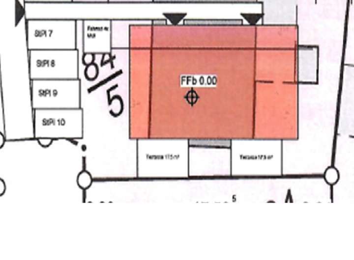
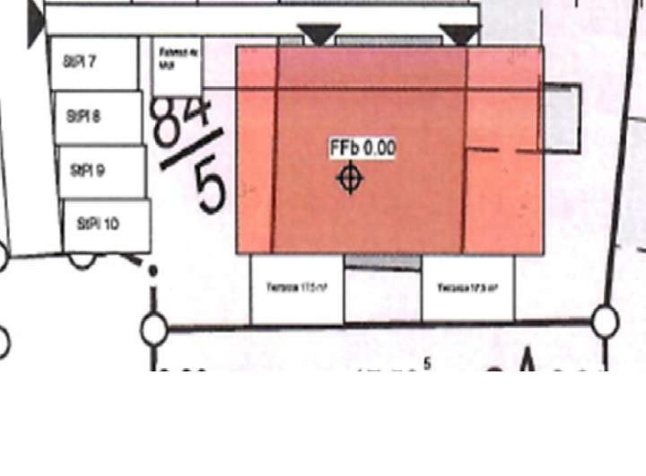
Zum Verkauf steht ein großzügiges Baugrundstück mit 1.093 m² Fläche in ruhiger und gut erreichbarer Lage von Altratjensdorf. Für das Grundstück liegen zwei getrennte Baugenehmigungen vor – eine für ein Doppelhaus (mit je 2 Einheiten) im hinteren Bereich und eine für ein Mehrfamilienhaus mit fünf Wohneinheiten im vorderen Grundstücksteil.
Das Grundstück bietet sich sowohl für Projektentwickler, Bauträger als auch Investoren an. Es besteht die Möglichkeit, beide Grundstücksteile separat oder als Gesamtpaket zu erwerben.
Planungsrechtliche Kennzahlen:
Grundstücksfläche gesamt: 1.093 m²
GRZ (Grundflächenzahl): 0,3 - max. 327,9 m² überbaubar
GFZ (Geschossflächenzahl): 0,6 - max. 655,8 m² Geschossfläche möglich
Bauweise: genehmigt für ein Mehrfamilienhaus (vorn) und ein Doppelhaus (hinten). Die Fläche für das Doppelhaus ist schon geräumt und fertig für die Bebauung.
Einzeln oder im Paket! Grundstück mit Planung - modular und optionsreich gedacht
23738 Riepsdorf
Die vollständige Adresse der Immobilie erhalten Sie vom Anbieter.
Auf Karte anzeigen
Die vollständige Adresse der Immobilie erhalten Sie vom Anbieter.
Finanzierungszertifikat
In nur zwei Minuten zu Ihrem persönlichen Finanzierungszertifkat.
Infos
| Vermarktungsart | Kaufen |
|---|---|
| Grundstücksfläche | 1.093 m2 |
| Erschließung | Erschlossen |
| Empfohlene Nutzung | Doppelhaus, Mehrfamilienhaus |
| Grundflächenzahl (GRZ) | 0.3 |
| Geschossflächenzahl (GFZ) | 0.6 |
| Verfügbar ab | nach Vereinbarung |
Kosten
| Miete pro Jahr |
400.000 € |
|---|---|
| Provision |
6,85% inkl. MwSt. |
Finanzierungsrechner:
Kaufpreis:
600.000 €
Eigenkapital:
600.000 €
Monatliche Rate
0 €
Effektiver Jahreszins
0 %
Sollzinsbindung
10 Jahre
Beschreibung des Objekts
Lage
Das Grundstück befindet sich in Altratjensdorf, einem ruhigen Ortsteil der Gemeinde Riepsdorf im Kreis Ostholstein, Schleswig-Holstein. Die Lage zeichnet sich durch eine naturnahe Umgebung und dörflichen Charme aus – ideal für Menschen, die die Ruhe des Landlebens suchen, ohne auf eine gute Erreichbarkeit verzichten zu müssen.
Nur wenige Kilometer entfernt liegen die beliebten Ostseebäder Grömitz, Kellenhusen und Dahme. Sie bieten feine Sandstrände, vielfältige Freizeitangebote und eine gut ausgebaute touristische Infrastruktur. Auch Naturliebhaber kommen auf ihre Kosten – Rad- und Wanderwege durch Felder, Wälder und die hügelige Ostholsteiner Landschaft beginnen praktisch vor der Haustür.
Tägliche Besorgungen lassen sich in den nahegelegenen Orten Lensahn (ca. 8 km) oder Oldenburg in Holstein (ca. 12 km) erledigen. Dort finden sich Supermärkte, Ärzte, Apotheken, Schulen und gastronomische Einrichtungen. Die Bundesstraße B501 sowie die Autobahn A1 sind schnell erreichbar und verbinden die Region effizient mit Lübeck und Hamburg.
Altratjensdorf vereint ländliche Idylle mit der Nähe zur Ostsee und bietet somit eine attraktive Lage für Erholungssuchende, Familien oder als Standort für ein Ferienhaus. Die Region ist ruhig, landschaftlich reizvoll und geprägt von einer entspannten Lebensart.
Sonstige Angaben
Kaufpreis & Optionen
Grundstück mit Baugenehmigung für das Doppelhaus (hinterer Teil): 250.000 €
Grundstück mit Baugenehmigung für das Mehrfamilienhaus (vorderer Teil): 250.000 €
Gesamtgrundstück im Paketpreis: 400.000 €
Gerne schauen sie auch unter:
https://schulze-immobilien.de/expose/7080/
https://schulze-immobilien.de/expose/7081/
Gerne senden wir Ihnen auf Wunsch die Baugenehmigungen mit detaillierten Auskünften zu.
Weitere Informationen erhalten Sie gerne per Telefon, per Mail oder im Rahmen einer persönlichen Besichtigung.