Zum Hauptinhalt springen
1/8
2/8
3/8
4/8
5/8
6/8
7/8
8/8

RENTABLES BAUGRUNDSTÜCK IN LICHTENWEG

Lichtenweg 11, 84424 Isen
Auf Karte anzeigen
Logo ImmoScout24 Logo ImmoScout24
PDF Finanzierungszertifikat

Finanzierungszertifikat

In nur zwei Minuten zu Ihrem persönlichen Finanzierungszertifkat.

  • Zur Vorlage beim Makler oder Verkäufer
  • Vorteile gegenüber anderen Kaufinteressenten
  • Kostenlos und unverbindlich
Finanzierungszertifikat anfragen

Infos

Vermarktungsart Kaufen
Grundstücksfläche 1.072 m2
Erschließung Erschlossen
Grundflächenzahl (GRZ) 0.47
Geschossflächenzahl (GFZ) 0.58
Verfügbar ab sofort

Kosten

Miete pro Jahr 746.000 €
Provision 2,38 % vom Kaufpreis inkl. 19% MwSt.

Finanzierungsrechner:

Kaufpreis: 600.000 €

Eigenkapital: 600.000 €
Monatliche Rate 0 €
Effektiver Jahreszins 0 %
Sollzinsbindung 10 Jahre

Beschreibung des Objekts

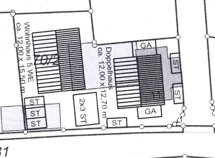
                Das Grundstück ist wie folgt bebaubar
-Neubau Mehrfamilienhaus im 5   Wohneinheiten 
-Neubau von 2 Doppelhaushälften
Genehmigter Vorbescheid lieg für das Bauvorhaben vor
            

Lage

                Lichtenweg ist ein Gemeindeteil des Marktes Isen im oberbayerischen Landkreis Erding
https://www.markt-isen.de/
Autobahnanbindung A 94 in 10 Minuten erreichbar
                

Adresse

Lichtenweg 11, 84424 Isen

Interessante Orte

Bäckereien
Schulen
Ärzte

Ansprechpartner