Zum Hauptinhalt springen
1/1

Baugrundstück in Dülmen-Merfeld

48249 Dülmen
Die vollständige Adresse der Immobilie erhalten Sie vom Anbieter.
Auf Karte anzeigen
Logo ImmoScout24 Logo ImmoScout24
PDF Finanzierungszertifikat

Finanzierungszertifikat

In nur zwei Minuten zu Ihrem persönlichen Finanzierungszertifkat.

  • Zur Vorlage beim Makler oder Verkäufer
  • Vorteile gegenüber anderen Kaufinteressenten
  • Kostenlos und unverbindlich
Finanzierungszertifikat anfragen

Infos

Vermarktungsart Kaufen
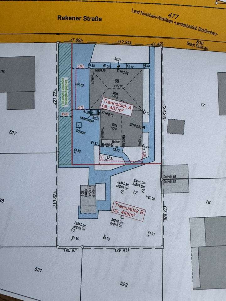
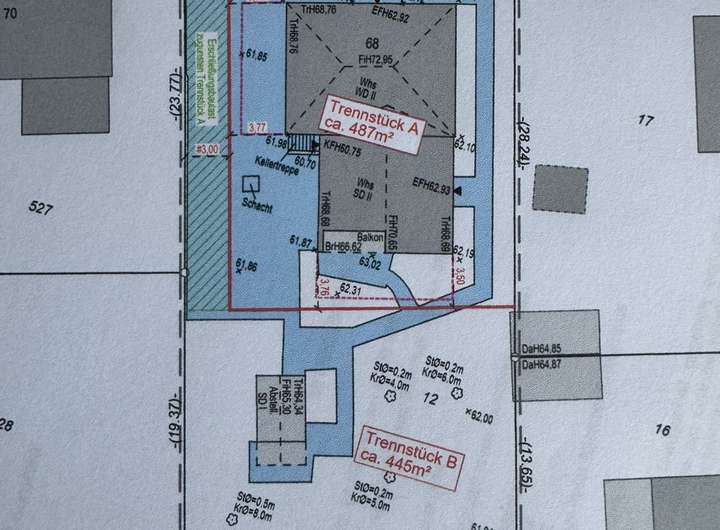
Grundstücksfläche 445 m2
Erschließung Erschlossen
Bebaubar nach Bebauungsplan
Verfügbar ab 1.10.2025

Kosten

Miete pro Jahr 235.000 €
Provision Nein

Finanzierungsrechner:

Kaufpreis: 600.000 €

Eigenkapital: 600.000 €
Monatliche Rate 0 €
Effektiver Jahreszins 0 %
Sollzinsbindung 10 Jahre

Beschreibung des Objekts

                Ich bitte ein Baugrundstück in Dülmen-Merfeld mit einer Grundstücksgröße von 445 qm. 
Wir verweisen bei der Planung auf den insoweit geltenden Bebauungsplan der Stadt Dülmen. EFH oder Doppelhaus möglich.

Bei Interesse oder Rückfragen senden Sie mir bitte eine Nachricht.
            

Grundriss

Grundriss Grundriss >

Adresse

48249 Dülmen

Interessante Orte

Bäckereien
Schulen
Ärzte

Ansprechpartner