Wohnen im Jestetter Zipfel:
Entdecken Sie Ihr neues Zuhause am malerischen Rand von Jestetten! Dieses außergewöhnliche Grundstück bietet Ihnen eine großzügige Fläche von ca. 692 m² und ist die ideale Grundlage für Ihr Traumdomizil. Eingebettet in eine ruhige Wohngegend, ermöglicht es Ihnen, das perfekte Zuhause für Ihre Familie zu gestalten und individuelle Wohnträume zu verwirklichen. Genießen Sie die charmante Umgebung von Jestetten mit ihrer hervorragenden Infrastruktur und der unmittelbaren Nähe zur Natur.
Die Vermarktung und die Verfügbarkeit des Grundstücks ist flexibel „nach Vereinbarung“ zu gestalten. Ob Sie ein erfahrener Bauherr oder auf der Suche nach einem soliden Investment sind – dieses Grundstück erfüllt all Ihre Anforderungen nach Nachbarbebauung § 34 BauGB.
Nutzen Sie die Gelegenheit, ein Stück dieser begehrten Region Ihr Eigen zu nennen und gestalten Sie Ihr persönliches Paradies. Lassen Sie sich diese Chance nicht entgehen und nehmen mit uns Kontakt auf!
Jestetten verfügt über eine ausgezeichnete Infrastruktur, die alles bietet, was man sich wünscht. Hier finden Sie erstklassige Einkaufsmöglichkeiten, von Fachgeschäften bis zu Supermärkten. Ebenso sind Ärzte, Banken, vielfältige Schulen, Sportvereine und Kindergärten in der Nähe, um sämtliche Bedürfnisse zu erfüllen.
Beim Bauen auf diesem Hanggrundstück ist es empfehlenswert, das Haus teilweise ins abfallende Gelände zu integrieren. Dafür muss ein Teil des Hanges abgetragen werden. Die Außenwände im Erdreich profitieren von der gleichmäßigen Bodentemperatur und sind dadurch natürlicherweise gut gedämmt. Das Grundstück verfügt über eine eigene Quelle.
Wir freuen uns von Ihnen zu hören!
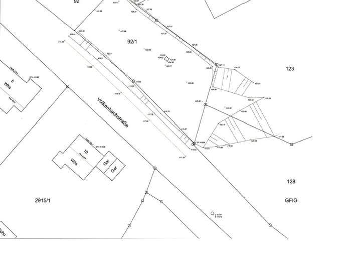
Jestetten - Baugrundstück in Südhanglage
79798 Jestetten
Die vollständige Adresse der Immobilie erhalten Sie vom Anbieter.
Auf Karte anzeigen
Die vollständige Adresse der Immobilie erhalten Sie vom Anbieter.
Finanzierungszertifikat
In nur zwei Minuten zu Ihrem persönlichen Finanzierungszertifkat.
Infos
| Vermarktungsart | Kaufen |
|---|---|
| Grundstücksfläche | 692 m2 |
| Erschließung | Erschlossen |
| Bebaubar nach | wie Nachbarbebauung |
| Verfügbar ab | nach Vereinbarung! |
Kosten
| Miete pro Jahr |
169.540 € |
|---|---|
| Provision |
3,57 % inkl. MwSt., wir sind auch für den Verkäufer provisionspflichtig tätig. |
Finanzierungsrechner:
Kaufpreis:
600.000 €
Eigenkapital:
600.000 €
Monatliche Rate
0 €
Effektiver Jahreszins
0 %
Sollzinsbindung
10 Jahre
Beschreibung des Objekts
Lage
Das angebotene Grundstück befindet sich in Jestetten, einer charmanten Gemeinde im Süden Deutschlands, in unmittelbarer Nähe zur Schweizer Grenze. Diese einladende Wohnlage bietet eine perfekte Kombination aus idyllischer Ruhe und strategischer Anbindung, ideal für alle, die das harmonische Leben im Grünen schätzen, ohne auf städtische Annehmlichkeiten verzichten zu wollen.
