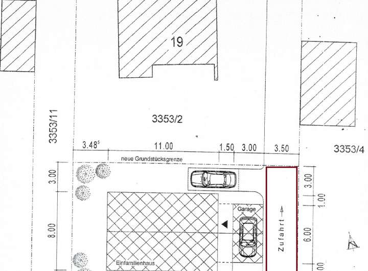
Zum Verkauf steht ein 380 m² großes Baugrundstück mit bereits genehmigtem Bauvorbescheid für ein Einfamilienhaus.
Die geplanten Maße betragen 8,0 x 11,0 Meter, mit zwei Vollgeschossen und einer Wandhöhe von 5,90 m. Zudem sind eine Garage und ein Außenstellplatz vorgesehen (siehe Plan).
Ein großer Vorteil dieses Grundstücks ist der genehmigte Bauvorbescheid, der Ihnen ermöglicht, zeitnah mit dem Bau zu beginnen.
Preis und Wert des Grundstücks
Der aktuelle Bodenrichtwert liegt bei 380.000,00 Euro. Vergleichbare Grundstücke mit dieser Größe werden üblicherweise 20 bis 30 % über dem Bodenrichtwert verkauft.
Aufgrund eines eingetragenen Geh-, Fahr- und Leitungsrechts zugunsten des Nachbargrundstücks (Flur-Nr. 3353/2) reduzieren wir den Verkaufspreis auf 365.000,00 Euro.
👉 Kaufpreis: 365.000,00 Euro
👉 zzgl. 4,76 % Käuferprovision vom Grundstückspreis
Flexible Nutzungsmöglichkeiten
Aktuell bieten wir das Grundstück sowohl ohne als auch mit einem hochwertigen Einfamilienhaus der Baufirma Bavaria-Hauskonzept aus Passau und Regensburg an.
Sie können das Grundstück also jetzt erwerben und den Bau flexibel planen.
Besichtigung und Kontakt
Für die Vereinbarung eines Besichtigungstermins bitten wir Sie um die Angabe Ihrer vollständigen Adresse sowie Ihrer Telefonnummer.
📌 Bitte beachten: Alle Maßangaben sind ca.-Angaben. Sämtliche Informationen beruhen auf den Angaben des Eigentümers – wir übernehmen hierfür keine Haftung.
Irrtümer und Zwischenverkauf bleiben vorbehalten.
📞 Wir freuen uns auf Ihre Anfrage! Sie erreichen uns Montag bis Samstag von 08:30 bis 20:30 Uhr.
PS: Kostenlose Immobilienbewertung & Verkauf
Möchten Sie den Wert Ihrer Immobilie erfahren? Wir bieten Ihnen eine professionelle und individuelle Marktwertermittlung für Ihr Haus oder Ihre Wohnung.
Wenn Sie eine Immobilie verkaufen möchten, sind wir Ihr kompetenter Ansprechpartner!
Baugrundstück mit Baugenehmigung für ein Einfamilienhaus in Bruckmühl.
Lerchen Straße 19,
83052 Bruckmühl
Auf Karte anzeigen
Finanzierungszertifikat
In nur zwei Minuten zu Ihrem persönlichen Finanzierungszertifkat.
Infos
| Vermarktungsart | Kaufen |
|---|---|
| Grundstücksfläche | 380 m2 |
| Erschließung | Erschlossen |
| Empfohlene Nutzung | Einfamilienhaus |
| Grundflächenzahl (GRZ) | 0.53 |
| Verfügbar ab | sofort |
Kosten
| Miete pro Jahr |
365.000 € |
|---|---|
| Provision |
4,76% Käuferprovision inkl. MwSt. |
Finanzierungsrechner:
Kaufpreis:
600.000 €
Eigenkapital:
600.000 €
Monatliche Rate
0 €
Effektiver Jahreszins
0 %
Sollzinsbindung
10 Jahre
Beschreibung des Objekts
Lage
Lage:
Die Lerchenstraße 19 befindet sich in 83052 Bruckmühl, einer Marktgemeinde im oberbayerischen Landkreis Rosenheim. Bruckmühl liegt malerisch im Mangfalltal, etwa 16 Kilometer westlich von Rosenheim.
Die Lerchenstraße ist eine ruhige Wohnstraße, die von Einfamilienhäusern und kleinen Mehrfamilienhäusern geprägt ist. In der näheren Umgebung finden Sie verschiedene Einrichtungen des täglichen Bedarfs, darunter Einkaufsmöglichkeiten, Schulen und Ärzte. Die Verkehrsanbindung ist günstig: Über die nahegelegene Bundesstraße B304 erreichen Sie sowohl Rosenheim als auch München in kurzer Zeit.
Für Freizeitaktivitäten bietet Bruckmühl zahlreiche Möglichkeiten. Die umliegende Natur lädt zu Spaziergängen und Radtouren ein, und die Nähe zu den Alpen eröffnet weitere Freizeit- und Erholungsmöglichkeiten.
Insgesamt zeichnet sich die Lage durch eine harmonische Kombination aus naturnahem Wohnen und guter Infrastruktur aus.