In nur zwei Minuten zu Ihrem persönlichen Finanzierungszertifkat.
Infos
| Vermarktungsart | Kaufen |
|---|---|
| Grundstücksfläche | 587 m2 |
| Erschließung | Erschlossen |
| Grundflächenzahl (GRZ) | 0.4 |
| Bebaubar nach | wie Nachbarbebauung |
Kosten
| Miete pro Jahr |
64.570 € |
|---|---|
| Provision |
5 |
Finanzierungsrechner:
Kaufpreis:
600.000 €
Eigenkapital:
600.000 €
Monatliche Rate
0 €
Effektiver Jahreszins
0 %
Sollzinsbindung
10 Jahre
Beschreibung des Objekts
Lage
Die Grundstücke befinden sich in der Neuengronauer Straße in Sinntal, einer Gemeinde im Landkreis Main-Kinzig in Hessen. Hohe Lebensqualität durch direkten Zugang zu Wanderwegen, Feldern und Wäldern. Einkaufsmöglichkeiten, Schulen und öffentliche Verkehrsmittel sind in wenigen Minuten erreichbar.
Sonstige Angaben
Kaufpreis GST 1 (ca. 587 m²): € 64.570,-
Kaufpreis GST 2 (ca. 668 m²): € 73.480,-
Kaufpreis GST 3 (ca. 645 m²): € 70.950,-