Ihr neues Zuhause im schönen Vehlefanz!
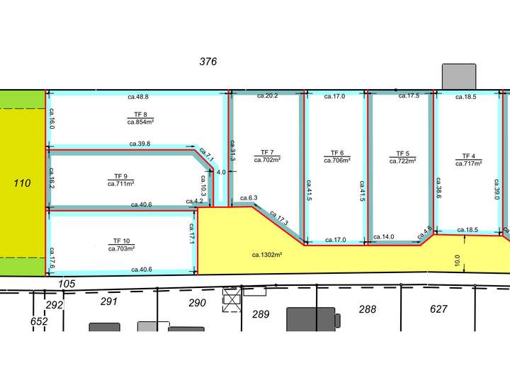
Wir bieten Ihnen ein gut geschnittenes Baugrundstück zum Kauf an. Der Preis für die derzeit im Bau befindliche Zufahrt ist bereits im Kaufpreis enthalten. Die notwendige Erschließung liegt in der Straße vor den Baugrundstücken an.
Bebaubar sind die die Grundstücke gemäß dem Bebauungsplan Nr. 76/2021 der Gemeinde Oberkrämer. Möglich sind Bungalows, klassische Einfamilienhäuser und Stadtvillen.
Weitere Informationen zu den Grundstücken finden Sie auf der dazugehörigen Projektwebseite unter:
https://www.grundstueck-kaufen-vehlefanz.de
NOCH 1 BAUGRUNDSTÜCKE VERFÜGBAR! - IHR NEUES ZUHAUSE IN VEHLEFANZ!
Bärenklauer Str. 137,
16727 Oberkrämer
Auf Karte anzeigen
Finanzierungszertifikat
In nur zwei Minuten zu Ihrem persönlichen Finanzierungszertifkat.
Infos
| Vermarktungsart | Kaufen |
|---|---|
| Grundstücksfläche | 702 m2 |
| Empfohlene Nutzung | Einfamilienhaus |
| Grundflächenzahl (GRZ) | 0.25 |
| Bebaubar nach | Bebauungsplan |
| Verfügbar ab | Sofort |
Kosten
| Miete pro Jahr |
179.000 € |
|---|---|
| Provision | Nein |
Finanzierungsrechner:
Kaufpreis:
600.000 €
Eigenkapital:
600.000 €
Monatliche Rate
0 €
Effektiver Jahreszins
0 %
Sollzinsbindung
10 Jahre
Beschreibung des Objekts
Lage
Vehlefanz ist ein Ortsteil der Gemeinde Oberkrämer in Landkreis Oberhavel, zwischen den Landkreisen Havelland und Barnim gelegen. Hier wohnen Sie gleichzeitig auf dem Lande und berlinnah. Vehlefanz liegt im Ländchen Glien nahe des Krämer Waldes sowie des Rhiner Luchs. Am westlichen Ende wird Vehlefanz durch den Mühlensee begrenzt. Die Gemeinde Oberkrämer grenzt an die Gemeinde Schönwalde-Glien, sowie an die Städte Hennigsdorf, Oranienburg, Velten und Kremmen.
In den vergangenen Jahren hat sich Vehlefanz nicht zuletzt durch Zuzug stark weiterentwickelt und bietet heute alles, was seine Einwohner für das tägliche Leben benötigen. Im Zentrum von Vehlefanz befinden sich ein Edeka-Markt sowie ein Netto-Discounter, es gibt eine Tankstelle, die Kita "Krämer Kids" sowie die Nashorn-Grundschule. Ärzte finden sich ebenfalls direkt im Ort.
Lokale Sehenswürdigkeiten sind insbesondere die historische Bockwindmühle sowie die Natur rund um den Mühlensee.
Wir freuen uns auf Ihre Anfrage!
Sonstige Angaben
Weitere Informationen:
https://www.grundstueck-kaufen-vehlefanz.de
Weitere Dokumente
Oberkrämer BP 76-2021Oberkrämer BP 76-2021