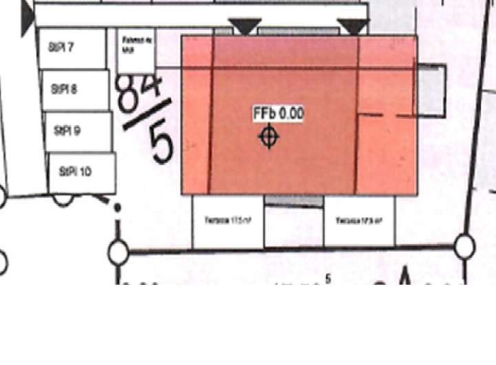
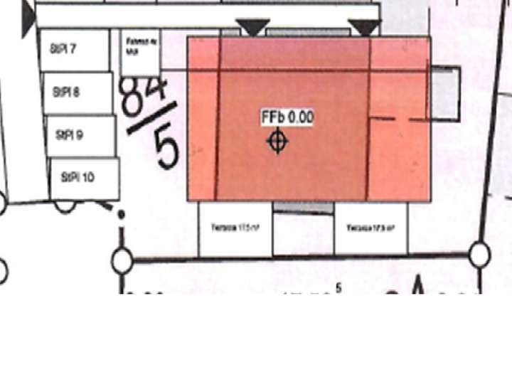
Hinterer Grundstücksteil – Doppelhaus (4 Einheiten)
Zwei Doppelhaushälften mit je zwei Wohnungen. Ideal für Familien, Vermietung oder als Verkaufseinheiten.
Wohnungsübersicht:
WE 1 (EG links) – 67,26 m² – 2 Zimmer – Terrasse – Garten – Stellplatz
WE 2 (OG links) – 71,36 m² – 2 Zimmer – Balkon – Stellplatz
WE 3 (EG rechts) – 67,26 m² – 2 Zimmer – Terrasse – Garten – Stellplatz
WE 4 (OG rechts) – 71,36 m² – 2 Zimmer – Balkon – Stellplatz
Gesamtwohnfläche: 277,24 m²
Ausstattung & Potenzial
Bebauung sofort möglich – beide Baugenehmigungen liegen vor
Jede Wohneinheit mit eigenem Außenbereich (Terrasse, Balkon oder Garten)
1 Stellplatz pro Wohnung vorgesehen
Ruhige Lage mit hoher Lebensqualität
Gute Vermietbarkeit oder Einzelverkäufe möglich
Erschließung vorhanden
Ideal zur Kombination von Kapitalanlage und Eigenbedarf
Die beiden Grundstücke sind bereits getrennt beplant und können somit auch einzeln erworben und sofort bebaut werden.
Grundstück mit Planung eines Doppelhauses! Ideale Investition und/oder Selbstnutz in Altratjensdor
23738 Riepsdorf
Die vollständige Adresse der Immobilie erhalten Sie vom Anbieter.
Auf Karte anzeigen
Die vollständige Adresse der Immobilie erhalten Sie vom Anbieter.
Finanzierungszertifikat
In nur zwei Minuten zu Ihrem persönlichen Finanzierungszertifkat.
Infos
| Vermarktungsart | Kaufen |
|---|---|
| Grundstücksfläche | 550 m2 |
| Erschließung | Erschlossen |
| Empfohlene Nutzung | Doppelhaus |
| Grundflächenzahl (GRZ) | 0.3 |
| Geschossflächenzahl (GFZ) | 0.6 |
| Verfügbar ab | nach Vereinbarung |
Kosten
| Miete pro Jahr |
250.000 € |
|---|---|
| Provision |
6,85% inkl. MwSt. |
Finanzierungsrechner:
Kaufpreis:
600.000 €
Eigenkapital:
600.000 €
Monatliche Rate
0 €
Effektiver Jahreszins
0 %
Sollzinsbindung
10 Jahre
Beschreibung des Objekts
Lage
Das Grundstück befindet sich in Altratjensdorf, einem ruhigen Ortsteil der Gemeinde Riepsdorf im Kreis Ostholstein, Schleswig-Holstein. Die Lage zeichnet sich durch eine naturnahe Umgebung und dörflichen Charme aus – ideal für Menschen, die die Ruhe des Landlebens suchen, ohne auf eine gute Erreichbarkeit verzichten zu müssen.
Nur wenige Kilometer entfernt liegen die beliebten Ostseebäder Grömitz, Kellenhusen und Dahme. Sie bieten feine Sandstrände, vielfältige Freizeitangebote und eine gut ausgebaute touristische Infrastruktur. Auch Naturliebhaber kommen auf ihre Kosten – Rad- und Wanderwege durch Felder, Wälder und die hügelige Ostholsteiner Landschaft beginnen praktisch vor der Haustür.
Tägliche Besorgungen lassen sich in den nahegelegenen Orten Lensahn (ca. 8 km) oder Oldenburg in Holstein (ca. 12 km) erledigen. Dort finden sich Supermärkte, Ärzte, Apotheken, Schulen und gastronomische Einrichtungen. Die Bundesstraße B501 sowie die Autobahn A1 sind schnell erreichbar und verbinden die Region effizient mit Lübeck und Hamburg.
Altratjensdorf vereint ländliche Idylle mit der Nähe zur Ostsee und bietet somit eine attraktive Lage für Erholungssuchende, Familien oder als Standort für ein Ferienhaus. Die Region ist ruhig, landschaftlich reizvoll und geprägt von einer entspannten Lebensart.
Sonstige Angaben
Kaufpreis & Optionen
Grundstück mit Baugenehmigung für das Doppelhaus (hinterer Teil): 250.000 €
Gesamtgrundstück im Paketpreis: 400.000 €
Gerne schauen sie auch unter:
https://schulze-immobilien.de/expose/7072/
https://schulze-immobilien.de/expose/7081/
Gerne senden wir Ihnen auf Wunsch die Baugenehmigungen mit detaillierten Auskünften zu.
Auch kann das Grundstück in Kooperation mit dem Verkäufer bebaut werden
Weitere Informationen erhalten Sie gerne per Telefon, per Mail oder im Rahmen einer persönlichen Besichtigung.