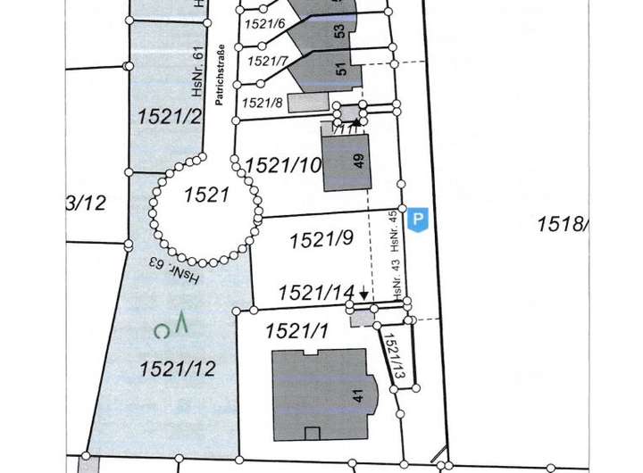
Hier finden Sie ein gut geschnittenes Grundstück in netter Umgebung in Treuchtlingen vor. Das Grundstück bietet auf 425 Quadratmetern eine GRZ von 0,4 und eine GFZ von 1,2 auf.
Ein Bebauungsplan liegt vor und kann gerne eingesehen werden.
Das Grundstück ist außerdem voll erschlossen und kann zeitnah bebaut werden.
Baugrundstück mit 425 m² im Herzen von Treuchtlingen
91757 Treuchtlingen
Die vollständige Adresse der Immobilie erhalten Sie vom Anbieter.
Auf Karte anzeigen
Die vollständige Adresse der Immobilie erhalten Sie vom Anbieter.
Finanzierungszertifikat
In nur zwei Minuten zu Ihrem persönlichen Finanzierungszertifkat.
Infos
| Vermarktungsart | Kaufen |
|---|---|
| Grundstücksfläche | 425 m2 |
| Grundflächenzahl (GRZ) | 0 |
| Geschossflächenzahl (GFZ) | 0 |
Kosten
| Miete pro Jahr |
70.000 € |
|---|---|
| Provision |
4.76% inkl. MwSt vom Kaufpreis fällig nach Notartermin. 4,76% inkl. MwSt. vom Kaufpreis fällig nach Notartermin |
Finanzierungsrechner:
Kaufpreis:
600.000 €
Eigenkapital:
600.000 €
Monatliche Rate
0 €
Effektiver Jahreszins
0 %
Sollzinsbindung
10 Jahre
Beschreibung des Objekts
Lage
Treuchtlingen liegt im Süden des Landkreises Weißenburg-Gunzenhausen in der Region Westmittelfranken im Naturpark Altmühltal am südlichen Ende des Hahnenkamms, einem Nebengebirge der Fränkischen Alb, und wird von der Altmühl durchflossen. Es ist ein staatlich anerkannter Erholungsort mit Heilquellen-Kurbetrieb Altmühltherme.
Alle Einrichtungen des täglichen Bedarfs sind in unmittelbarer Nähe und leicht erreichbar. Ebenso liegt das Grundstück unweit vom Bahnhof entfernt.
Sonstige Angaben
Die Stadt Treuchtlingen befindet sich im Naturpark Altmühltal, liegt im Herzen Bayerns
und ist staatlich anerkannter Erholungsort mit Heilquellenkurbetrieb. In Treuchtlingen
haben Sie alle Geschäfte die Sie für das tägliche Leben benötigen vor Ort.
Lebensmittelgeschäfte, Supermärkte, Cafe`s, Restaurants, Ärzte, Schulen,
Senefelderschule bis zur G8, Kindergärten, Sporteinrichtungen, Altmühltherme und
vieles mehr sind vorhanden.
Zum Ausgleich einer harten Arbeitswoche können Sie an der Bootsanlegestelle im
Kurpark ein Kanu mieten und eine Fahrt auf der Altmühl bis
hin zum Rhein-Main-Donau-Kanal genießen. Ansonsten können Sie im Kurpark relaxen.
Mit der Altmühltherme und dem Kurzentrum Altmühlvital verfügt die Stadt
Treuchtlingen über hochwertige Einrichtungen für einen gesundheitsbewussten
Urlauber oder Einwohner.
Mit seiner Altmühltherme und seinem Kurpark hat sich der staatlich anerkannte
Erholungsort Treuchtlingen ganz dem Wellness -Tourismus verschrieben.
Durch den größten Umsteigebahnhof in Bayerns ist Treuchtlingen der Knotenpunkt
zwischen den Strecken Nürnberg - Augsburg - München und Würzburg - Ansbach -
Ingolstadt - München. Außerdem ist der Bahnhof Treuchtlingen Haltepunkt für den ICE.