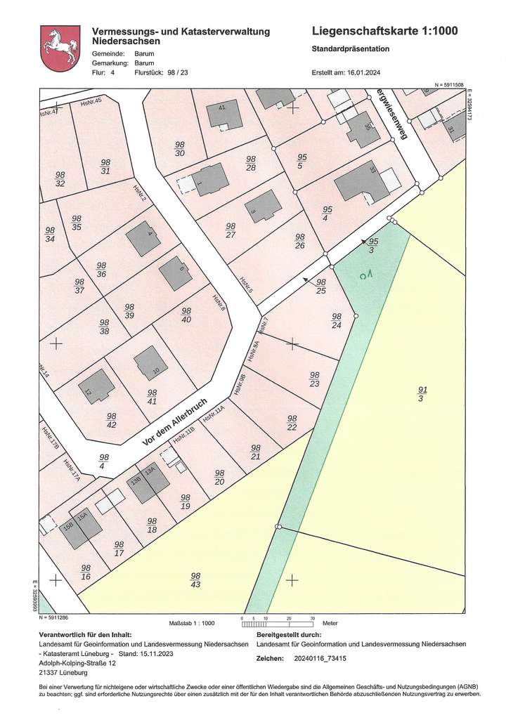
Das angebotene Grundstück besteht aus den Flurstücken 98/22 (693 m²) und 98/23 (702 m²) der Flur 4 in der Gemarkung Barum und ist eine der letzten Gelegenheiten ein Grundstück in dem kleinen Neubaugebiet zu erwerben, das bereits nahezu vollständig bebaut ist.
Den Flurstücken sind die postalischen Adressen "Vor dem Allerbruch 9a und 9b in 21357 Barum" zugewiesen worden.
Das Grundstück ist mit einem Doppelhaus mit einem Vollgeschoss bebaubar.
Der gültige Bebauungsplan für das Grundstück ist der Bebauungsplan Nr. 6 "Rethwinkelweg" der Gemeinde Barum im Landkreis Lüneburg.
Der Bebauungsplan mit seinen textlichen Festsetzungen liegt vor und kann gerne als PDF-Dokument zur Verfügung gestellt werden.
Provisionsfrei: Nutzen Sie das KfW-Förderprogramm 300 "Wohneigentum für Familien"
21357 Barum
Die vollständige Adresse der Immobilie erhalten Sie vom Anbieter.
Auf Karte anzeigen
Die vollständige Adresse der Immobilie erhalten Sie vom Anbieter.
Finanzierungszertifikat
In nur zwei Minuten zu Ihrem persönlichen Finanzierungszertifkat.
Infos
| Vermarktungsart | Kaufen |
|---|---|
| Grundstücksfläche | 1.395 m2 |
| Grundflächenzahl (GRZ) | 0.25 |
Kosten
| Miete pro Jahr |
285.000 € |
|---|---|
| Provision |
provisionsfrei |
Finanzierungsrechner:
Kaufpreis:
600.000 €
Eigenkapital:
600.000 €
Monatliche Rate
0 €
Effektiver Jahreszins
0 %
Sollzinsbindung
10 Jahre
Beschreibung des Objekts
Lage
_in Barum in der Samtgemeinde Bardowick
_das Grundstück liegt am südlichen Ortsrand von Barum
_gute Versorgungmöglichkeiten in Barum, Bardowick und Lüneburg: dort sind Einkaufsmöglichkeiten, Kindergärten, Schulen, Ärzte, Restaurants, Reitsportmöglichkeiten, Sportvereine und kulturelle Einrichtungen vorhanden
_der Barumer See ist ca. 700 m, der Tennisclub Barum ca. 400 m entfernt
_in der Nähe des bekannten Golfclubs St. Dionys
_Barum hat sowohl eine Kindertagesstätte als auch eine Grundschule
_die Elbe ist in ca. 10 Minuten mit dem Pkw zu erreichen
_bis zur Autobahn 39 nach Hamburg sind es ca. 10 Autominuten, die Fahrt mit dem PKW nach Hamburg dauert ca. 45 Minuten
_die Entfernung zum historischen Stadtzentrum von Lüneburg beträgt ca. 13 Kilometer (Fahrzeit mit der Buslinie 5405: ca. 30 Minuten)
_Lüneburg ist durch die Metronom Eisenbahngesellschaft in das Verkehrsnetz des Hamburger Verkehrsverbundes (HVV) eingebunden und ICE-Fernbahnhof
Grundriss
Liegenschaftskarte
>
>
Der Bebauungsplan kann im Groß
>
>