Baugrundstück als Baulücke in einer ruhigen Seitenstraße. Die auf dem Grundstück befindlichen Gebäude werden kurzfristig komplett abgerissen.
Das Grundstück wird geräumt übergeben.
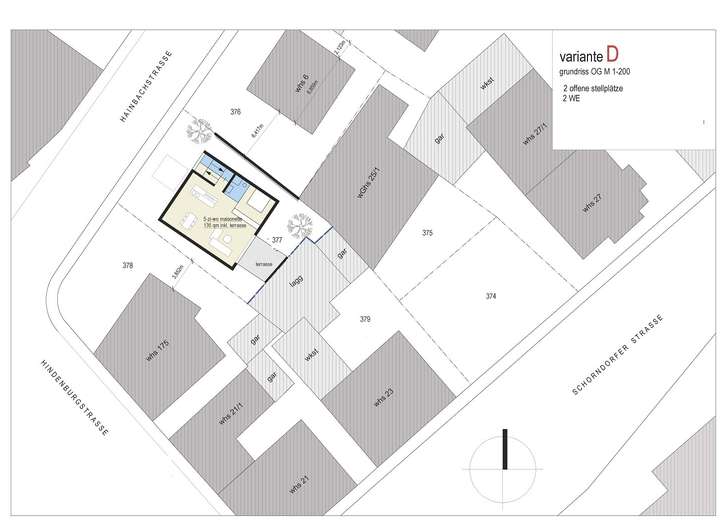
Abweichend von den Festsetzungen des Bebauungsplans kann nunmehr wie folgt gebaut werden:
GRZ 0,44
GFZ 0,782
2 Wohneinheiten
erzielbare Wfl. ca. 200m²
2 offene Stellplätze
Baugrundstück in Esslingen mit guter Verkehrsanbindung / Infrastruktur!
73730 Esslingen am Neckar
Die vollständige Adresse der Immobilie erhalten Sie vom Anbieter.
Auf Karte anzeigen
Die vollständige Adresse der Immobilie erhalten Sie vom Anbieter.
Finanzierungszertifikat
In nur zwei Minuten zu Ihrem persönlichen Finanzierungszertifkat.
Infos
| Vermarktungsart | Kaufen |
|---|---|
| Grundstücksfläche | 258 m2 |
| Erschließung | Erschlossen |
| Grundflächenzahl (GRZ) | 0.44 |
| Geschossflächenzahl (GFZ) | 0.78 |
| Bebaubar nach | Bebauungsplan |
Kosten
| Miete pro Jahr |
249.500 € |
|---|---|
| Provision |
4,76% Käufercourtage incl. MwSt Bei Abschluss des Kaufvertrags berechnen wir dem Käufer eine einmalige Nachweis- und/oder Vermittlungsprovision in Höhe von 4,76% incl. Mehrwertsteuer aus dem Kaufpreis. |
Finanzierungsrechner:
Kaufpreis:
600.000 €
Eigenkapital:
600.000 €
Monatliche Rate
0 €
Effektiver Jahreszins
0 %
Sollzinsbindung
10 Jahre
Beschreibung des Objekts
Lage
Oberesslingen gilt als beliebtes Wohngebiet. Der Grundbesitz befindet sich nur wenige Minuten mit Bus oder KfZ oder über eine Fahrradstraße vom Stadtkern entfernt.
Kindergarten, Gymnasium, Grund- und Realschule sind fußläufig zu erreichen.
Die Bushaltestellen der Linien 101 und 103 führen direkt zum Esslinger Bahnhof mit Regio- und Fernverbindungen. Nur ca 5-8 Fußminuten entfernt befindet sich ein S-Bahn-Halt der Linie S1 Kirchheim-Herrenberg . Die B10 nach Stuttgart bzw. Göppingen/ Ulm erreichen Sie in wenigen Autominuten.
Sonstige Angaben
Die in diesem Exposee gemachten Angaben beruhen auf Auskünften des Eigentümers oder vorgelegten Plänen und Berechnungen.
Wir übernehmen daher keine Haftung , insbesondere nicht für Flächenangaben oder die in diesem Exposee dargestellten Grundriss- oder Lageskizzen.
Ihr Ansprechpartner: Heinz Stockhausen
Telefon: 0711 3657406
info@immomarketing-stockhausen.de