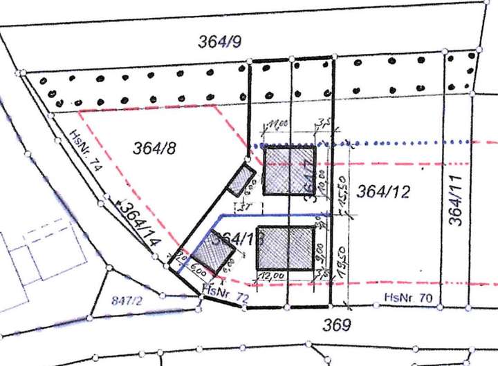
Das ursprünglich zusammenhängende Grundstück wurde in zwei Bauparzellen mit ca. 500 m² und ca. 700 m² geteilt.
Das hier angebotene ca. 700 m² große Grundstück überzeugt durch seine perfekte Süd-West-Ausrichtung und befindet sich nur etwa 2 km vom Ortszentrum der Gemeinde Reichertshofen entfernt.
Das attraktive Mittelgrundstück bietet einen herrlichen, grünen Ausblick und eignet sich ideal für die Bebauung mit einem Einfamilienhaus mit zwei Vollgeschossen. Das hier angebotene, hintere Grundstück verfügt zudem über einen eigenen Zufahrtsweg.
Die Erschließung mit Kanal, Wasser und Strom ist bereits bis zur Grundstücksgrenze gewährleistet.
Der Ausblick über die unverbaubaren Felder ist außergewöhnlich – näher an der Natur und gleichzeitig so nah an sämtlicher Infrastruktur kann man kaum wohnen.
Dieser Bauplatz eignet sich perfekt für Familien, die sich den Traum vom eigenen Zuhause in absolut ruhiger und naturnaher Umgebung erfüllen möchten.
Kontaktieren Sie uns gerne für weitere Informationen oder eine Besichtigung.
Das vordere Grundstück ist bereits reserviert.
Webseite:
https://www.loft21.de/
Instagram:
https://www.instagram.com/loft21.de/
** Natur pur: Sonniges Baugrundstück in herrlicher Grünlage **
85084 Reichertshofen
Die vollständige Adresse der Immobilie erhalten Sie vom Anbieter.
Auf Karte anzeigen
Die vollständige Adresse der Immobilie erhalten Sie vom Anbieter.
Finanzierungszertifikat
In nur zwei Minuten zu Ihrem persönlichen Finanzierungszertifkat.
Infos
| Vermarktungsart | Kaufen |
|---|---|
| Grundstücksfläche | 700 m2 |
| Empfohlene Nutzung | Einfamilienhaus |
| Bebaubar nach | wie Nachbarbebauung |
Kosten
| Miete pro Jahr |
329.000 € |
|---|---|
| Provision |
3,57 % inkl. MwSt. |
Finanzierungsrechner:
Kaufpreis:
600.000 €
Eigenkapital:
600.000 €
Monatliche Rate
0 €
Effektiver Jahreszins
0 %
Sollzinsbindung
10 Jahre
Beschreibung des Objekts
Lage
Die Lage des Grundstücks kann als sehr gut bezeichnet werden: absolut ruhig und zugleich verkehrsgünstig.
Die Bundesstraße B13 ist in kürzester Zeit zu erreichen, und über die anschließende B300 sind es dann nur ein paar weitere Minuten zur Anschlussstelle der A9 Langenbruck mit allen Fernverbindungen oder in die andere Richtung nach Schrobenhausen, Aichach, Augsburg und Ingolstadt. Sollten Sie öffentliche Verkehrsmittel bevorzugen, so bietet sich die Bahn an. Der Bahnhof der Linie München-Nürnberg in Baar-Ebenhausen ist nur 3 km entfernt.
Für einen bequemen Alltag sorgen unter anderem mehrere Supermärkte, eine Bäckerei, diverse Cafés und Restaurants sowie zwei Bankfilialen in der nur 2 km entfernten Gemeinde Reichertshofen. Familien schätzen die Nähe zu Kindergarten, Grund- und Mittelschule sowie mehreren Spielplätzen.
In der Umgebung:
* 01 min / ca. 0,1 km Bushaltestelle
* 06 min / ca. 3,8 km Lebensmittel
* 05 min / ca. 2,5 km Restaurant
* 10 min / ca. 7,2 km Autobahn
* 06 min / ca. 2,9 km Kindergarten
* 03 min / ca. 1,7 km Mittelschule
* 19 min / ca. 15,8 km Realschule
* 28 min / ca. 15,5 km Gymnasium
* 22 min / ca. 15,7 km Ingolstadt
* 60 min / ca. 70,0 km München
Sonstige Angaben
Wir weisen darauf hin, dass die von uns weitergegebenen Objektinformationen, Unterlagen, Pläne etc. vom Verkäufer stammen. Eine Haftung für die Richtigkeit oder Vollständigkeit der Angaben übernehmen wir daher nicht. Es obliegt daher unseren Kunden, die darin enthaltenen Objektinformationen und Angaben auf ihre Richtigkeit hin zu überprüfen. Alle Immobilienangebote sind freibleibend und vorbehaltlich Irrtümer, Zwischenverkauf- und Vermietung oder sonstiger Zwischenverwertung.