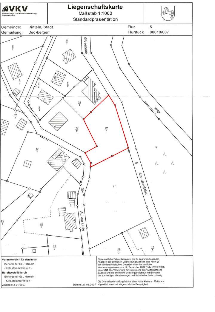
Inmitten des malerischen Weserberglands erwartet Sie eine Einmalige Gelegenheit: Ein attraktives Grundstück in Rinteln-Deckbergen, ideal für die Realisierung Ihres Traumhauses. Das Baugrundstück befindet sich in ruhiger Lage in 31737 Rinteln-Deckbergen.
Das Grundstück bietet auf seiner großzügigen Fläche die perfekte Grundlage für die Bebauung mit einem Einfamilienhaus. Die Hanglage ermöglicht eine einzigartige Architektur mit spektakulärem Ausblick und ist gleichzeitig von unberührter Natur umgeben. Die Lage überzeugt durch ihre hervorragende Anbindung und gleichzeitige Nähe zur Natur. Das Grundstück wird im Westen durch die Straße 'Auf der Bulte' und im Osten durch die Straße 'Am Giesebrink' begrenzt und grenzt dort direkt an den Wald, der als Landschaftsschutzgebiet ausgewiesen ist und somit eine besonders ruhige und naturnahe Umgebung garantiert. Das Grundstück ist mindestens teilerschlossen und steht kurzfristig zur Bebauung zur Verfügung.
Deckbergen ist eine beliebte Wohngegend mit einem charmanten, dörflichen Charakter und doch nur wenige Fahrminuten vom Stadtzentrum Rintelns entfernt. Hier finden Sie eine ausgezeichnete Infrastruktur mit Einkaufsmöglichkeiten, Schulen, Kindergärten und Freizeiteinrichtungen. Die Umgebung lädt zu ausgedehnten Spaziergängen und Fahrradtouren in der Natur ein und bietet eine hohe Lebensqualität für Familien, Paare und Ruhesuchende. Dank der idealen Anbindung sind Städte wie Hannover, Minden, Porta Westfalica oder Bad Oeynhausen in 20 bis 40 Minuten zu erreichen.
Eckdaten auf einen Blick:
- Adresse: Am Giesebrink, 31737 Rinteln-Deckbergen
- Grundstücksgröße: 1587 m²
- Bebauung: Geeignet für ein Einfamilienhaus mit großem Garten
- Besonderheiten: Hanglage, direkt Angrenzend an ein
Landschaftsschutzgebiet
Zustand: Teilerschlossen, kurzfristig bebaubar
Baugrundstück in idyllischer Hanglage mit Weitblick in Rinteln-Deckbergen
31737 Rinteln
Die vollständige Adresse der Immobilie erhalten Sie vom Anbieter.
Auf Karte anzeigen
Die vollständige Adresse der Immobilie erhalten Sie vom Anbieter.
Finanzierungszertifikat
In nur zwei Minuten zu Ihrem persönlichen Finanzierungszertifkat.
Infos
| Vermarktungsart | Kaufen |
|---|---|
| Grundstücksfläche | 1.587 m2 |
| Erschließung | Teilerschlossen |
| Empfohlene Nutzung | Einfamilienhaus |
| Grundflächenzahl (GRZ) | 0.4 |
| Geschossflächenzahl (GFZ) | 0.7 |
| Bebaubar nach | Bebauungsplan |
| Verfügbar ab | 17.8.2025 |
Kosten
| Miete pro Jahr |
92.500 € |
|---|---|
| Provision | Nein |
Finanzierungsrechner:
Kaufpreis:
600.000 €
Eigenkapital:
600.000 €
Monatliche Rate
0 €
Effektiver Jahreszins
0 %
Sollzinsbindung
10 Jahre
Beschreibung des Objekts
Sonstige Angaben
Nutzen Sie diese seltene Gelegenheit und gestalten Sie Ihr persönliches Zuhause in einer der schönsten Regionen Niedersachsens.
Grundriss
Liegenschaftskarte
>
>
Bebaubare Fläche
>
>