Neuerschlossenes Baugrundstück in nordöstlicher Ortsrandlage von Mühlheim an der Donau.
Das Grundstück mit Hanglage ermöglicht einen weitläufigen Blick über das Herz des oberen Donautals.
Knapp über 3.600 Einwohner sind in Mühlheim an der Donau zuhause.
Damit bietet die kleine Stadt im Landkreis Tuttlingen die perfekte Balance zwischen ruhiger Wohnlage in idyllischer Natur und sehr guter Abdeckung des täglichen Bedarfs.
Ob Einkaufsmöglichkeiten oder Ärzte in Fußnähe, ein Hallenbad oder die breit gefächerten Vereinsvielfalt, Mühlheim lässt keine Wünsche offen.
Grundstück für Ihr Einfamilienhaus zu verkaufen
78570 Mühlheim an der Donau
Die vollständige Adresse der Immobilie erhalten Sie vom Anbieter.
Auf Karte anzeigen
Die vollständige Adresse der Immobilie erhalten Sie vom Anbieter.
Finanzierungszertifikat
In nur zwei Minuten zu Ihrem persönlichen Finanzierungszertifkat.
Infos
| Vermarktungsart | Kaufen |
|---|---|
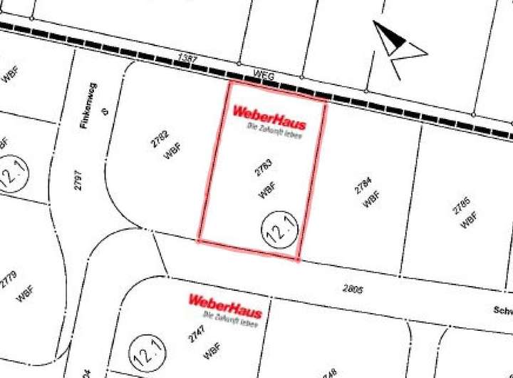
| Grundstücksfläche | 598 m2 |
| Erschließung | Erschlossen |
| Empfohlene Nutzung | Doppelhaus, Einfamilienhaus |
| Bebaubar nach | Bebauungsplan |
Kosten
| Miete pro Jahr |
140.530 € |
|---|
Finanzierungsrechner:
Kaufpreis:
600.000 €
Eigenkapital:
600.000 €
Monatliche Rate
0 €
Effektiver Jahreszins
0 %
Sollzinsbindung
10 Jahre
Beschreibung des Objekts
Lage
Die Stadt Mühlheim unterhält verschiedenste Kindergärten und Schulformen, die mit unterschiedlichen Ansätzen auf Beruf und Studium vorbereiten. Hierzu zählen Grund- und Realschulen und Gymnasien.
Sehenswürdigkeiten wie das Vordere Schloss, das heute als Museum dient, oder die Burgruine Maria Hilf laden genauso wie Lehrpfade und Höhlen dazu ein, die malerische Stadt mit mittelalterlicher Geschichte genauer zu erkunden.
Die ausgezeichneten Anbindungen an die öffentlichen Verkehrsnetze sind in angenehmer Gehweite vom Grundstück aus erreichbar. Die Kreisstadt Tuttlingen ist nur 10 Autominuten entfernt.
Sonstige Angaben
Das Grundstück kann nur zur Bebauung mit einem WeberHaus erworben werden. In der Kombination von Haus und Grundstück können attraktive Steuerverrechnungen beansprucht werden.
Unser WeberHaus Finanzierungsservice ( WHF ) erstellt für Sie ein maßgeschneidertes Baufinanzierungskonzept.
Hierzu zählt ein umfassender Fördermittel-Check.
Der Preis ist inklusive Kontrollschächte.