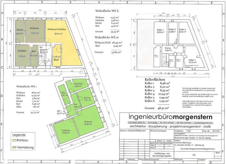
Das Mehrfamilienhaus wurde ca. 1900 errichtet. In den Jahren 1995 und 2010 erfolgte eine Grundsanierung und der Ausbau von 4 Mietwohnungen. imJahr 2023 erfolgte die Fertigstellung von 3 weiteren Wohneinheiten, damit war die gesamte Sanierung des Mehrfamilienhauses abgeschlossen. Gebäudeaufteilung Das Haus besitzt einen Teilkeller von ca. 48 qm, in welchem sich die Hausanschlüsse, Gas,Strom, Telekom und Wasser befinden. Des Weiteren sind hier die Gas-Heizung und der Warmwasserspeicher installiert. Erdgeschoss: 2-Raum Wohnung möbliert , Wohnzimmer, Schlafzimmer, Küche, Bad ca.34,34 qm. 2-Raum Wohnung möbliert Wohnen/Schlafen, Bad ca.33,89 qm 2-Raum Mietwohnung, Wohnzimmer, Schlafzimmer, Küche, Bad, Flur, Abst. ca.52,77 qm Obergeschoss: 3-Raum Wohnung möbliert, Wohnzimmer, 2 Schlafzimmer, Küche, Ba ca. 77,29 qm 2-Raum Mietwohnung, Wohnzimmer, Schlafzimmer, Küche, Bad ca. 47,72 qm Dachgeschoss: 2-Raum Maisonette-Wohnung, Wohnzimmer, Schlafzimmer, Küche, Bad, Flur ca. 56,82 qm 3-Raum Mietwohnung, Wohnzimmer, 2 Schlafzimmer, Küche, Bad, Flur ca. 59,86 qm
Gepflegtes Mehrfamilienhaus in beliebter Wohngegend zu verkaufen
04600 Altenburg
Die vollständige Adresse der Immobilie erhalten Sie vom Anbieter.
Auf Karte anzeigen
Die vollständige Adresse der Immobilie erhalten Sie vom Anbieter.

Finanzierungszertifikat
In nur zwei Minuten zu Ihrem persönlichen Finanzierungszertifkat.
Infos
Haustyp | Mehrfamilienhaus |
---|---|
Etagenzahl | 3 |
Wohnfläche ca. | 363 m2 |
Grundstücksfläche | 250 m2 |
Zimmer | 20 |
Schlafzimmer | 7 |
Badezimmer | 7 |
Kosten
Kaufpreis |
399.500 € |
---|---|
Provision |
3,57 % |
Mieteinnahmen | 3.000 € |
Finanzierungsrechner:
Kaufpreis:
600.000 €
Eigenkapital:
600.000 €
Monatliche Rate
0 €
Effektiver Jahreszins
0 %
Sollzinsbindung
10 Jahre
Bausubstanz & Energieausweis
Baujahr | 1900 |
---|---|
Letzte Sanierung | 2023 |
Objektzustand | Gepflegt |
Qualität der Austattung | Normal |
Heizungsart | Gas-Heizung |
Wesentliche Energieträger | Gas |
Beschreibung des Objekts
Ausstattung
Die Immobilie verfügen über geflieste Bädern mit Fenstern sowie Badewannen bzw. Duschen. Des Weiteren sind teilweise Rollläden vorhanden. Die Bodenbeläge bestehen aus Fliesen und Laminat. Fenster: Kunststoff, Wärmdämmeverglasung mit Rolläden im Erdgeschoss Türen innen: KG - Zargentüren / Brandsschutztüren Mieterkeller: Abgeschlossne Räume. Wohnungseingangstüren Futtertüren mit Vollblatt, Türspion Zimmertüren Futtertüren mit Vollblatt Heizungsversorgung: Wärmeerzeugung Zentralheizung Versorungsträger: Erdgas neue Gasbrennwerttechnik mit Warmwasserspeicher. Sanitäre Installation: Bäder Badewannen bzw. Duschen, WC und Waschbecken
Lage
Das gepflegte Mehrfamilienhaus befindet sich in einem sehr begehrten Stadtteil Altenburgs, in Mischlage. Die ruhige und dennoch zentrale Lage zeichnet sich durch eine gute Anbindung an öffentliche Verkehrsmittel sowie zahlreiche Einkaufsmöglichkeiten und Restaurants aus. In unmittelbarer Nähe befinden sich auch Parkanlagen, die zum Erholen und Spazierengehen einladen. Altenburg, eine historische Stadt in Thüringen, besticht durch ihr mittelalterliches Flair und eine Vielzahl von Sehenswürdigkeiten. Das Stadtzentrum ist geprägt von prachtvollen Gebäuden und schmalen Gassen, die zum Bummeln und Entdecken einladen. Kulturell bietet Altenburg ein breites Angebot, von Theateraufführungen bis hin zu Museen und Ausstellungen. Die Region um Altenburg ist vor allem für ihre malerische Landschaft und ihre zahlreichen Schlösser und Burgen bekannt. Die Umgebung lädt zu ausgedehnten Wanderungen und Radtouren ein und bietet zahlreiche Möglichkeiten für Ausflüge in die Natur. Die Region ist außerdem für ihre traditionelle Küche und ihre herzliche Gastfreundschaft berühmt, was das Leben in Altenburg besonders angenehm macht.
Sonstige Angaben
Rechtlicher Hinweis / Disclaimer: Wir bitten um Verständnis, dass wir nur vollständig ausgefüllte Emailanfragen mit Vornamen, Namen, Anschrift, Telefonnummer und Emailadresse beantworten können. Sie erfahren viel über ein hochwertiges Angebot, deshalb sollte es selbstverständlich sein, dass wir zuvor auch wissen mit wem wir es zu tun haben. Deshalb ist auch die Zustimmung zum Datenschutz und die Widerrufsbelehrung bindend, bevor wir Ihnen Unterlagen aushändigen und die Anschrift nennen. Vielen Dank für Ihr Verständnis. Natürlich können Fragen auftreten, welche in einem Exposè nicht beantwortet werden können. Gerne stehen wir Ihnen für weitere Fragen und deren Beantwortung sowie für einen Besichtigungstermin zur Verfügung. Für die Richtigkeit und Vollständigkeit der Angaben kann der Makler keine Gewähr übernehmen, da Informationen teilweise von 3. Personen übernommen wurden. Eine Weitergabe der Unterlagen bedarf der Zustimmung der Langer Immobilien GmbH & Co. KG und ist provisionspflichtig. Das Objekt gilt hiermit als nachgewiesen. Irrtümer und Zwischenverkauf sind vorbehalten. Es wird keine Haftung übernommen. Wir bitten um Rücksendung des unterschriebenen beiliegenden Objektnachweises. (Bitte beachten Sie den Datenschutzhinweis im Anhang)
Weitere Dokumente
Disclaimer PDFAGB_aktuell_PDF
Datenschutz_aktuell
Impressum
Objektnachweis
Grundriss
Grundriss Erdgeschoss 1
>

Grundriss Obergeschoss
>

Grundriss Dachgeschoss
>

Adresse
04600 Altenburg
Interessante Orte
Preis- und Lageinformationen
Preistrend für Bestandsimmobilien in Altenburg