Jestetten ist bekannt für seine malerische Umgebung und eine hohe Lebensqualität. Die Region bietet zahlreiche Freizeitmöglichkeiten, sei es Wandern, Radfahren oder entspannende Spaziergänge entlang des Rheins. Die Nähe zur pulsierenden Metropole Zürich und zum Bodensee eröffnet zudem vielfältige kulturelle und wirtschaftliche Perspektiven.
Einkaufsmöglichkeiten, Schulen und medizinische Einrichtungen sind leicht erreichbar und bieten alle notwendigen Annehmlichkeiten für den täglichen Bedarf. Die hervorragende Verkehrsanbindung über die B27 und die benachbarte S-Bahn-Linie gewährleistet eine schnelle Verbindung zu den umliegenden Städten und Gemeinden.
In Jestetten vereinen sich die Vorzüge eines ruhigen Wohnortes mit der Dynamik einer grenznahen Region, was dieses Grundstück zu einem attraktiven Angebot für Familien, Berufspendler und Investoren gleichermaßen macht.
https://www.jestetten.de/leben-wohnen/informationsbroschuere
https://player.vimeo.com/video/768047233
https://jestetterzipfel.de/
Sonstige Angaben
Widerrufsrecht:
Sie können Ihre Vertragserklärung innerhalb von 14 Tagen ohne Angabe von Gründen in Textform (z.B. Brief, Fax, E-Mail) widerrufen.
Die Frist beginnt nach Erhalt dieser Belehrung in Textform, jedoch nicht vor Vertragsabschluss und auch nicht vor Erfüllung unserer
Informationspflichten gem. Art. 246 § 2 in Verbindung mit § 1 Abs. 1 und 2 EGBGB. Zur Wahrung der Widerrufsfrist genügt die rechtzeitige Absendung des Widerrufs.
Der Widerruf ist zu richten an:
Volksbank Immobilien eG, Hauptstraße 78, 79761 Waldshut-Tiengen, Tel. 07741-80 96 99 - 0
E-Mail info@voba-immo.net
Widerrufsfolgen:
Im Falle eines wirksamen Widerrufs sind die beiderseits empfangener Leistungen zurückzugewähren und ggf. gezogene Nutzungen (z.B. Zinsen) herauszugeben. Können Sie uns die empfangene Leistung sowie Nutzungen (z.B. Gebrauchsvorteile) nicht oder teilweise nicht oder nur in verschlechtertem Zustand zurückgewähren bzw. herausgeben, müssen Sie uns insoweit Wertersatz leisten. Dies kann dazu führen, dass Sie die vertraglichen Zahlungsverpflichtungen für den Zeitraum bis zum Widerruf gleichwohl erfüllen müssen.
Verpflichtungen zur Erstattung von Zahlungen müssen innerhalb von 30 Tagen erfüllt werden. Die Frist beginnt für Sie mir der Absendung Ihrer Widerrufserklärung, für uns mit deren Empfang.
Besondere Hinweise:
Das Widerrufsrecht erlischt vorzeitig, wenn der Vertrag von beiden Seiten auf Ihren
ausdrücklichen Wunsch vollständig erfüllt ist, bevor Sie Ihr Widerrufsrecht ausgeübt haben.
Ende der Widerrufsbelehrung.
Sonstiges
Bitte beachten Sie, dass alle Angaben ohne Gewähr sind und ausschließlich auf Informationen basieren, die uns von unserem Auftraggeber übermittelt wurden. Wir übernehmen keine Gewähr für die Vollständigkeit und Richtigkeit dieser Angaben. Zwischenverkauf bleibt vorbehalten. Für die Rechtsbeziehung zwischen Ihnen und der Volksbank Immobilien eG, Hauptstraße 78, 79761 Waldshut-Tiengen gelten die allgemeinen Geschäftsbedingungen.