Suchen Sie nach dem perfekten Ort, um Ihr Traumhaus zu bauen? Dann ist dieses einzigartige Grundstück in Nümbrecht-Niederbröl genau das Richtige für Sie!
Dieses sonnenverwöhnte Fleckchen Erde besticht durch seine idyllische Hanglage und bietet einen unverbaubaren Blick über die malerische Landschaft. Mit einer Größe von 2.242m² haben Sie alle Freiheiten, Ihre individuellen Wohnideen zu verwirklichen.
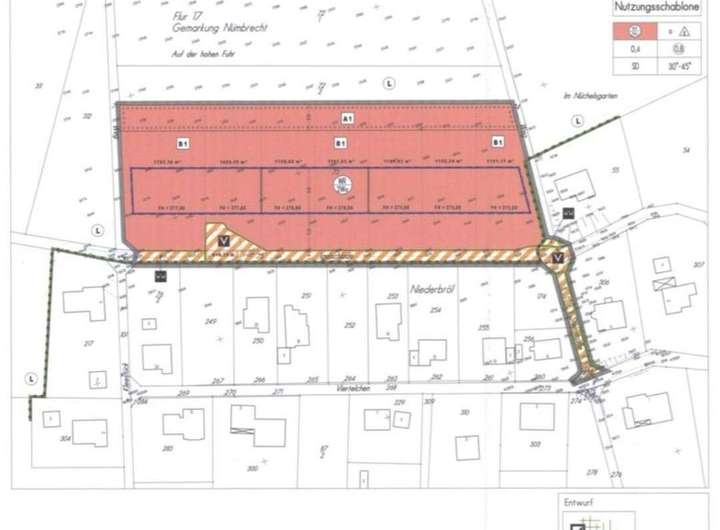
Die Bebauung ist dank des Bebauungsplans unkompliziert möglich. Ein Neubau kann in Anlehnung an die bereits vorhandene Nachbarbebauung mittels eines Baufreistellungsverfahrens realisiert werden. Zudem wurden bereits einige Erdarbeiten vorgenommen: Der Untergrund für eine Bodenplatte ist bereits vorbereitet und der Hang begradigt, was Ihnen einen reibungslosen Start in Ihr Bauprojekt ermöglicht.
Trotz der ruhigen Lage am Rande eines Naturschutzgebietes profitieren Sie von einer guten Anbindung an die Autobahn. Dies macht das Grundstück zum idealen Rückzugsort, der gleichzeitig gut erreichbar ist.
Als eines der letzten verfügbaren Grundstücke in dieser begehrten Lage bietet sich Ihnen die einmalige Gelegenheit, Ihr ganz persönliches Paradies zu schaffen. Nutzen Sie diese Chance und verwirklichen Sie auf diesem wunderschönen Grundstück Ihren Wohntraum!
Großes Grundstück mit grandiosen Möglichkeiten
51588 Nümbrecht
Die vollständige Adresse der Immobilie erhalten Sie vom Anbieter.
Auf Karte anzeigen
Die vollständige Adresse der Immobilie erhalten Sie vom Anbieter.
Finanzierungszertifikat
In nur zwei Minuten zu Ihrem persönlichen Finanzierungszertifkat.
Infos
| Vermarktungsart | Kaufen |
|---|---|
| Grundstücksfläche | 2.242 m2 |
| Erschließung | Erschlossen |
| Empfohlene Nutzung | Einfamilienhaus, Mehrfamilienhaus |
| Bebaubar nach | Bebauungsplan |
Kosten
| Miete pro Jahr |
305.000 € |
|---|---|
| Provision |
12.280,80 |
Finanzierungsrechner:
Kaufpreis:
600.000 €
Eigenkapital:
600.000 €
Monatliche Rate
0 €
Effektiver Jahreszins
0 %
Sollzinsbindung
10 Jahre
Beschreibung des Objekts
Lage
Nümbrecht-Niederbröl ist ein Ortsteil der Gemeinde Nümbrecht im Bergischen Land in Nordrhein-Westfalen. Der Ort liegt auf halber Strecke zwischen Nümbrecht und Waldbröl und ist von einer malerischen Landschaft mit Wiesen, Wäldern und kleinen Bächen umgeben. In der Umgebung gibt es zahlreiche Wander- und Radwege, die zu Erkundungstouren durch die schöne Natur einladen. Nümbrecht-Niederbröl ist ein ruhiger und beschaulicher Ort, ideal für Naturliebhaber und Erholungssuchende. Die Gemeinde liegt in der Nähe größerer Städte wie Köln und Bonn, was die Anbindung an das Verkehrsnetz erleichtert. Wiehl ist ebenfalls nur 10 Minuten mit dem Auto entfernt. Kindergärten, sämtliche Schulformen, sowie Ärzte, Apotheken und Banken sind auf kurzen Wegen gut erreichbar und auch die gute Anbindung zur Autobahn sorgen für eine umfassende Infrastruktur, die diese Lage so attraktiv macht.
Sonstige Angaben
Sie haben auch ein Haus, eine Wohnung oder ein Gewerbeobjekt zu verkaufen bzw. zu vermieten? Wir sind die deutschlandweiten Immobilienprofis mit vielen Tausend Interessenten und Hunderten Objekten. Rufen Sie uns an, wir beraten Sie gerne!
Die Objektbeschreibung beruht ganz oder zum Teil auf Angaben des Eigentümers. Für die Richtigkeit oder Vollständigkeit übernehmen wir keine Gewähr.
Als Immobilienexperten mit zahlreichen Auszeichnungen bieten wir Ihnen einen Service, der Sie als Verkäufer*in von Beginn an bis weit über den Notartermin hinaus begleitet. Mit unserer langjährigen Erfahrung und der hervorragenden Kenntnis des aktuellen Immobilienmarktes möchten wir gerne auch Sie bei Ihrem Verkauf unterstützen. Schenken Sie uns Ihr Vertrauen! Sie erreichen uns jederzeit unter der kostenfreien Rufnummer 0800 - 646 0 646.