Man muss dort gewesen sein um diese Aussicht und Umgebung gesehen haben. Die Bilder sind keinesfalls aussagekräftig genug um diese Schönheit auszudrücken. Ein wunderschöner Fernblick, hohe Berge zum greifen Nah und eine entspannende Ruhe.
Meine Empfehlung:
Man nehme die Fahrräder und macht eine kurze Fahrrad Tour durch diese Berge. Direkt durch die Einfahrt des Grundstücks über den künftige Garten, über das Feld und den Wald an die Spitze des Berges. Genießt die Aussicht und erkundet die traumhafte Gegend.
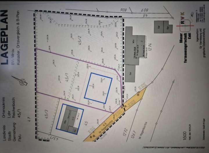
18 x 15 Meter Baufenster (2,5 Stockwerke, mit unserem Architekten, haben wir sogar fast 3 Stockwerke realisieren können)
auf einem
28 x 58 m echteckiges Grundstück
Adresse:
Im hagebüchle
77933 Lahr/Schwarzwald
Genauere Koordinaten bei Maps eingeben:
48,3342380, 7,9341137
Traumhaftes Baugrundstück auf Bergspitze Reichenbachs
Im Hagenbüchle 2,
77933 Lahr/Schwarzwald
Auf Karte anzeigen
Finanzierungszertifikat
In nur zwei Minuten zu Ihrem persönlichen Finanzierungszertifkat.
Infos
| Vermarktungsart | Kaufen |
|---|---|
| Grundstücksfläche | 1.660 m2 |
| Verfügbar ab | 20.9.2025 |
Kosten
| Miete pro Jahr |
765.000 € |
|---|---|
| Provision | Nein |
Finanzierungsrechner:
Kaufpreis:
600.000 €
Eigenkapital:
600.000 €
Monatliche Rate
0 €
Effektiver Jahreszins
0 %
Sollzinsbindung
10 Jahre
Beschreibung des Objekts
Lage
Höchste Straße Reichenbachs und letztes ordentliche Baugrundstück für das absolute Luxushaus.