Das traumhafte Grundstück besticht durch seinen einzigartigen Weitblick über Wiesen und Felder. Die Süd-Westlage gewährleistet eine optimale Platzierung eines Neubaus. Da für den Bereich kein Bebauungsplan existiert, erfolgt eine Bebauung nach § 34BauGB (Nachbarschaftsbebauung), was grundsätzlich einem Käufer mehr Freiheiten bei der Planung und Gestaltung eines Neubaus ermöglicht. Weiterhin ist die Errichtung eines Carports oder einer Garage zulässig. Das Grundstück ist erschlossen. Leitungen für Abwasser, Wasser, Strom und Gas sind in der angrenzenden Straße vorhanden. Weitere, konkrete baurechtliche Fragen sind mit dem Bauamt in Winsen und Jesteburg abzustimmen. Eine mögliche Grundstücksaufbereitung sowie die Beantragung einer neuen Zufahrt ist Sache des Käufers. Gern zeigen wir Ihnen dieses außergewöhnliche Grundstück und erläutern wir Ihnen hierzu weitere Details in einem ersten persönlichen Gespräch.
Der Sonne entgegen! Süd-Westlage mit traumhaften Weitblick ins Grüne
21266 Jesteburg
Die vollständige Adresse der Immobilie erhalten Sie vom Anbieter.
Auf Karte anzeigen
Die vollständige Adresse der Immobilie erhalten Sie vom Anbieter.
Finanzierungszertifikat
In nur zwei Minuten zu Ihrem persönlichen Finanzierungszertifkat.
Infos
| Vermarktungsart | Kaufen |
|---|---|
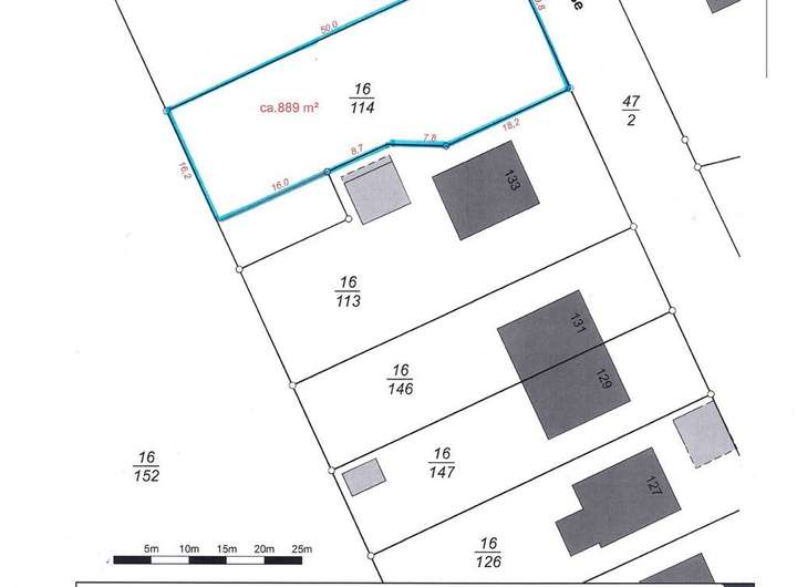
| Grundstücksfläche | 890 m2 |
| Erschließung | Erschlossen |
| Verfügbar ab | ab sofort |
Kosten
| Miete pro Jahr |
279.000 € |
|---|---|
| Provision |
6% inkl. MwSt. |
Finanzierungsrechner:
Kaufpreis:
600.000 €
Eigenkapital:
600.000 €
Monatliche Rate
0 €
Effektiver Jahreszins
0 %
Sollzinsbindung
10 Jahre
Beschreibung des Objekts
Lage
Das rechteckig geschnittene Grundstück ist zwischen Jesteburg und Itzenbüttel gelegen. Die Nachbarschaft ist geprägt von gepflegten und größeren Einfamilien-, Zweifamilien- und Doppelhäusern aus unterschiedlichen Baujahren. Die direkt angrenzenden Wald- und Landschaftsflächen laden zu ausführlichen Spaziergängen und Freizeitaktivitäten ein. Der Jesteburger Ortskern ist ca. 1,5 Kilometer entfernt. Seit Sommer 2014 gibt es in Jesteburg auch eine Oberschule mit gymnasialem Angebot. Sehr gute Einkaufsmöglichkeiten, Ärzte Banken und Apotheken befinden sich in der Nähe. Darüber hinaus erfreut sich Jesteburg und die nähere Umgebung an einem vielfältigen gastronomischen Angebot. Auch das Freizeitangebot ist als hervorragend zu bezeichnen. Der VfL Jesteburg bietet viele Sparten für Sportaktivitäten an. Das Reitzentrum, sowie das moderne „Jesteburger Schwimmbad“ sind sehr beliebt. Für die Liebhaber des Golfsports befinden sich 3 Plätze im Umkreis von ca. 10 km. Ideal sind die Verkehrsanbindungen, die Autobahnen A 7 und A 1 in schneller Erreichbarkeit, der Bahnanschluss im nahegelegenen Buchholz sowie die Busverbindungen nach Hamburg-Harburg und Winsen.
Grundriss
Lageplan
>
>